LT EN RU UA

Parduodama 1/2 gyvenamojo namo Vilniaus r., Karklėnuose, Aukštojoje g. 23 - pradinė kaina 22 300 EUR

📝 Aprašymas

★★★★★ ★★★★★ 5.0
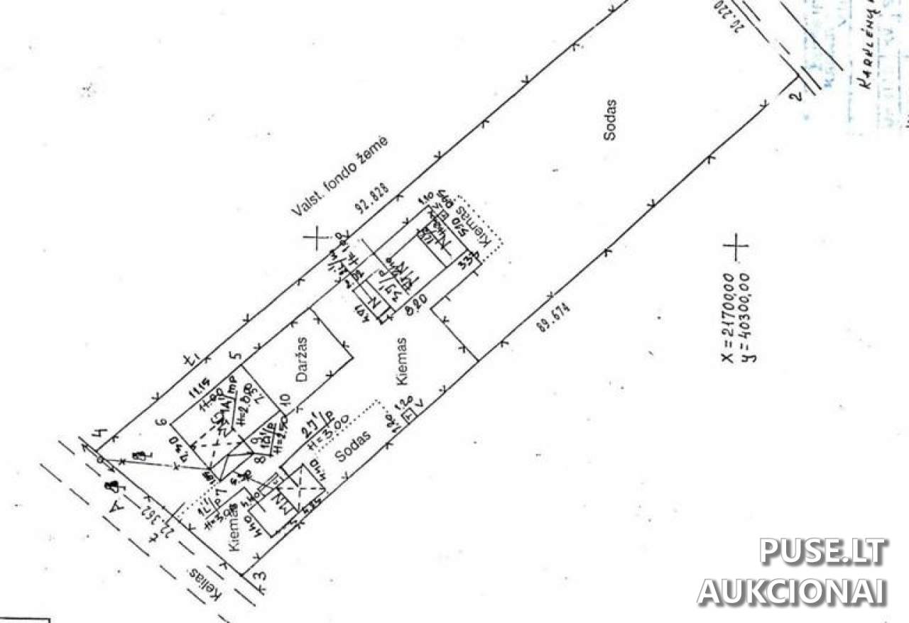
Parduodama 1/2 dalis gyvenamojo namo ir su juo susijusių ūkinio pastato bei žemės sklypo dalys adresu Aukštoji g. 23, Karklėnų k., Vilniaus r. sav. Parduodami komponentai: 1/2 dalis gyvenamojo namo (bendras plotas 72.86 kv. m, unikalus Nr. 4194-8003-2010), 1/2 dalis viralinės (užstatytas plotas 38.00 kv. m, unikalus Nr. 4194-8003-2021), 1/2 dalis ūkinio pastato (užstatytas plotas 68.00 kv. m, unikalus Nr. 4194-8003-2032) ir 1/2 dalis 0.1933 ha žemės sklypo (unikalus Nr. 4142-0200-0125). Nekilnojamasis turtas parduodamas esamos faktinės būklės ir pagal atnaujintus kadastro duomenis. VĮ Turto bankas neįsipareigoja iškraustyti jame esančių daiktų arba iškeldinti faktiškai patalpas naudojančio asmens iki nuosavybės perleidimo. Parduodamas turtas yra faktiškai naudojamas trečiojo asmens (buto bendraturčio), bendraturčiai nėra sudarę susitarimų dėl naudojimosi bendros dalinės nuosavybės tvarkos. Objekto apžiūra galimai ribota.

📍 Objekto lokacija

📍 Vilniaus r. sav. Karklėnų k. Aukštoji g. 23

❓ Dažnai užduodami klausimai

Kokia yra pradinė aukciono kaina ir užstatas šiam objektui?
Pradinė kaina 22 300 EUR. Garantinis mokestis (užstatas) 2 230 EUR. Registracijos mokestis 40 EUR.
Kada vyksta registracija ir pats aukcionas?
Registracija vyksta nuo 2026-01-05 00:00:00 iki 2026-01-07 23:59:59. Aukcionas prasideda 2026-01-12 09:00:00 ir baigiasi 2026-01-13 13:59:59.
Ką tiksliai sudaro parduodamas turtas?
Parduodama 1/2 dalis gyvenamojo namo (72.86 kv. m, unikalus Nr. 4194-8003-2010), 1/2 dalis viralinės (38.00 kv. m, Nr. 4194-8003-2021), 1/2 dalis ūkinio pastato (68.00 kv. m, Nr. 4194-8003-2032) ir 1/2 dalis 0.1933 ha žemės sklypo (Nr. 4142-0200-0125) adresu Aukštoji g. 23, Karklėnų k., Vilniaus r.
Ar turtas laisvas nuo nuomininkų ir ar VĮ Turto bankas iškraustys esamus naudotojus?
Turtas faktiškai naudojamas trečiojo asmens (buto bendraturčio). VĮ Turto bankas neįsipareigoja iškraustyti šių asmenų iki turto nuosavybės perleidimo aukciono laimėtojui.
Kokios apžiūros galimybės ir kaip užsiregistruoti apžiūrai?
Objektų apžiūros organizuojamos iki registracijos pradžios į aukcioną, iš anksto individualiai suderinus laiką su Turto banko Turto pardavimų skyriumi. Dėl apžiūros prašoma kreiptis per oficialius Turto banko kontaktus skelbime.
Ar pardavimas vyksta pagal kadastro duomenis ir kokia yra būklė?
Turtas parduodamas esamos faktinės būklės bei pagal atnaujintus nekilnojamojo turto kadastro duomenis. VĮ Turto bankas neįsipareigoja nustatyti aktualios kadastro būklės ar spręsti faktinio naudojimo klausimų.

⏱ Aukciono laikas

Aukcionas pasibaigė

Registracija

Iki: 2026-01-07 23:59:59

Aukcionas

Iki: 2026-01-13 13:59:59

🏠 Objekto informacija

📍 Adresas
Vilniaus r. sav. Karklėnų k. Aukštoji g. 23
Tipas
Pirminis
Potipis
Pastatai
Objekto ID: 404874
💰 Pradinė kaina
22300.00 €
Užstatas
2230.00 €
Registracijos mokestis
40.00 €
Mažiausias kainos didinimas
200.00 €
Patvirtinimas
per 2 d. d.
Dalyvauti aukcione
🔑 Raktažodžiai
namas aukcione Vilniaus r. 1/2 dalis namo pardavimas pigūs namai Vilniaus apskr. Turto banko aukcionas 2026 investicija nekilnojamasis turtas Vilnius r.