📝 Aprašymas
Pirminis aukcionas siūlo įsigyti 1/2 dalį gyvenamojo namo Zarasų mieste, Šaltupės gatvėje 55, parduodamą esamos fizinės ir funkcinės būklės atžvilgiu. Tai yra unikali investavimo galimybė bendrosios dalinės nuosavybės objektui.
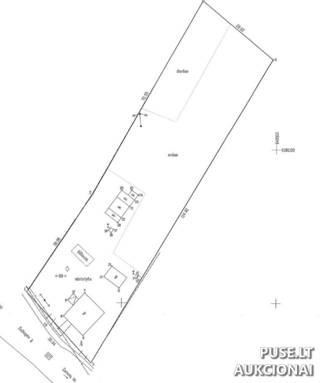
Parduodamas turtas apima šias dalis: 1/2 dalis gyvenamojo namo, kurio bendras plotas yra 72.00 kv. m (Unikalus Nr. 4396-7000-5016). Taip pat parduodamas ūkinis pastatas, kurio užstatytas plotas siekia 27.00 kv. m (Unikalus Nr. 4396-7000-5020). Pirkėjui atiteks 1/2 dalis kiemo statinių, įskaitant du lauko tualetus, šiukšlių dėžes ir tvoras (Unikalus Nr. 4396-7000-5041).
Įsigytina nuosavybė apima ir 1/2 dalį 0,3216 ha žemės sklypo, esančio toje pačioje vietoje (Unikalus Nr. 4400-5029-3839).
Svarbu atkreipti dėmesį, jog VĮ Turto bankas neįsipareigoja atnaujinti nekilnojamojo turto kadastro duomenų būklės ar iškraustyti esamų daiktų. Bendraturčiai nėra sudarę susitarimų dėl bendros dalinės nuosavybės naudojimosi tvarkos, galioja ir netaikomi susitarimai dėl žemės sklypo naudojimosi tvarkos. VĮ Turto bankas nėra sudaręs elektros tiekimo sutarties su paslaugos tiekėju.
Inžinierinio statinio, būtent lauko tualeto, būklė neatitinka taikomų teisės aktų reikalavimų. Potencialus dalyvis privalo savarankiškai įvertinti visas su tokios būklės statinio pirkimu susijusias teisines ir ekonomines rizikas, įskaitant galimus kaštus, reikalingus įrengimui ar nugriovimui. VĮ Turto bankas neatsako už jokius nuostolius ar statinio trūkumus, kylančius dėl neatitikimo statybos, aplinkos apsaugos ar kitų teisės aktų reikalavimams.
Aukciono dalyvio registracijos mokestis yra 40 EUR, o garantinis mokestis – 1130 EUR.
Parduodamas turtas apima šias dalis: 1/2 dalis gyvenamojo namo, kurio bendras plotas yra 72.00 kv. m (Unikalus Nr. 4396-7000-5016). Taip pat parduodamas ūkinis pastatas, kurio užstatytas plotas siekia 27.00 kv. m (Unikalus Nr. 4396-7000-5020). Pirkėjui atiteks 1/2 dalis kiemo statinių, įskaitant du lauko tualetus, šiukšlių dėžes ir tvoras (Unikalus Nr. 4396-7000-5041).
Įsigytina nuosavybė apima ir 1/2 dalį 0,3216 ha žemės sklypo, esančio toje pačioje vietoje (Unikalus Nr. 4400-5029-3839).
Svarbu atkreipti dėmesį, jog VĮ Turto bankas neįsipareigoja atnaujinti nekilnojamojo turto kadastro duomenų būklės ar iškraustyti esamų daiktų. Bendraturčiai nėra sudarę susitarimų dėl bendros dalinės nuosavybės naudojimosi tvarkos, galioja ir netaikomi susitarimai dėl žemės sklypo naudojimosi tvarkos. VĮ Turto bankas nėra sudaręs elektros tiekimo sutarties su paslaugos tiekėju.
Inžinierinio statinio, būtent lauko tualeto, būklė neatitinka taikomų teisės aktų reikalavimų. Potencialus dalyvis privalo savarankiškai įvertinti visas su tokios būklės statinio pirkimu susijusias teisines ir ekonomines rizikas, įskaitant galimus kaštus, reikalingus įrengimui ar nugriovimui. VĮ Turto bankas neatsako už jokius nuostolius ar statinio trūkumus, kylančius dėl neatitikimo statybos, aplinkos apsaugos ar kitų teisės aktų reikalavimams.
Aukciono dalyvio registracijos mokestis yra 40 EUR, o garantinis mokestis – 1130 EUR.
📍 Objekto lokacija
📍 Zarasų r. sav. Zarasų m. Šaltupės g. 55
❓ Dažnai užduodami klausimai
Kokia yra pradinė gyvenamojo namo dalies su sklypu kaina Zarasuose?
Pradinė kaina, už kurią pradedamas aukcionas, yra 11300 EUR.
Kada vyks nekilnojamojo turto aukcionas Zarasų m. Šaltupės g. 55?
Aukcionas prasidės 2025-10-27 09:00:00 ir baigsis 2025-10-28 13:59:59.
Kokie papildomi mokesčiai taikomi dalyvaujant aukcione?
Dalyviui reikės sumokėti 1130 EUR garantinį mokestį ir 40 EUR registracijos mokestį.
Kokia dalis gyvenamojo namo ir žemės sklypo parduodama?
Parduodama 1/2 dalis gyvenamojo namo (72.00 kv. m), ūkinio pastato (27.00 kv. m) ir 1/2 dalis 0,3216 ha žemės sklypo.
Kokie pagrindiniai apribojimai ar būklės ypatumai taikomi šiam turtui?
Objektas parduodamas esamos būklės. VĮ Turto bankas neatsako už statinių trūkumus, o lauko tualetas neatitinka teisės aktų reikalavimų. Būtina įvertinti visas sąlygas dėl bendraturčių nesutarimų ir elektros tiekimo sutarčių nebuvimo.
Kada galima fizikai apžiūrėti parduodamą turtą Zarasuose?
Objektų apžiūros organizuojamos iki registracijos į aukcioną pradžios, suderinus laiką individualiai su pardavimų vadybininku.
Koks nekilnojamojo turto unikalus numeris yra pagrindiniam pastatui?
Nekilnojamojo turto unikalus numeris yra 4396-7000-5016.