1/2 dalis buto su rūsiu Rambyno g. 18 Klaipėdoje, pradinė kaina 5600 EUR
📝 Aprašymas
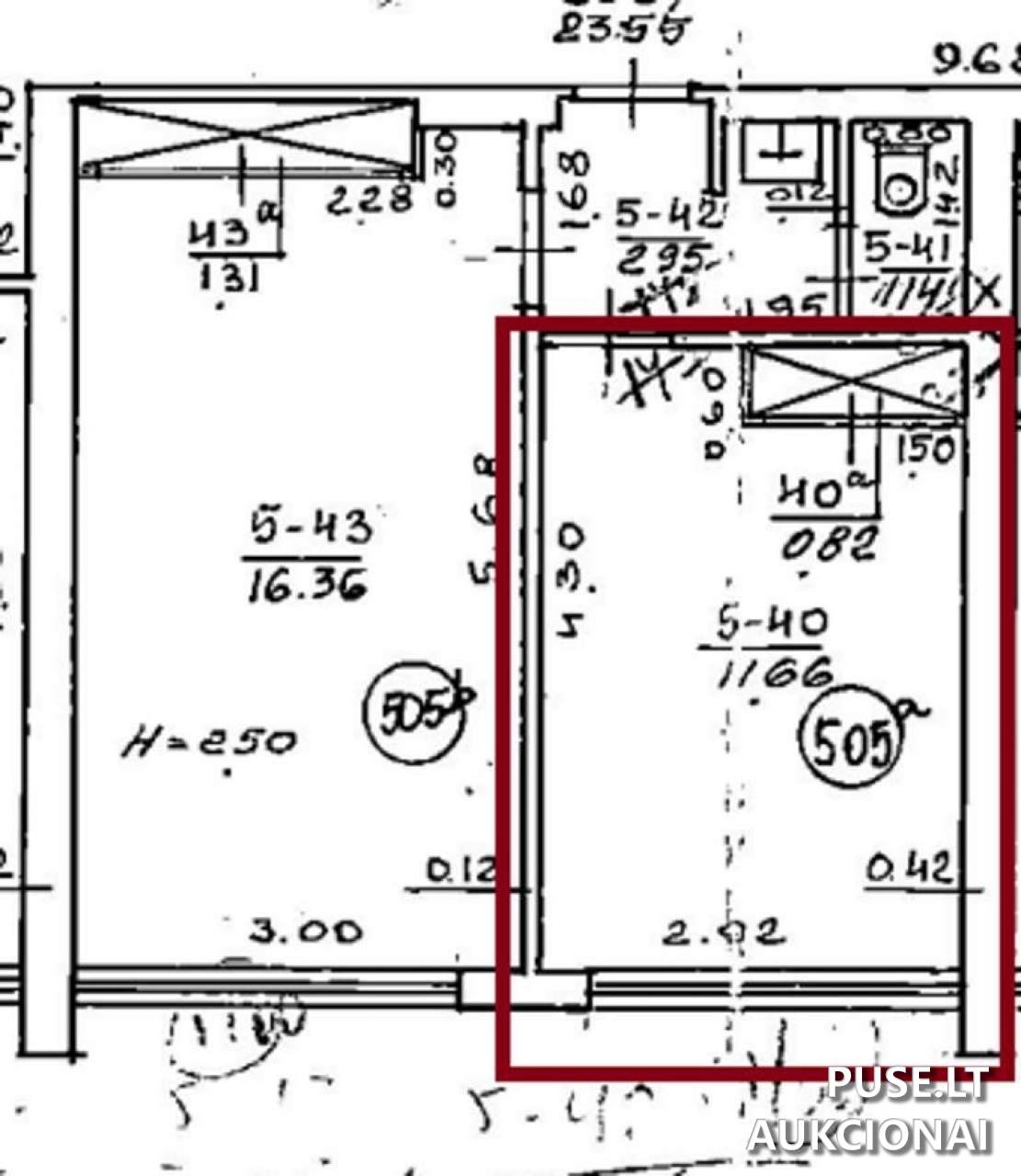
Parduodama 1/2 dalis buto su priklausančiu rūsiu ir bendro naudojimo patalpomis Klaipėdos mieste, esanti Rambyno g. 18-505A, Klaipėdos m. savivaldybėje. Tai yra pirminis Turto banko aukcionas, kurio pradinė kaina siekia 5600 EUR. Būtent šios dalies unikalus numeris yra 2198-5002-8019:0053. Buto bendras plotas yra 12.48 kv. m, tačiau parduodama tik 1/2 dalis bendros nuosavybės.
Nekilnojamasis turtas parduodamas esamos fizinės ir funkcinės būklės, pagal galiojančius kadastro duomenis. Svarbu atkreipti dėmesį, kad VĮ Turto bankas neįsipareigoja nustatyti aktualios būklės, įregistruoti naujų kadastro duomenų ar iškraustyti turte esančių daiktų. Parduodamam objektui priskirtas rūsys yra bendrojo naudojimo patalpa, kurios specifinė vieta ir indeksas nenustatyti. Visi bendrojo naudojimo patalpų valdymo, naudojimo ir disponavimo klausimai sprendžiami tik sutariamai su kitais bendraturčiais, nes bendraturčiai nėra sudarę susitarimų dėl bendros dalinės nuosavybės tvarkos.
Taip pat pirkėjui tenka dalis bendro naudojimo patalpų (1/10 dalis iš 13,20 kv. m, 1/10 dalis iš 23,55 kv. m ir kitos dalinės nuosavybės teisės į kitas patalpas). Prieš dalyvaujant aukcione, rekomenduojama susipažinti su turto pirkimo-pardavimo sutarties projektu, kuris pasiekiamas nurodytoje nuorodoje.
VĮ Turto bankas nėra sudaręs elektros tiekimo sutarties su paslaugos tiekėju šiam objektui.
Nekilnojamasis turtas parduodamas esamos fizinės ir funkcinės būklės, pagal galiojančius kadastro duomenis. Svarbu atkreipti dėmesį, kad VĮ Turto bankas neįsipareigoja nustatyti aktualios būklės, įregistruoti naujų kadastro duomenų ar iškraustyti turte esančių daiktų. Parduodamam objektui priskirtas rūsys yra bendrojo naudojimo patalpa, kurios specifinė vieta ir indeksas nenustatyti. Visi bendrojo naudojimo patalpų valdymo, naudojimo ir disponavimo klausimai sprendžiami tik sutariamai su kitais bendraturčiais, nes bendraturčiai nėra sudarę susitarimų dėl bendros dalinės nuosavybės tvarkos.
Taip pat pirkėjui tenka dalis bendro naudojimo patalpų (1/10 dalis iš 13,20 kv. m, 1/10 dalis iš 23,55 kv. m ir kitos dalinės nuosavybės teisės į kitas patalpas). Prieš dalyvaujant aukcione, rekomenduojama susipažinti su turto pirkimo-pardavimo sutarties projektu, kuris pasiekiamas nurodytoje nuorodoje.
VĮ Turto bankas nėra sudaręs elektros tiekimo sutarties su paslaugos tiekėju šiam objektui.
📍 Objekto lokacija
📍 Klaipėdos m. sav. Klaipėdos m. Rambyno g. 18-505A
❓ Dažnai užduodami klausimai
Kada vyksta buto dalies Rambyno g. 18 aukcionas?
Aukcionas prasideda 2025-11-10 09:00:00 ir baigiasi 2025-11-11 13:59:59.
Kokia yra pradinė pardavimo kaina ir kokie mokesčiai reikalingi dalyvavimui?
Pradinė kaina yra 5600 EUR. Garantinis mokestis yra 560 EUR, o registracijos mokestis - 30 EUR.
Koks parduodamas turtas Klaipėdoje, Rambyno g. 18?
Parduodama 1/2 dalis buto (unikalus Nr. 2198-5002-8019:0053) su bendro naudojimo patalpų dalimis ir rūsiu (rūsys yra bendrojo naudojimo patalpa, kurios vieta nenustatyta).
Kada vyksta registracija į aukcioną?
Registracija prasideda 2025-11-03 00:00:00 ir baigiasi 2025-11-05 23:59:59.
Ar pardavėjas iškrausto esamus daiktus iš parduodamo nekilnojamojo turto?
VĮ Turto bankas neįsipareigoja iškraustyti iš turto esančių daiktų. Turtas parduodamas esamos būklės.
Kokie aspektai susiję su bendro naudojimo patalpų naudojimu?
Kadangi bendraturčiai nėra sudarę susitarimų dėl bendros dalinės nuosavybės tvarkos, visi klausimai, susiję su bendrojo naudojimo patalpų valdymu, naudojimu ir disponavimu, sprendžiami tik bendraturčių sutarimu.