LT EN RU UA

Ūkinis pastatas Šiauliuose, Žemaitės g. 46C – pradinė kaina 14 418 EUR

📝 Aprašymas

★★★★★ ★★★★★ 3.2
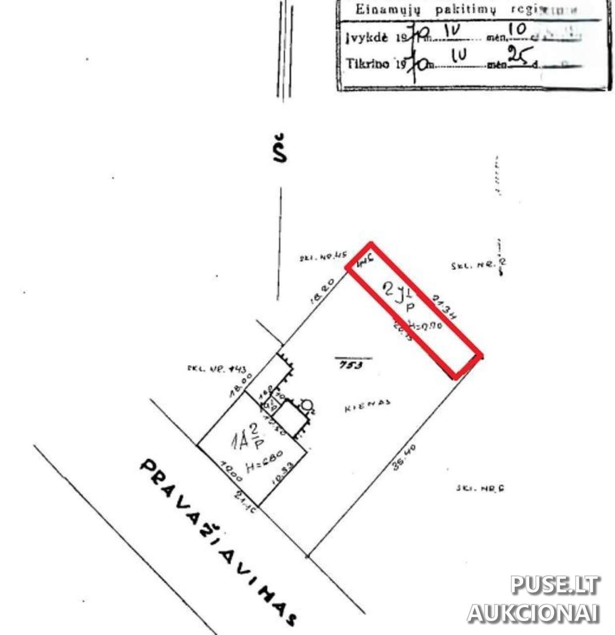
Ūkinis pastatas, užstatytas plotas 90 m², unikalus numeris 2994-0007-5022. Adresas: Šiaulių m., Žemaitės g. 46C. Parduodamas esamos fizinės ir funkcinės būklės; VĮ Turto bankas neįsipareigoja tikrinti aktualios nekilnojamojo turto kadastro duomenų būklės ir neįsipareigoja iškraustyti jame esančių daiktų. Pastatas yra registruotame sklype (kadastro numeris 2901/0011:581), tačiau parduodamas be žemės sklypo dalies ar nuomos teisės į žemės sklypo dalį. Pastatas yra pagalbinio ūkio paskirties, nėra savarankiškai funkcionuojantis; galimybę patekti ir naudoti sklypo dalį naujasis savininkas galės spręsti nustatant servitutą. Fizinis pastato stovio pažeidimai: nesandarus, apgriuvęs stogas. Pardavimo pradinis kainos pasiūlymas: 14 418 EUR. Apmokėjimo ir registracijos mokesčiai: garantinis įnašas 1 441 EUR, registracijos mokestis 40 EUR.

📍 Objekto lokacija

📍 Šiaulių m. sav. Šiaulių m. Žemaitės g. 46C

❓ Dažnai užduodami klausimai

Kokia pradinė objekto kaina ir kokie mokėtini mokesčiai?
Pradinė kaina 14 418 EUR. Garantinis įnašas 1 441 EUR, registracijos mokestis 40 EUR.
Kur yra objektas ir koks jo plotas?
Adresas: Šiaulių m., Žemaitės g. 46C. Užstatytas plotas 90 m². Unikalus numeris 2994-0007-5022.
Ar pardavimas apima žemės sklypo dalį?
Ne. Pastatas parduodamas be žemės sklypo dalies ar nuomos teisės į sklypo dalį (sklypo kadastro numeris 2901/0011:581).
Kokia yra pastato būklė?
Pastatas fiziškai pažeistas: nesandarus, apgriuvęs stogas. Parduodamas esamos fizinės ir funkcinės būklės.
Kada vyksta registracija ir aukcionas?
Registracija vyksta nuo 2026-01-05 00:00 iki 2026-01-07 23:59. Aukcionas prasideda 2026-01-12 09:00 ir baigiasi 2026-01-13 13:59:59.
Ar VĮ Turto bankas iškrausto esamus daiktus arba patikrina kadastro duomenis?
VĮ Turto bankas neįsipareigoja iškraustyti pastate esančių daiktų ir neįsipareigoja nustatyti aktualios kadastro duomenų būklės.
Kaip organizuojamos apžiūros?
Objektų apžiūros organizuojamos iki registracijos pradžios (iki 2026-01-05), iš anksto individualiai suderinus laiką su VĮ Turto banko Turto komercijos skyriumi.

⏱ Aukciono laikas

Aukcionas pasibaigė

Registracija

Iki: 2026-01-07 23:59:59

Aukcionas

Iki: 2026-01-13 13:59:59

🏠 Objekto informacija

📍 Adresas
Šiaulių m. sav. Šiaulių m. Žemaitės g. 46C
Tipas
Pakartotinis
Potipis
Pastatai
Objekto ID: 405131
💰 Pradinė kaina
14418.00 €
Užstatas
1441.00 €
Registracijos mokestis
40.00 €
Mažiausias kainos didinimas
200.00 €
Patvirtinimas
per 2 d. d.
Dalyvauti aukcione
🔑 Raktažodžiai
ukinis pastatas Šiauliai parduodamas ūkinis pastatas Turto bankas aukcionas Šiauliai Žemaitės g. 46C pardavimas aukcionas ūkinis pastatas 14418 EUR