📝 Aprašymas
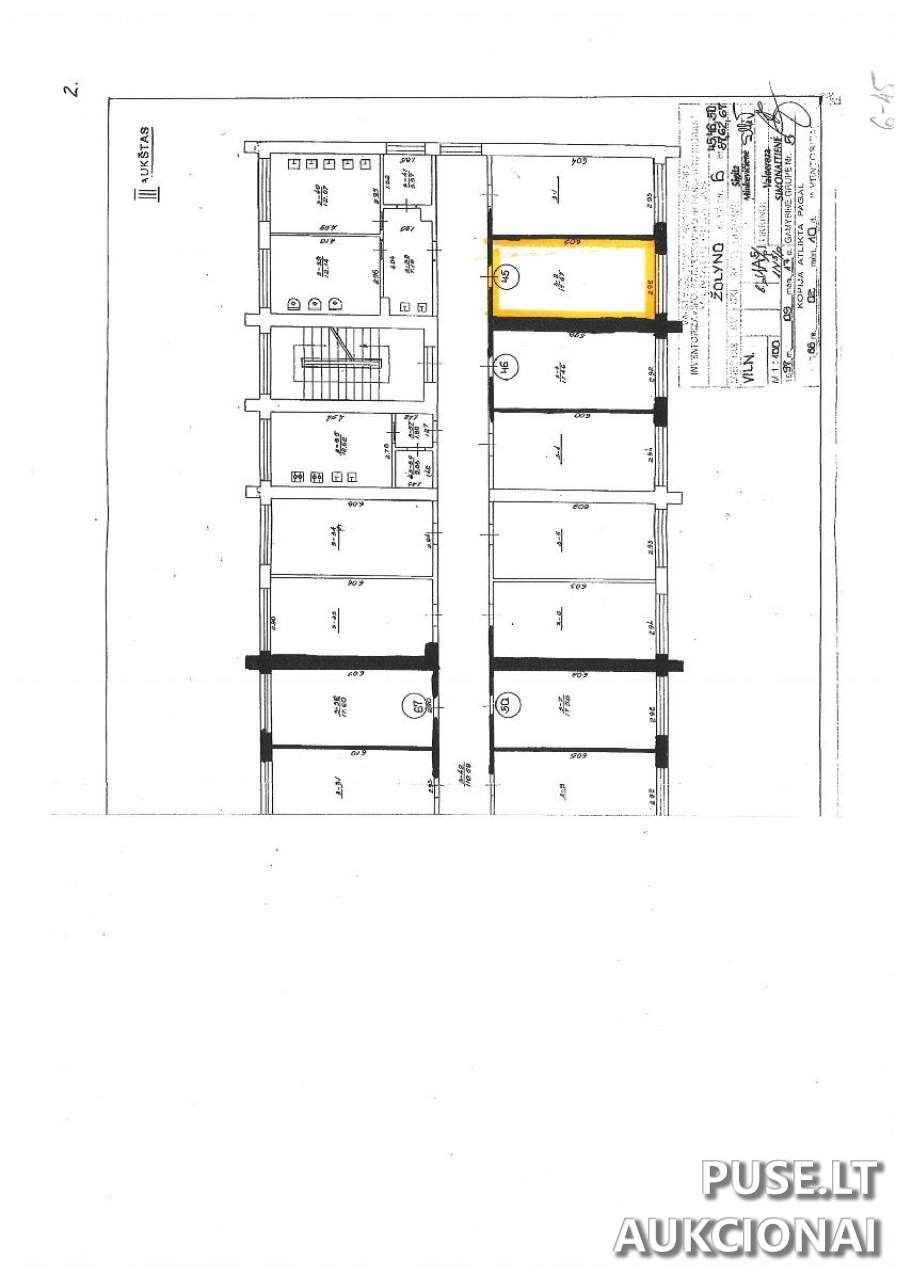
Parduodamas 17,67 kv. m. kambarys Vilniaus miesto savivaldybėje, esantis Žolyno g. 6-45. Šis unikalus NT objektas parduodamas kaip pakartotinis nekilnojamojo turto aukcionas. Prie 17,67 kv. m. pagrindinio ploto priskiriama ir 7,66 kv. m. bendrojo naudojimo patalpų dalis. Patalpos yra 5 aukštų mūrinio pastato trečiame aukšte ir parduodamos esamos būklės.
Aukciono pradžia numatyta 2025-10-27 09:00:00 ir jis vyks iki 2025-10-28 13:59:59. Registracija į elektroninį aukcioną vyksta nuo 2025-10-20 00:00:00 iki 2025-10-22 23:59:59. Pradinė kaina nustatyta 45900 EUR. Dalyviams privaloma sumokėti 4590 EUR dydžio garantinį mokestį ir 145 EUR dydžio registracijos mokestį. Šie mokesčiai turi būti sumokėti į Vilniaus miesto savivaldybės administracijos (kodas 188710061) sąskaitą AB SEB banke (LT63 7044 0600 0123 5132) iki registracijos pabaigos.
Nekilnojamojo turto pirkimo-pardavimo sutartis su laimėtoju bus sudaroma per 30 dienų po pardavimo vykdymo dienos, o visa kaina turi būti sumokėta ne vėliau kaip per 10 dienų po sutarties pasirašymo. Pardavėjas yra Vilniaus miesto savivaldybė. Unikalus objekto numeris yra 1096-6019-7019:0123; parduodama 1/1 dalis.
Aukciono pradžia numatyta 2025-10-27 09:00:00 ir jis vyks iki 2025-10-28 13:59:59. Registracija į elektroninį aukcioną vyksta nuo 2025-10-20 00:00:00 iki 2025-10-22 23:59:59. Pradinė kaina nustatyta 45900 EUR. Dalyviams privaloma sumokėti 4590 EUR dydžio garantinį mokestį ir 145 EUR dydžio registracijos mokestį. Šie mokesčiai turi būti sumokėti į Vilniaus miesto savivaldybės administracijos (kodas 188710061) sąskaitą AB SEB banke (LT63 7044 0600 0123 5132) iki registracijos pabaigos.
Nekilnojamojo turto pirkimo-pardavimo sutartis su laimėtoju bus sudaroma per 30 dienų po pardavimo vykdymo dienos, o visa kaina turi būti sumokėta ne vėliau kaip per 10 dienų po sutarties pasirašymo. Pardavėjas yra Vilniaus miesto savivaldybė. Unikalus objekto numeris yra 1096-6019-7019:0123; parduodama 1/1 dalis.
📍 Objekto lokacija
📍 Vilniaus m. sav. Vilniaus m. Žolyno g. 6-45
❓ Dažnai užduodami klausimai
Kokia nekilnojamojo turto, esančio Žolyno g. 6-45, Vilniuje, pradinė kaina aukcione?
Pradinė kambario pardavimo kaina yra 45900 EUR.
Kada baigiasi potencialių pirkėjų registracija ir vyksta elektroninis aukcionas?
Registracija baigiasi 2025-10-22 23:59:59, o pats aukcionas vyksta nuo 2025-10-27 09:00:00 iki 2025-10-28 13:59:59.
Koks yra bendras parduodamo ploto dydis (pagrindinis + bendro naudojimo)?
Parduodama 17,67 kv. m. kambario dalis, kuriai priklauso ir 7,66 kv. m. bendrojo naudojimo patalpų dalis.
Kokie privalomi mokesčiai (garantinis ir registracijos) turi būti sumokėti norint dalyvauti aukcione?
Privalomas garantinis mokestis yra 4590 EUR, o registracijos mokestis – 145 EUR. Abu turi būti sumokėti iki registracijos pabaigos.
Kuriuo terminu turi būti sudaryta pirkimo-pardavimo sutartis po aukciono laimėjimo?
Sutartis turi būti sudaryta per 30 dienų nuo pardavimo aukcione vykdymo dienos, o visa kaina sumokėta per 10 dienų po sutarties pasirašymo.
Kada galima apžiūrėti šį kambarį Vilniuje?
Apžiūros planuojamos 2025-10-08 9.30 val. ir 2025-10-15 9.30 val., privaloma išankstinė registracija.