LT EN RU UA

Butas Plungėje, Žarėnų g. 63 (aukcione) – pradinė kaina 278 EUR

📝 Aprašymas

★★★★★ ★★★★★ 3.0
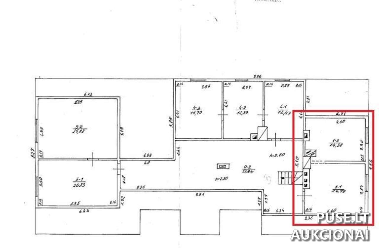
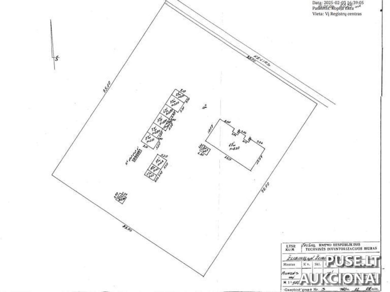
Butas parduodamas esamos fizinės ir funkcinės būklės pagal esamus nekilnojamojo turto kadastro duomenis. Butas su bendrai naudojamomis patalpomis (1/4 a-1 10,97 kv. m; 1/3 a-2 51,64 kv. m; iš viso 19,95 kv. m pagal pateiktus duomenis), bendras plotas 31,37 kv. m, unikalus numeris 6893-3005-4019:0006. Taip pat parduodama 1/6 dalis kiemo statinių (šulinys, lauko tualetai), unik. nr. 6893-3005-4140, adresu Žarėnų g. 63. Nekilnojamasis turtas neturi prijungtų inžinerinių tinklų (komunikacijų nėra). Gyvenamasis namas stovi valstybinėje žemėje; žemės sklypas nesuformuotas, teisės į žemės sklypą nepereinamos. Ypatingas objektui aktualus trūkumas: inžinerinis statinys (lauko tualetas, unik. nr. 6893-3005-4140) neatitinka įrengimui ir eksploatavimui taikomų teisės aktų reikalavimų. VĮ Turto bankas neįsipareigoja nustatyti aktualios kadastro duomenų būklės, nekrodo esamų daiktų, neatsako už nuostolius dėl statinio trūkumų ir neįsipareigoja iškraustyti jame esančių daiktų. Rekomenduojama potencialiam pirkėjui iki aukciono dienos savarankiškai atlikti vietinę apžiūrą, surinkti informaciją apie galimybes statinį įrengti arba nugriauti ir įvertinti galimus kaštus bei teisines ir ekonomines rizikas.

📍 Objekto lokacija

📍 Plungės r. sav. Žlibinų k. Žarėnų g. 63-6

❓ Dažnai užduodami klausimai

Kokia pradinė kaina ir kokios registracijos/garantijos išlaidos?
Pradinė kaina 278 EUR. Garantinis įnašas 27 EUR, registracijos mokestis 1 EUR.
Kada vyksta aukcionas ir kada vyksta registracija?
Aukcionas prasideda 2025-12-03 09:00:00 ir baigiasi 2025-12-04 13:59:59. Registracija vyksta nuo 2025-11-26 00:00:00 iki 2025-11-28 23:59:59.
Kur yra objektas ir kokios jo pagrindinės charakteristikos?
Adresas: Plungės r. sav., Žlibinų k., Žarėnų g. 63-6. Bendras buto plotas 31,37 kv. m, parduodama dalis 1/1. Taip pat parduodama 1/6 dalis kiemo statinių (šulinys, lauko tualetai) unik. nr. 6893-3005-4140.
Ar yra kokių nors reikšmingų trūkumų ar apribojimų?
Objektas parduodamas esamos fizinės ir funkcinės būklės; komunikacijų nėra. Lauko tualetas (unik. nr. 6893-3005-4140) neatitinka taikomų teisės aktų reikalavimų, todėl gali prireikti išlaidos jį įrengti arba nugriauti. Namą supanti žemė yra valstybinė, sklypas nesuformuotas, teisės į sklypą nepereinamos.
Ar reikia apžiūros prieš aukcioną?
Taip. Rekomenduojama iki registracijos pradžios (iki 2025-11-26) atlikti vietinę apžiūrą ir įvertinti teisines bei ekonomines rizikas, ypač susijusias su neatitinkančiu statiniu.
Kaip sumokėti registracijos mokestį ir garantinį įnašą?
Atsiskaitymo sąskaita: LT14 7044 0600 0044 3912 AB SEB banke, SWIFT CBVILT2X; gavėjas VĮ Turto bankas, įm. kodas 112021042. Mokėjimo paskirtyje nurodykite el. aukciono numerį.
Ar VĮ Turto bankas suteikia garantijas dėl turto būklės?
VĮ Turto bankas parduoda turtą esamos būklės ir neįsipareigoja nustatyti kadastro duomenų aktualumo, neatsako už užstatytus daiktus arba už bet kokius nuostolius dėl statinių trūkumų.

⏱ Aukciono laikas

Aukcionas pasibaigė

Registracija

Iki: 2025-11-28 23:59:59

Aukcionas

Iki: 2025-12-04 13:59:59

🏠 Objekto informacija

📍 Adresas
Plungės r. sav. Žlibinų k. Žarėnų g. 63-6
Tipas
Pakartotinis
Potipis
Patalpos/Butai
Objekto ID: 404304
💰 Pradinė kaina
278.00 €
Užstatas
27.00 €
Registracijos mokestis
1.00 €
Mažiausias kainos didinimas
50.00 €
Patvirtinimas
per 2 d. d.
Dalyvauti aukcione
🔑 Raktažodžiai
butas Plungėje aukcione pigūs butai aukcionas 278 EUR Žarėnų g. 63 butas nekilnojamojo turto aukcionas Plungės r. butas su kiemo dalimi aukcione