LT EN RU UA

Mažeikiuose: 1/5 garažo (boksas) Žagarėlės g. 3E - pradinė kaina 52 EUR

📝 Aprašymas

★★★★★ ★★★★★ 3.2
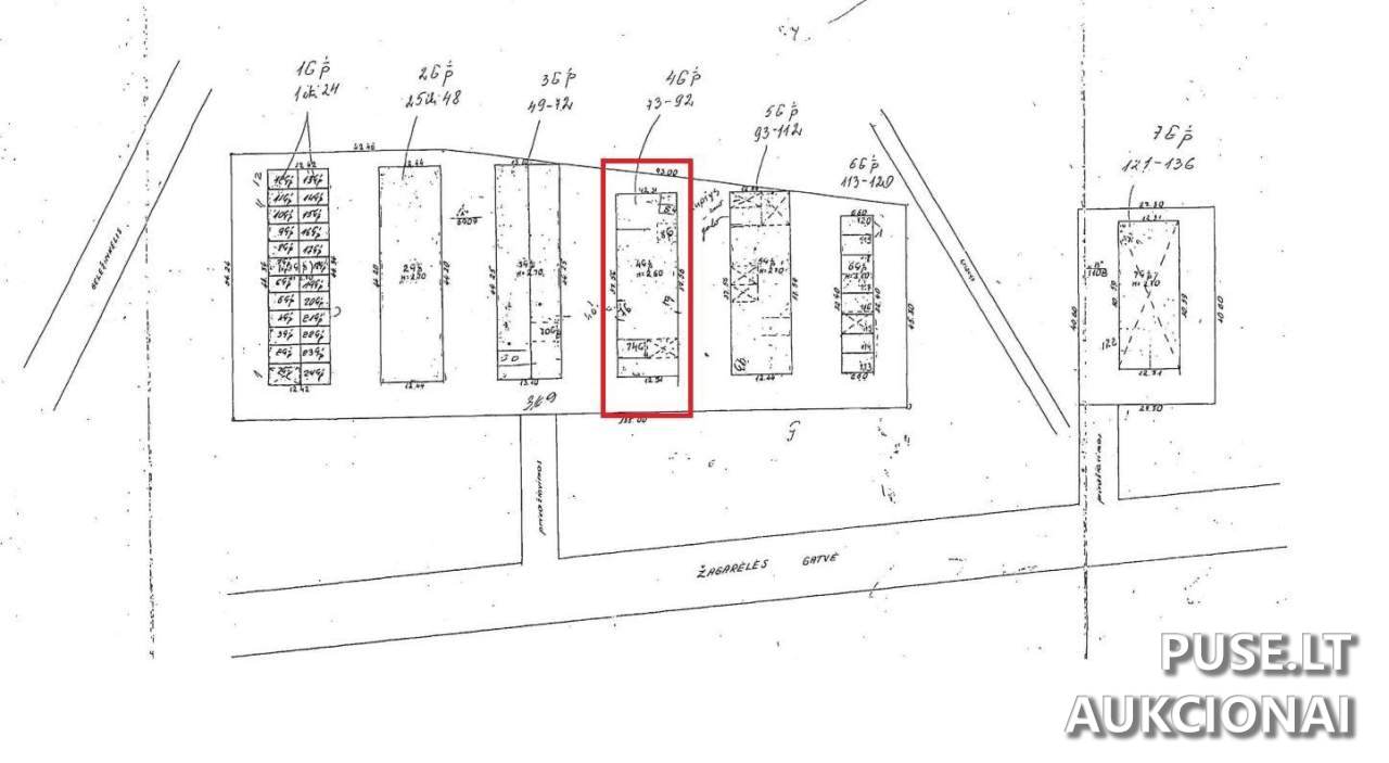
Parduodama 1/5 dalis garažo (bokso) g/k Nr.39a, bendras parduodamos dalies plotas 19,99 kv. m. Unikalus numeris 6198-9002-3043:0009. Adresas: Mažeikių r. sav., Mažeikių m., Žagarėlės g. 3E-87. Parduodamas turtas parduodamas esamos fizinės ir funkcinės būklės. VĮ Turto bankas neįsipareigoja nustatyti nekilnojamojo turto kadastrinių duomenų būklės ar iškraustyti jame esančių daiktų. Bendraturčiai nėra susitarę dėl naudojimosi bendros dalinės nuosavybės tvarkos. Garažo dalis yra faktiškai naudojama trečiojo asmens (garažo bendraturčio); apžiūra yra ribota, o VĮ Turto bankas neprivalo iki nuosavybės perleidimo iškeldinti faktiškai naudojančio asmens. Garažo dalis yra valstybinėje žemėje, žemės sklypas nesuformuotas; teisės į žemės sklypą nėra perleidžiamos.

📍 Objekto lokacija

📍 Mažeikių r. sav. Mažeikių m. Žagarėlės g. 3E-87

❓ Dažnai užduodami klausimai

Koks yra pradinės aukciono kainos dydis ir kokios mokesčių sumos reikalingos registracijai?
Pradinė kaina: 52 EUR. Garantinis mokestis: 5 EUR. Registracijos mokestis: 1 EUR.
Kada vyksta aukcionas ir iki kada reikia registruotis?
Aukcionas prasideda 2025-12-22 09:00:00 ir baigiasi 2025-12-23 13:59:59. Registracija vyksta nuo 2025-12-15 00:00:00 iki 2025-12-17 23:59:59.
Koks yra objekto adresas ir unikalus numeris?
Adresas: Mažeikių r. sav., Mažeikių m., Žagarėlės g. 3E-87. Unikalus numeris: 6198-9002-3043:0009.
Kokia yra parduodama dalis ir plotas?
Parduodama 1/5 dalis garažo (bokso) g/k Nr.39a, parduodamos dalies plotas 19,99 kv. m.
Ar turto pardavimas apima teisę į žemės sklypą?
Ne. Garažo dalis yra valstybinėje žemėje, žemės sklypas nesuformuotas, teisės į žemės sklypą nėra perleidžiamos.
Ar galima laisvai apžiūrėti objektą?
Apžiūra yra ribota, nes turtas faktiškai naudojamas trečiojo asmens. Apžiūros organizuojamos iki registracijos pradžios, iš anksto suderinus laiką su Turto banku.
Kokios yra pagrindinės pardavimo sąlygos susijusios su šiuo objektu?
Turtas parduodamas esamos fizinės ir funkcinės būklės. VĮ Turto bankas neįsipareigoja nustatyti kadastrinių duomenų būklės, iškraustyti daiktų ar evakuoti faktiškai naudojančio asmens iki nuosavybės perleidimo. Bendraturčiams nėra susitarimo dėl naudojimosi bendros dalinės nuosavybės tvarkos.

⏱ Aukciono laikas

Aukcionas pasibaigė

Registracija

Iki: 2025-12-17 23:59:59

Aukcionas

Iki: 2025-12-23 13:59:59

🏠 Objekto informacija

📍 Adresas
Mažeikių r. sav. Mažeikių m. Žagarėlės g. 3E-87
Tipas
Pakartotinis
Potipis
Patalpos/Butai
Objekto ID: 403760
💰 Pradinė kaina
52.00 €
Užstatas
5.00 €
Registracijos mokestis
1.00 €
Mažiausias kainos didinimas
50.00 €
Patvirtinimas
per 2 d. d.
Dalyvauti aukcione
🔑 Raktažodžiai
garažo aukcionas Mažeikiai garažas Žagarėlės g. 3E 1/5 garažo dalis pardavimas Turto bankas aukcionai garažas garažas 52 EUR aukcionas