Butas Kybartuose, Šiaudiniškių g. 13 (1/2 dalis) – 2 950 EUR
📝 Aprašymas
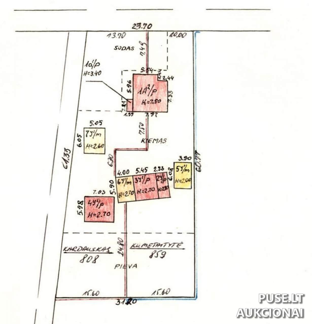
Parduodama 1/2 dalis buto su pagalbinėmis nenaudingomis patalpomis (2,17 kv.m). Buto bendras plotas 40.38 kv.m. Objektas: Vilkaviškio r. sav., Kybartų sen., Šiaudiniškių k., Šiaudiniškių g. 13-1. Unikalus Nr. 3997-8019-2010:0001. Parduodamos taip pat 1/2 dalys užstatytų plotų: viralinės užstatyto ploto 15.00 kv.m (Un. Nr. 3997-8019-2022), ūkinio pastato užstatyto ploto 32.00 kv.m (Un. Nr. 3997-8019-2030), ūkinio pastato-garažo užstatyto ploto 24.00 kv.m (Un. Nr. 3997-8019-2052), daržinės užstatyto ploto 24.00 kv.m (Un. Nr. 3997-8019-2063). Taip pat parduodama 0.0427 ha iš 0.1667 ha žemės sklypo (Un. Nr. 4400-0073-4589, Vilkaviškio r. sav., Kybartų sen., Šiaudiniškių k., Šiaudiniškių g. 13).
Aukcione parduodamas nekilnojamas turtas yra fizinės ir funkcinės būklės, tokios, kokios yra, bei pagal esamus nekilnojamojo turto kadastro duomenis. VĮ Turto bankas neįsipareigoja nustatyti aktualios kadastro duomenų būklės ar įregistruoti pakeitimų. VĮ Turto bankas neįsipareigoja iškraustyti objekte esančių daiktų. VĮ Turto bankas nėra sudaręs elektros tiekimo sutarties su paslaugos tiekėju. Bendraturčiai nėra sudarę susitarimų dėl naudojimosi bendros dalinės nuosavybės tvarkos. Žemės sklypo savininkas ir patikėtiniai nėra sudarę susitarimų dėl naudojimosi žemės sklypo dalimis tvarkos.
Pradinė kaina: 2 950 EUR. Garantinis mokestis: 295 EUR. Registracijos mokestis: 10 EUR.
Aukcione parduodamas nekilnojamas turtas yra fizinės ir funkcinės būklės, tokios, kokios yra, bei pagal esamus nekilnojamojo turto kadastro duomenis. VĮ Turto bankas neįsipareigoja nustatyti aktualios kadastro duomenų būklės ar įregistruoti pakeitimų. VĮ Turto bankas neįsipareigoja iškraustyti objekte esančių daiktų. VĮ Turto bankas nėra sudaręs elektros tiekimo sutarties su paslaugos tiekėju. Bendraturčiai nėra sudarę susitarimų dėl naudojimosi bendros dalinės nuosavybės tvarkos. Žemės sklypo savininkas ir patikėtiniai nėra sudarę susitarimų dėl naudojimosi žemės sklypo dalimis tvarkos.
Pradinė kaina: 2 950 EUR. Garantinis mokestis: 295 EUR. Registracijos mokestis: 10 EUR.
📍 Objekto lokacija
📍 Vilkaviškio r. sav. Šiaudiniškių k. Šiaudiniškių g. 13-1
❓ Dažnai užduodami klausimai
Kokia pradinė buto kaina ir kokie mokėjimo mokesčiai?
Pradinė kaina yra 2 950 EUR. Garantinis mokestis 295 EUR, registracijos mokestis 10 EUR.
Koks objekto adresas ir ką tiksliai parduodate?
Adresas: Šiaudiniškių g. 13-1, Šiaudiniškių k., Kybartų sen., Vilkaviškio r. sav. Parduodama 1/2 dalis buto (bendras plotas 40.38 kv.m) su pagalbinėmis patalpomis (2.17 kv.m), taip pat 1/2 dalys kelių pagalbinių pastatų ir 0.0427 ha žemės sklypo dalis (Un. Nr. 3997-8019-2010:0001 ir kiti nurodyti unikalūs Nr.).
Kada vyksta registracija ir aukcionas?
Registracija prasideda 2025-12-01 00:00:00 ir baigiasi 2025-12-03 23:59:59. Aukcionas vyksta nuo 2025-12-08 09:00:00 iki 2025-12-09 13:59:59.
Ar Turto bankas įsipareigoja pasirūpinti kadastro įrašais arba iškraustyti daiktus iš objekto?
Ne. VĮ Turto bankas neįsipareigoja nustatyti ar atnaujinti kadastro duomenų bei neįsipareigoja iškraustyti objekte esančių daiktų.
Kaip organizuojamos apžiūros?
Apžiūros organizuojamos iki registracijos pradžios į aukcioną. Apžiūrą reikia iš anksto individualiai suderinti su Turto banko Turto pardavimų skyriumi.
Ar yra sudaryti susitarimai dėl bendros dalinės nuosavybės naudojimo?
Ne. Bendraturčiai nėra sudarę susitarimų dėl naudojimosi bendros dalinės nuosavybės tvarkos. Taip pat žemės sklypo savininkas ir patikėtiniai nėra sudarę susitarimų dėl naudojimosi žemės sklypo dalimis tvarkos.
Kokie yra pagrindiniai rizikos aspektai potencialiam pirkėjui?
Pagrindinės rizikos: parduodama dalis (1/2), galimi dalies valdymo apribojimai dėl nesusitarimų tarp bendraturčių, Turto bankas neįsipareigoja tvarkyti kadastro įrašų ar iškraustyti daiktų, nėra vykdoma elektros tiekimo sutartis. Rekomenduojama prieš pirkimą atlikti papildomą due diligence ir apžiūrą.