Gyvenamasis namas Jurbarke, Šaltuonos g. 32 – 65 m², pradinė kaina 2 484 €
📝 Aprašymas
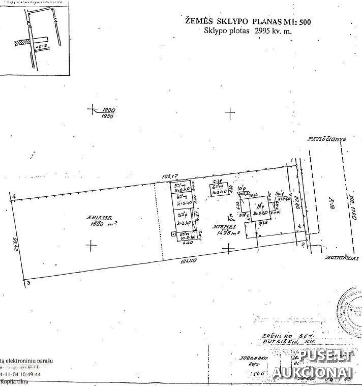
Gyvenamasis namas vienbučio tipo (1A1p), bendras plotas 65,03 m², unikalus numeris 9497-8008-1016. Priedai ir ūkiniai pastatai: malkinė 19,99 m² (9497-8008-1027), tvartas 55,73 m² (9497-8008-1038), daržinė 46,86 m² (9497-8008-1049), malkinė 26,40 m² (9497-8008-1050), viralinė 27,26 m² (9497-8008-1062), kiemo statiniai (lauko tualetas, šulinys gylis 14 m, tvora 92,94 m) (9497-8008-1070). Žemės sklypas 0,1854 ha, unikalus numeris 9464-0004-0141, adresas: Jurbarko r. sav., Eržvilko sen., Rutkiškių k., Šaltuonos g. 32.
Objektas parduodamas esamos fizinės ir funkcinės būklės. Turto bankas neįsipareigoja iškraustyti jame esančių daiktų ir neįvertina kadastro duomenų būklės. Gyvenamojo namo stogas fiziškai pažeistas ir nesandarus. Bendraturčiai neturi susitarimų dėl naudojimosi bendros dalinės nuosavybės turtu. Yra kelio servitutas (103,00 m²) – teisė važiuoti transporto priemonėmis, naudotis pėsčiųjų taku, varyti galvijus. Objekte yra elektros įvadas ir elektros apskaitos prietaisas; rezervuota elektros galia, už kurios rezervavimą mokėjimus privalo vykdyti vartotojas. Skolų už elektros tiekimą nenumatyta. Turto bankas neįsipareigoja dėl nenutrūkstamo elektros tiekimo ar vidaus tinklų techninės tvarkos. Visi darbai, susiję su vidaus elektros tinklų remontu ar elektros tiekimo atnaujinimu, perkeliami pirkėjo atsakomybei ir rizikai.
Objektas parduodamas esamos fizinės ir funkcinės būklės. Turto bankas neįsipareigoja iškraustyti jame esančių daiktų ir neįvertina kadastro duomenų būklės. Gyvenamojo namo stogas fiziškai pažeistas ir nesandarus. Bendraturčiai neturi susitarimų dėl naudojimosi bendros dalinės nuosavybės turtu. Yra kelio servitutas (103,00 m²) – teisė važiuoti transporto priemonėmis, naudotis pėsčiųjų taku, varyti galvijus. Objekte yra elektros įvadas ir elektros apskaitos prietaisas; rezervuota elektros galia, už kurios rezervavimą mokėjimus privalo vykdyti vartotojas. Skolų už elektros tiekimą nenumatyta. Turto bankas neįsipareigoja dėl nenutrūkstamo elektros tiekimo ar vidaus tinklų techninės tvarkos. Visi darbai, susiję su vidaus elektros tinklų remontu ar elektros tiekimo atnaujinimu, perkeliami pirkėjo atsakomybei ir rizikai.
📍 Objekto lokacija
📍 Jurbarko r. sav. Rutkiškių k. Šaltuonos g. 32
❓ Dažnai užduodami klausimai
Kokia pradinė kaina ir kokie mokesčiai reikalingi registruojantis į aukcioną?
Pradinė kaina 2 484 €. Garantinis įnašas 248 € ir registracijos mokestis 10 €. Registracija vyksta nuo 2025-10-27 iki 2025-10-29.
Koks yra objekto adresas ir kokio dydžio sklypas parduodamas?
Adresas: Jurbarko r. sav., Rutkiškių k., Šaltuonos g. 32. Žemės sklypas 0,1854 ha, unikalus numeris 9464-0004-0141.
Kokie pastatai įtraukti į pardavimą ir jų plotai?
Gyvenamasis namas 65,03 m² (9497-8008-1016) ir keli ūkiniai pastatai: malkinės, tvartas, daržinė, viralinė bei kiemo statiniai su atitinkamais unikalais numeriais, kaip nurodyta skelbime.
Ar yra apribojimų ar servitutų?
Taip, registre nurodytas kelio servitutas (103,00 m²) – teisė važiuoti transporto priemonėmis, naudotis pėsčiųjų taku, varyti galvijus.
Kokia yra pastato būklė ir kas atsako už tinklo/elektros darbų atlikimą?
Objektas parduodamas esamos būklės. Gyvenamojo namo stogas yra fiziškai pažeistas ir nesandarus. Elektros įvadas ir apskaita yra įrengti, tačiau pirkėjas prisiima atsakomybę už vidaus tinklų remontą, elektros tiekimo atnaujinimą ir su tuo susijusias išlaidas.
Kada vyksta aukcionas ir kaip sužinoti daugiau apie sutarties projektus?
Aukcionas vyksta nuo 2025-11-03 09:00 iki 2025-11-04 13:59:59. Pirkimo-pardavimo sutarčių projektai skelbiami Turto banko skelbimuose; dėl papildomos informacijos kreiptis per Turto banko oficialius kontaktus.
Kaip organizuojamos apžiūros?
Apžiūros organizuojamos iki registracijos pradžios (iki 2025-10-27), iš anksto individualiai suderinus laiką su Turto banko Turto pardavimų skyriumi.