LT EN RU UA

Butas Plungės rajone, Žarėnų g. 63 – pradinė kaina 397 EUR, aukcionas 2025-11-10

📝 Aprašymas

★★★★★ ★★★★★ 3.2
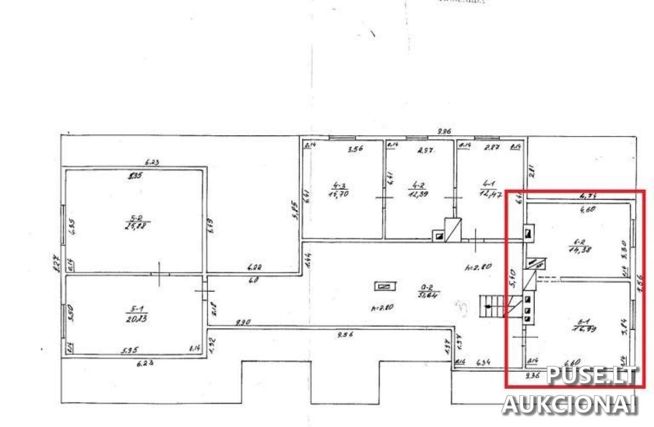
Butas Plungės r. sav., Žlibinų k., Žarėnų g. 63-6. Bendras plotas 31,37 kv. m. Butas parduodamas kartu su bendro naudojimo patalpų dalimis: 1/4 dalis iš 10,97 kv. m ir 1/3 dalis iš 51,64 kv. m (bendra bendrai naudojamų patalpų dalis: 19,95 kv. m). Taip pat parduodama 1/6 dalis kiemo statinių (šulinys, lauko tualetai), unikalus numeris 6893-3005-4140, Žarėnų g. 63. Nekilnojamojo turto unikalus numeris 6893-3005-4019:0006. Pradinė kaina 397 EUR. Garantinis mokestis 39 EUR, registracijos mokestis 1 EUR. Nekilnojamasis turtas parduodamas esamos fizinės ir funkcinės būklės bei pagal esamus nekilnojamojo turto kadastro duomenis; pakitimai nekilnojamojo turto kadastro duomenyse nėra užfiksuoti. Gyvenamasis namas stovi valstybinėje žemėje, žemės sklypas nesuformuotas; teisės į žemės sklypą nėra perleidžiamos. Inžinerinis statinys (lauko tualetas, unikalus Nr. 6893-3005-4140) neatitinka įrengimui ir eksploatavimui taikomų teisės aktų reikalavimų — pirkėjui rekomenduojama išnagrinėti teisines ir ekonomines rizikas, iki aukciono dienos atlikti vietinę apžiūrą ir įvertinti įrengimo ar nugriovimo galimybes bei galimas išlaidas. VĮ Turto bankas neįsipareigoja iškraustyti turto viduje esančių daiktų ir neatsako už nuostolius, kylančius dėl statinių neatitikimo teisės aktams ar kitų trūkumų. Komunikacijų nėra.

📍 Objekto lokacija

📍 Plungės r. sav. Žlibinų k. Žarėnų g. 63-6

❓ Dažnai užduodami klausimai

Kada vyksta aukcionas ir kokia pradinė kaina?
Aukcionas vyksta nuo 2025-11-10 09:00 iki 2025-11-11 13:59:59. Pradinė kaina yra 397 EUR.
Koks yra užstatas ir registracijos mokestis?
Garantinis mokestis (užstatas) yra 39 EUR, registracijos mokestis 1 EUR.
Kokia objekto lokacija ir unikalūs numeriai?
Adresas: Plungės r. sav., Žlibinų k., Žarėnų g. 63-6. Buto unikalus numeris 6893-3005-4019:0006; kiemo statinių unikalus numeris 6893-3005-4140.
Koks buto plotas ir kokios bendros dalys parduodamos?
Bendras buto plotas 31,37 kv. m. Pardavimo sąraše taip pat yra bendro naudojimo patalpų dalys: 1/4 dalis iš 10,97 kv. m ir 1/3 dalis iš 51,64 kv. m (bendra šių dalių suma nurodyta kaip 19,95 kv. m). Be to parduodama 1/6 dalis kiemo statinių.
Ar yra komunikacijos ir ar perduodamos teisės į žemę?
Komunikacijų nėra. Gyvenamasis namas stovi valstybinėje žemėje, žemės sklypas nesuformuotas ir teisės į žemės sklypą nėra perleidžiamos.
Ar yra kokių nors papildomų apribojimų ar rizikų, į kuriuos reikėtų atsižvelgti?
Taip. Lauko tualetas (unik. 6893-3005-4140) neatitinka teisės aktų reikalavimų — tai gali reikalauti papildomų remonto ar griovimo išlaidų, leidimų. VĮ Turto bankas neatsako už nuostolius, susijusius su šių statinių trūkumais.
Kaip galima susitarti dėl apžiūros?
Apžiūros organizuojamos iki registracijos pabaigos; laikas turi būti iš anksto suderintas su Turto banko Turto pardavimų skyriumi. Apžiūros metu rekomenduojama patikrinti lauko statinių būklę ir įvertinti galimas sąnaudas.

⏱ Aukciono laikas

Aukcionas pasibaigė

Registracija

Iki: 2025-11-05 23:59:59

Aukcionas

Iki: 2025-11-11 13:59:59

🏠 Objekto informacija

📍 Adresas
Plungės r. sav. Žlibinų k. Žarėnų g. 63-6
Tipas
Pakartotinis
Potipis
Patalpos/Butai
Objekto ID: 402389
💰 Pradinė kaina
397.00 €
Užstatas
39.00 €
Registracijos mokestis
1.00 €
Mažiausias kainos didinimas
50.00 €
Patvirtinimas
per 2 d. d.
Dalyvauti aukcione
🔑 Raktažodžiai
butas aukcione Plungės rajone pigus butas aukcione 397 EUR Žarėnų g. 63 butas aukcionas nekilnojamojo turto aukcionas Plungė butas be žemės sklypo aukcione