📝 Aprašymas
Parduodami buitinių nuotekų tinklai Augustavo kaime, Švenčionių rajone, Pašaminės gatvėje, esantys esamos fizinės ir funkcinės būklės. Šis infrastruktūros objektas yra parduodamas kaip Kiti statiniai pagal pakartotinio aukciono tvarką. Bendra parduodamo daikto dalis yra 1/1 nuosavybės teisė.
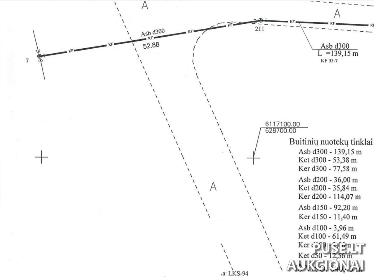
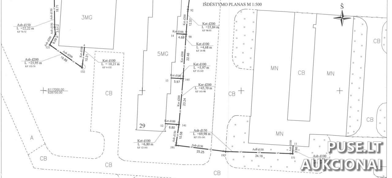
Buitinių nuotekų tinklų ilgis siekia 640.43 metrų. Unikalus šių tinklų kodas – 4400-4314-7619. Valstybės įmonė Turto bankas neįsipareigoja nustatyti ir garantuoti tiksliai atnaujintą nekilnojamojo turto kadastro duomenų būklę, todėl pirkėjas turėtų įvertinti esamą situaciją vietoje.
Pradinė šių inžinerinių tinklų kaina aukcione yra nustatyta 95 EUR. Kaip papildomi mokesčiai numatytas 9 EUR garantinis mokestis ir 1 EUR registracijos mokestis. Bendra dalyvio mokėjimų suma yra 10 EUR (jei mokama be bankinio pavedimo per Neopay, sumokami abu mokesčiai).
Registracija į aukcioną vyksta nuo 2025-10-06 00:00:00 iki 2025-10-08 23:59:59. Pats aukcionas vyks nuo 2025-10-13 09:00:00 iki 2025-10-14 13:59:59. Dėl objekto apžiūros būtina kreiptis individualiai iš anksto, suderinant laiką iki registracijos pradžios.
Sutarties projektai yra prieinami viešai. Mokėjimus už registraciją ir garantinį įnašą galima atlikti tiesiogiai per elektroninę bankininkystę naudojant NEOPAY sistemą, arba pervedant į nurodytą AB SEB banko sąskaitą (LT14 7044 0600 0044 3912), nurodant el. aukciono numerį paskirtyje.
Objekto pardavimo sąlygas ir su sutartimis susijusią detalią informaciją teikia Turto pardavimų skyrius, atstovaujamas Valstybės įmonės Turto bankas (įm. k. 112021042).
Buitinių nuotekų tinklų ilgis siekia 640.43 metrų. Unikalus šių tinklų kodas – 4400-4314-7619. Valstybės įmonė Turto bankas neįsipareigoja nustatyti ir garantuoti tiksliai atnaujintą nekilnojamojo turto kadastro duomenų būklę, todėl pirkėjas turėtų įvertinti esamą situaciją vietoje.
Pradinė šių inžinerinių tinklų kaina aukcione yra nustatyta 95 EUR. Kaip papildomi mokesčiai numatytas 9 EUR garantinis mokestis ir 1 EUR registracijos mokestis. Bendra dalyvio mokėjimų suma yra 10 EUR (jei mokama be bankinio pavedimo per Neopay, sumokami abu mokesčiai).
Registracija į aukcioną vyksta nuo 2025-10-06 00:00:00 iki 2025-10-08 23:59:59. Pats aukcionas vyks nuo 2025-10-13 09:00:00 iki 2025-10-14 13:59:59. Dėl objekto apžiūros būtina kreiptis individualiai iš anksto, suderinant laiką iki registracijos pradžios.
Sutarties projektai yra prieinami viešai. Mokėjimus už registraciją ir garantinį įnašą galima atlikti tiesiogiai per elektroninę bankininkystę naudojant NEOPAY sistemą, arba pervedant į nurodytą AB SEB banko sąskaitą (LT14 7044 0600 0044 3912), nurodant el. aukciono numerį paskirtyje.
Objekto pardavimo sąlygas ir su sutartimis susijusią detalią informaciją teikia Turto pardavimų skyrius, atstovaujamas Valstybės įmonės Turto bankas (įm. k. 112021042).
📍 Objekto lokacija
📍 Švenčionių r. sav. Augustavo k. Pašaminės g.
❓ Dažnai užduodami klausimai
Kokia pradinė buitinių nuotekų tinklų kaina aukcione?
Pradinė kaina yra 95 EUR.
Kada baigiasi registracija ir kada prasideda bei baigiasi aukcionas pagal ID 73051?
Registracija baigiasi 2025-10-08 23:59:59. Aukcionas vyks nuo 2025-10-13 09:00:00 iki 2025-10-14 13:59:59.
Koks yra bendras parduodamų tinklų ilgis ir unikalus numeris?
Tinklų ilgis yra 640.43 metrai, o unikalus numeris – 4400-4314-7619.
Kokie papildomi mokesčiai taikomi dalyvaujant aukcione?
Reikalingas 9 EUR garantinis mokestis ir 1 EUR registracijos mokestis.
Kokia objekto buklė ir ar garantuojami kadastro duomenys?
Objektas parduodamas esamos fizinės ir funkcinės būklės. Valstybės įmonė Turto bankas neįsipareigoja nustatyti aktualios turto kadastro duomenų būklės.
Kur galima susipažinti su pirkimo-pardavimo sutarties projektu?
Nekilnojamojo turto pirkimo-pardavimo sutarčių projektai skelbiami nurodytame nuorodoje, su juo galima susipažinti kreipiantis nurodytais kontaktais.