LT EN RU UA

Žemės sklypas Kaune, Viktoro Beržinsko g. 6 - 805 m², pradinė kaina 156 000 EUR

📝 Aprašymas

★★★★★ ★★★★★ 4.2
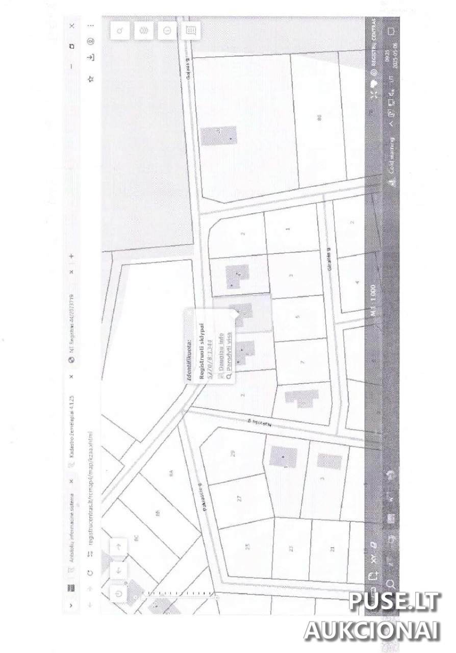
Parduodamas žemės sklypas Kauno r., Didvyrių k., Viktoro Beržinsko g. 6. Sklypo paskirtis: Kita / Vienbučių ir dvibučių gyvenamųjų pastatų teritorijos. Bendras plotas apie 805 m² (0.0805 ha). Pardavimo forma: antstolių varžytynės, parduodama dalis 1/1. Pradinė kaina 156 000 EUR. Registracijos ir mokėjimo sąlygos skelbiamos aukciono dokumentuose ir per antstolio kontorą. Objekto identifikaciniai numeriai: kadastrinis nr. 5270/0008:1344, unikalus nr. 4400-4310-1517. Turto apribojimai: hipotekos nutartis, turto areštas. Savininkas: UAB "Rent Service Group" (kodas 305602540).

📍 Objekto lokacija

📍 Kauno r. sav. Didvyrių k. Viktoro Beržinsko g. 6

❓ Dažnai užduodami klausimai

Koks objekto adresas ir paskirtis?
Objekto adresas: Kauno r. sav., Didvyrių k., Viktoro Beržinsko g. 6. Paskirtis: Kita / Vienbučių ir dvibučių gyvenamųjų pastatų teritorijos.
Kokia pradinė aukciono kaina ir kada vyksta aukcionas?
Pradinė kaina: 156 000 EUR. Aukcionas prasideda 2025-11-14 10:14:00 ir baigiasi 2025-12-15 10:14:59.
Koks sklypo plotas ir identifikaciniai numeriai?
Sklypo plotas apie 805 m² (0.0805 ha). Kadastrinis nr. 5270/0008:1344, unikalus nr. 4400-4310-1517.
Ar yra apribojimai ar įkeitimai ant turto?
Taip. Nurodyti apribojimai: hipotekos nutartis ir turto areštas. Daugiau informacijos apie apribojimus pateikiama aukciono dokumentuose.
Kaip galima susitarti dėl apžiūros ir kur rasti registracijos bei mokėjimo sąlygas?
Apžiūra derinama su antstolio kontora arba aukciono organizatoriumi; apžiūros laikas skelbiamas aukciono dokumentuose. Registracijos ir mokėjimo sąlygos skelbiamos aukciono dokumentuose ir per antstolio kontorą.
Kas yra turto savininkas?
Savininkas: UAB "Rent Service Group" (kodas 305602540).

⏱ Aukciono laikas

Aukcionas pasibaigė

Aukcionas

Iki: 2025-12-15 10:14:59

🏠 Objekto informacija

📍 Adresas
Kauno r. sav. Didvyrių k. Viktoro Beržinsko g. 6
Tipas
Pirmosios pakartotinės
Potipis
Sklypai
Kadastrinis Nr.
5270/0008:1344
⚠️ Apribojimai
Hipotekos nutartis Turto areštas
Objekto ID: 404542
💰 Pradinė kaina
156000.00 €
Dalyvauti aukcione
🔑 Raktažodžiai
žemės sklypas Kaune sklypas varžytynės Kaunas sklypas 805 m2 sklypas Viktoro Beržinsko g. aukcionas sklypas 156000 EUR