📝 Aprašymas
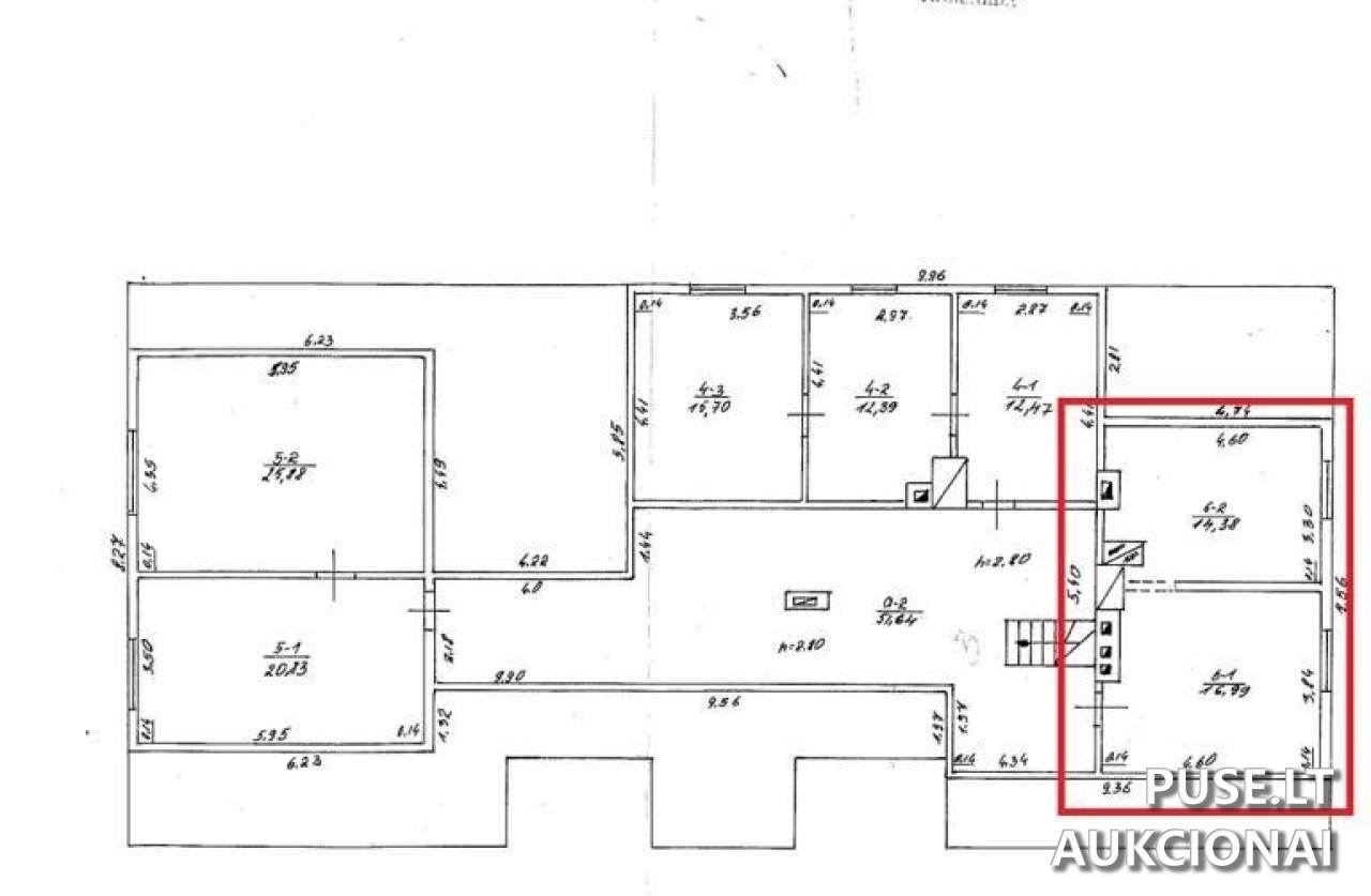
Parduodamas 1/1 dalies butas, esantis Plungės rajono savivaldybėje, Žlibinų seniūnijoje, Žlibinų kaime, Žarėnų g. 63-6. Bendra buto ploto dalis yra 31,37 kv. m. Parduodamas turtas taip pat apima 1/6 dalį bendrųjų kiemo statinių (šulinys, lauko tualetai) su unikaliu numeriu 6893-3005-4140.
Butui priskiriamos ir bendrai naudojamos patalpos, įskaitant 1/4 dalį (10,97 kv. m) bei 1/3 dalį (51,64 kv. m), bendras šių papildomų patalpų plotas siekia 19,95 kv. m. Patalpos unikalus numeris 6893-3005-4019:0006. Svarbu pažymėti, kad prie pagrindinės buto dalies pritvirtinta dalis bendro naudojimo patalpos a-2 nėra užfiksuota Nekilnojamojo turto kadastre.
Nekilnojamasis turtas parduodamas esamos fizinės ir funkcinės būklės, vadovaujantis esamais kadastro duomenimis. Parduodamas objektas neturi jokių komunikacijų. Gyvenamasis namas, kuriame yra šis butas, stovi valstybinėje žemėje, kurios sklypas nėra suformuotas, ir teisės į šį žemės sklypą nėra perleidžiamos. Tarp bendraturčių nėra susitarimų dėl bendros dalinės nuosavybės naudojimosi tvarkos.
Papildoma informacija apie rizikas: Inžinierinis statinys (lauko tualetas), unikalus Nr. 6893-3005-4140, neatitinka taikomų teisės aktų reikalavimų. Pirkėjas prisiima visas teisines ir ekonomines rizikas, susijusias su šio statinio pirkimu. Valstybės įmonė Turto bankas neįsipareigoja nustatyti aktualios kadastro būklės, iškraustyti asmenų ar atsakyti už statinio trūkumus bei neatitikimus teisės aktams.
Butui priskiriamos ir bendrai naudojamos patalpos, įskaitant 1/4 dalį (10,97 kv. m) bei 1/3 dalį (51,64 kv. m), bendras šių papildomų patalpų plotas siekia 19,95 kv. m. Patalpos unikalus numeris 6893-3005-4019:0006. Svarbu pažymėti, kad prie pagrindinės buto dalies pritvirtinta dalis bendro naudojimo patalpos a-2 nėra užfiksuota Nekilnojamojo turto kadastre.
Nekilnojamasis turtas parduodamas esamos fizinės ir funkcinės būklės, vadovaujantis esamais kadastro duomenimis. Parduodamas objektas neturi jokių komunikacijų. Gyvenamasis namas, kuriame yra šis butas, stovi valstybinėje žemėje, kurios sklypas nėra suformuotas, ir teisės į šį žemės sklypą nėra perleidžiamos. Tarp bendraturčių nėra susitarimų dėl bendros dalinės nuosavybės naudojimosi tvarkos.
Papildoma informacija apie rizikas: Inžinierinis statinys (lauko tualetas), unikalus Nr. 6893-3005-4140, neatitinka taikomų teisės aktų reikalavimų. Pirkėjas prisiima visas teisines ir ekonomines rizikas, susijusias su šio statinio pirkimu. Valstybės įmonė Turto bankas neįsipareigoja nustatyti aktualios kadastro būklės, iškraustyti asmenų ar atsakyti už statinio trūkumus bei neatitikimus teisės aktams.
📍 Objekto lokacija
📍 Plungės r. sav. Žlibinų k. Žarėnų g. 63-6
❓ Dažnai užduodami klausimai
Kokia yra pradinė buto pardavimo kaina aukcione?
Buto (unikalus Nr. 6893-3005-4019:0006) pradinė kaina yra 567 EUR.
Kada vyksta aukcionas, kuriame parduodamas butas Plungės rajone?
Aukcionas prasideda 2025-10-15 09:00:00 ir baigiasi 2025-10-16 13:59:59.
Koks yra buto bendras plotas ir kokios papildomos dalys parduodamos kartu?
Bendra buto ploto dalis yra 31,37 kv. m. Taip pat parduodama 1/6 dalis kiemo statinių (šulinys, lauko tualetai) ir dalis bendrųjų naudojimo patalpų.
Kada reikia spėti užregistruotis dalyvauti aukcione?
Registracija į aukcioną prasideda 2025-10-08 00:00:00 ir baigiasi 2025-10-10 23:59:59.
Kokie papildomi mokesčiai mokami be pradinės kainos?
Reikalingas Garantinis mokestis 56 EUR ir Registracijos mokestis 1 EUR.
Ar parduodamas turtas turi suformuotą žemės sklypą ir kokios sąlygos taikomos žemės atžvilgiu?
Gyvenamasis namas yra valstybinėje žemėje, kurios sklypas nesuformuotas, ir teisės į žemės sklypą nėra perleidžiamos.