Pigūs buto 1/1 dalies pardavimas Plungės rajone, Žlibinų k., pradinė kaina 810 E...
Parduodamas 1/1 dalis buto (patalpos) pakartotiniame aukcione Plungės rajono savivaldybėje, Žlibinų kaime, Žarėnų g. 63-6. Objekto unikalus numeris yr...
Nekilnojamojo turto aukcionai visoje Lietuvoje.
Parduodamas 1/1 dalis buto (patalpos) pakartotiniame aukcione Plungės rajono savivaldybėje, Žlibinų kaime, Žarėnų g. 63-6. Objekto unikalus numeris yr...
Parduodamas 1/1 dalies butas Plungės rajono savivaldybėje, Žlibinų kaime, Žarėnų g. 63-5 adresu, bendru 46,71 kv. m. ploto. Šis turto vienetas parduod...
Parduodama 1/2 dalis bendrosios nuosavybės teise priklausančio nekilnojamojo turto komplekso Šiaulių rajono savivaldybėje, Pakumulšių kaime, Taikos g....
Parduodama 1/2 dalis gyvenamojo namo unikaliu Nr. 7191-0007-4011 su priklausiniais Radviliškio rajono savivaldybėje, Šiaulėnų miestelyje, Sodų gatvėje...
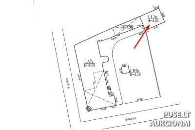
Parduodama neatsiejama 63/100 dalis nekilnojamojo turto komplekso – komercinės paskirties pastato dalis Mockų kaime, Kalvarijos savivaldybėje, Klevų g...
Parduodama 1/4 dalis gyvenamojo namo, esančio Kaišiadorių rajono savivaldybėje, Neprėkštos kaimo teritorijoje, Beržyno gatvėje 10. Ši dalinė nuosavybė...
Parduodama 1/2 dalis gyvenamojo namo su ūkiniais pastatais Ukmergės rajono savivaldybėje, Želvos miestelyje, Vilniaus gatvėje 17. Šis pardavimas yra d...
Parduodama 1/2 dalis gyvenamojo namo su priklausiniais ir 0.1600 ha žemės sklypu Utenos rajono savivaldybėje, Ažugirių kaime, Liepų gatvėje 1. Šio tur...
Parduodamas 2 kambarių butas su 0,0456 ha ploto sklypo dalimi Leipalingio miestelyje, pačiame Druskininkų savivaldybės rajone. Šio nekilnojamojo turto...
Vilniaus miesto savivaldybėje, Vilniaus gatvėje 27, parduodamos/nuomojamos administracinės paskirties patalpos, esančios pastogėje, skelbiamas nuomos ...
Vilniaus miesto savivaldybėje, Vilniaus g. 27 adresu, skelbiamas pakartotinis nuomos konkursas didelėms administracinėms patalpoms, kurių bendras plot...
Parduodamas žemės sklypas pirmosios rūšies kategorijoje, esantis Tauragės rajono savivaldybėje, Stirbaičių kaimo teritorijoje. Šis nekilnojamasis turt...
Parduodamas 1/1 dalis žemės sklypo Tauragės rajono savivaldybėje, Stirbaičių kaime, antstolių vykdomų varžytynių būdu. Tai puiki investavimo galimybė ...
Parduodamas 2 kambarių butas Joniškio rajono savivaldybėje, Žagarės mieste, Dariaus ir Girėno g. 5-5, viešame antstolių varžytinių aukcione. Pradinė š...
Parduodamas 3,3500 ha ploto žemės ūkio paskirties žemės sklypas Švenčionių rajono savivaldybėje, Biržijos kaimo teritorijoje. Šis turtas yra parduodam...
Parduodamas nekilnojamojo turto objektas – Pastatas – katilinė su dūmtraukiu (h=30.00 m) Kaune, adresu A. Juozapavičiaus pr. 23A. Tai yra gamybos ir p...
Parduodamas pirmosios kategorijos nekilnojamasis turtas - butas Klaipėdos miesto savivaldybėje, Minijos gatvėje 157, esantis 507 bute. Šiuo metu vykst...
Parduodamas 0,6007 ha ploto žemės sklypas, priklausantis daugiabučių gyvenamųjų pastatų ir bendrabučių teritorijos paskirčiai, Trakų rajono savivaldyb...
Parduodama 1/2 dalis žemės sklypo Švenčionių miesto teritorijoje, adresu Vyšnių g. 11, Švenčionių r. savivaldybėje. Tai antrosios kategorijos sklypas,...
Parduodama 1/6 dalis žemės ūkio paskirties sklypo Trakų rajono savivaldybėje, Karaliūnų kaime. Bendras sklypo plotas 0,2895 ha. Objekto pradinė kaina ...
Antstolių varžytynėse parduodamas visas (1/1 dalis) gyvenamasis namas Zarasų rajono savivaldybėje, Raudinės kaime, Dvaro gatvėje 4. Šio objekto unikal...
Parduodama 1/2 dalis buto Telšių rajono savivaldybėje, Telšių mieste, Luokės gatvėje 85, buto/patalpų (antrosios kategorijos nuosavybė). Ši dalis pard...
Parduodamas 13.54 ha ploto žemės ūkio paskirties žemės sklypas Panevėžio rajono savivaldybėje, Uoginių kaime, Karsakiškio seniūnijoje, už 45840 EUR pr...
Siūlomos įsigyti negyvenamosios patalpos, esančios Kaišiadorių rajono savivaldybėje, Palomenės seniūnijoje, Tauckūnų kaime, Žiedo g. 30-1. Parduodama ...
Parduodamas 10,7049 ha ploto žemės ūkio paskirties sklypas Biržų rajono savivaldybėje, Tauniūnų kaime, antstolių varžytynių būdu. Šis investicinis obj...
Parduodamas 1/1 dalis žemės sklypo pirmajai aukciono rūšiai, vykdant antstolių varžytynes. Šis nekilnojamasis turtas yra Biržų rajone, Medeikių kaimo ...
Parduodamas 0.0590 ha žemės ūkio paskirties sklypas Klaipėdos rajono savivaldybėje Derceklių kaime, Žemaičių g. 3. Šis turtas parduodamas viešose ants...
Parduodamas 0,7253 ha ploto žemės ūkio paskirties žemės sklypas, esantis Kazlų Rūdos savivaldybėje, Jūrės kaimo teritorijoje. Šis turto vienetas pardu...
Parduodamas nekilnojamasis turtas – 1/1 dalis pastato, kuris yra pritaikytas ambulatorijos veiklai, esantis Ignalinos rajono savivaldybėje, Tverečiaus...
Parduodama per pakartotinį savivaldybės aukcioną - nekilnojamasis turtas, pastatas - veršidė, esantis Ignalinos rajono savivaldybėje, Linkmenų kaimo P...
Nekilnojamojo turto aukcionai – tai galimybė įsigyti butą, namą, žemės sklypą ar komercinį objektą už rinkos kainą arba net pigiau. Mūsų platformoje rasite daug aktyvių NT aukcionų visoje Lietuvoje, kuriuose parduodami įvairūs nekilnojamojo turto objektai.
Populiariausios kategorijos: gyvenamieji butai Vilniuje, Kaune, Klaipėdoje, gyvenamieji namai su sklypu, žemės sklypai sodyboms, komerciniai pastatai, administracinės patalpos, garažai. Dauguma objektų parduodami per Turto Banką, bankus ir antstolius po negrąžintų hipotekos paskolų.
Kaip dalyvauti NT aukcione? Pasirinkite dominantį objektą, užsiregistruokite aukcione sumokėję užstatą (paprastai 10% nuo pradinės kainos), ir dalyvaukite varžytinėse. Išsamios procedūros aprašytos kiekvieno aukciono puslapyje. Sėkmės įsigyjant būstą!