LT EN RU UA

Žemės sklypas Trakų r. sav., Šventininkų k. – 0,59 ha, prad. kaina 14 040 EUR

📝 Aprašymas

★★★★★ ★★★★★ 3.5
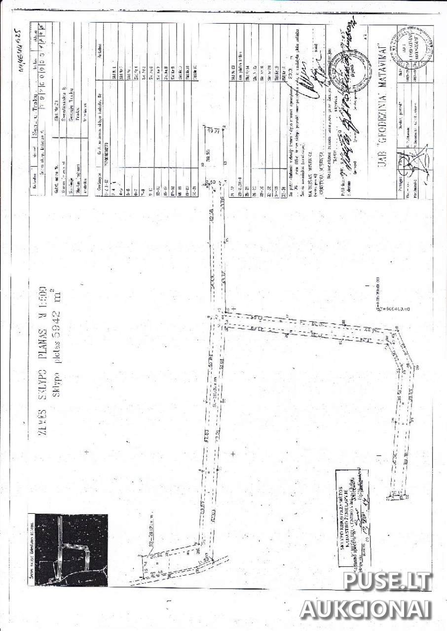
Parduodamas žemės sklypas Trakų r. sav., Šventininkų k. Bendras plotas 0,5942 ha. Daikto pagrindinė naudojimo paskirtis: Kita. Žemės sklypo naudojimo būdas: Susisiekimo ir inžinerinių tinklų koridorių teritorijos. Naudojimosi tvarka žemės sklypu nenustatyta. Pardavimo dalis: 1/1. Pradinė aukciono kaina: 14 040 EUR. Kadastrinis nr.: 7970/0003:1745. Unikalus nr.: 4400-2776-8805. Apribojimai: turto areštas. Aukcionas vyksta antstolių varžytynių tvarka.

📍 Objekto lokacija

📍 Trakų r. sav. Šventininkų k.

❓ Dažnai užduodami klausimai

Kokia pradinė aukciono kaina?
Pradinė kaina yra 14 040 EUR.
Kada vyksta aukcionas?
Aukcionas prasideda 2025-11-10 13:57:38 ir baigiasi 2025-12-10 13:57:59.
Kur yra sklypas ir koks jo plotas?
Sklypas yra Trakų r. sav., Šventininkų k. Bendras plotas 0,5942 ha (apie 0,59 ha).
Kokia sklypo paskirtis ir naudojimo būdas?
Daikto pagrindinė naudojimo paskirtis: Kita. Naudojimo būdas: Susisiekimo ir inžinerinių tinklų koridorių teritorijos. Naudojimosi tvarka nenustatyta.
Ar yra apribojimų ar įrašų registre?
Taip — nurodytas turto areštas. Išsamią informaciją apie apribojimus suteiks antstolės kontora.
Kaip susitarti dėl apžiūros?
Apžiūra vykdoma susitarus su antstolės kontora. Kontaktai pašalinti dėl privatumo; kreiptis per antstolės kontorą nurodytu kontaktu skelbime.
Kokie dokumentai identifikuoja sklypą?
Kadastrinis numeris 7970/0003:1745 ir unikalus numeris 4400-2776-8805.

⏱ Aukciono laikas

Aukcionas pasibaigė

Aukcionas

Iki: 2025-12-10 13:57:59

🏠 Objekto informacija

📍 Adresas
Trakų r. sav. Šventininkų k.
Tipas
Antrosios
Potipis
Sklypai
Kadastrinis Nr.
7970/0003:1745
⚠️ Apribojimai
Turto areštas
Objekto ID: 404230
💰 Pradinė kaina
14040.00 €
Dalyvauti aukcione
🔑 Raktažodžiai
žemės sklypas Trakų r. sklypas aukcionas 2025 sklypas susisiekimo koridorius sklypas 0.59 ha pardavimas antstolių varžytynės žemė