Žemės sklypas Naujanerių g. 10 Vilniuje 0.4636 ha parduodamas aukcione nuo 105510 EUR
📝 Aprašymas
Parduodamas 0,4636 ha žemės sklypas Vilniaus miesto savivaldybėje, Naujanerių g. 10, antstolių varžytynių būdu, su 105510 EUR pradine kaina. Sklypas pasižymi daugiakampio forma bei beveik lygaus reljefo ypatybėmis. Sklypo naudojimo būdas yra vienbučių ir dvibučių gyvenamųjų pastatų teritorijos, kas suteikia potencialą gyvenamosios paskirties objektų vystymui.
Sklypo plotas apima 0,2475 ha žemės ūkio naudmenų (pievos ir natūralios ganyklos) ir 0,2161 ha užstatytos teritorijos. Žemės ūkio naudmenų našumo balas yra 40.0. Komunikacijų atžvilgiu sklype yra elektros, vietinio vandentiekio ir nuotekų šalinimo tinklai.
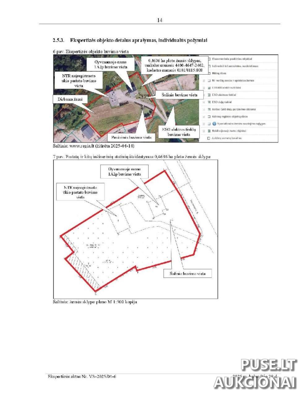
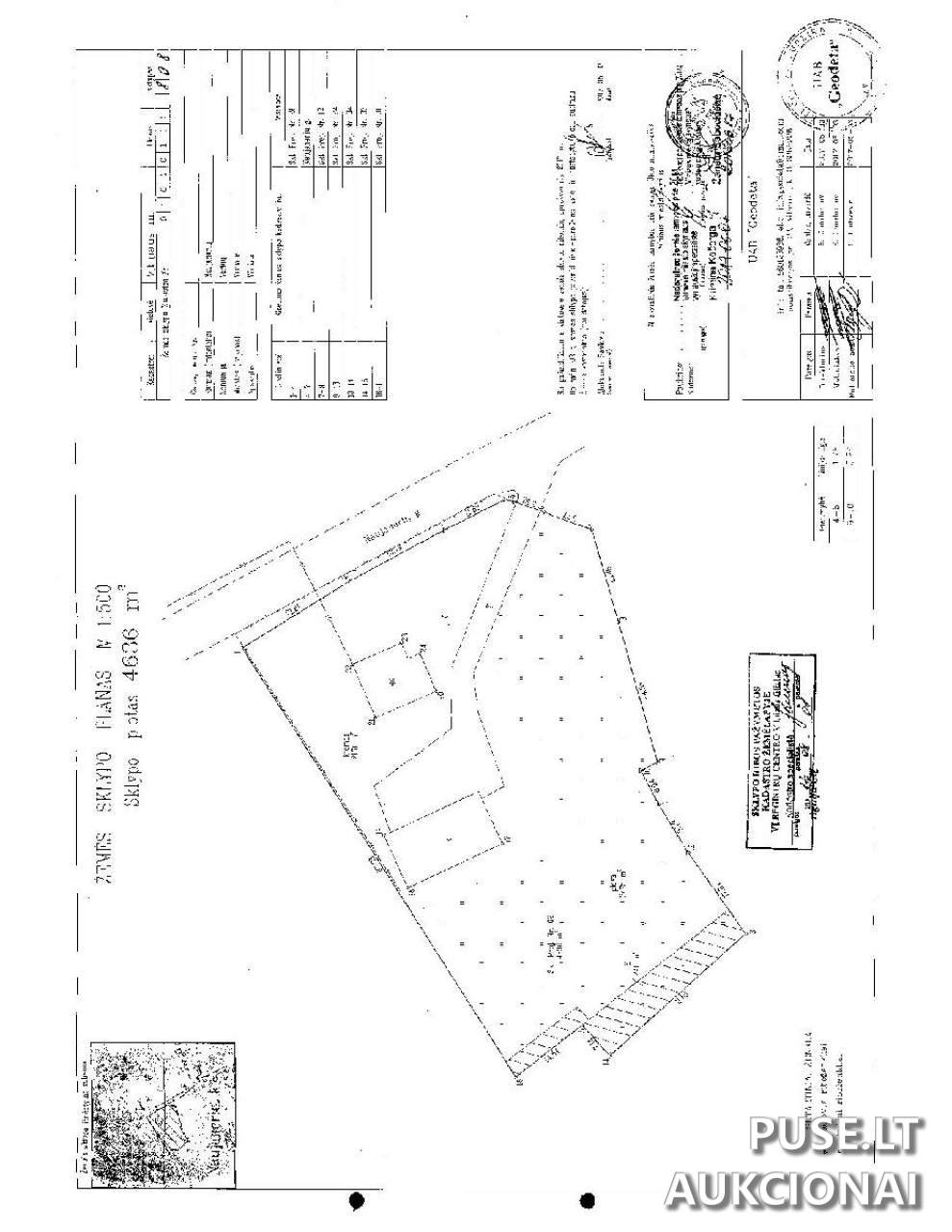
Objekte yra pastatytas gyvenamasis namas (1A2p) sklypo šiaurės rytinėje dalyje, rytinėje dalyje yra šulinys. Vakaruose nuo namo yra mūrinių konstrukcijų ūkinis pastatas, kuris nėra įregistruotas Nekilnojamojo turto registre ir nėra realizuojamas varžytynėse. Pietrytinėje dalyje yra pavėsinė, taip pat neįregistruota NTR. Likusi sklypo dalis yra sutvarkyta: veja, dekoratyviniai medeliai, krūmai ir dirbamas žemės laukas.
Žemės sklypas yra aptvertas medine tvora su plytų mūro stulpais, tačiau tvora yra bendros prastos būklės, todėl dalis medinių dailylenčių yra sulūžusios. Sklypas ribojasi su neasfaltuota Naujanerių gatve (rytinė kraštinė), dalis pietinės ribojasi su Joneikiškių gatve, o likusiomis kraštinėmis ribojasi su neužstatytais ar užstatytais žemės sklypais.
Varžytynės prasideda 2025-11-25 13:25:10 ir baigiasi 2025-12-29 13:25:59. Svarbu atkreipti dėmesį, kad disponavimo teisės apribojimas apima Hipotekos nutartį ir Turto areštą. Parduodama 1/1 dalis sklypo.
Sklypo plotas apima 0,2475 ha žemės ūkio naudmenų (pievos ir natūralios ganyklos) ir 0,2161 ha užstatytos teritorijos. Žemės ūkio naudmenų našumo balas yra 40.0. Komunikacijų atžvilgiu sklype yra elektros, vietinio vandentiekio ir nuotekų šalinimo tinklai.
Objekte yra pastatytas gyvenamasis namas (1A2p) sklypo šiaurės rytinėje dalyje, rytinėje dalyje yra šulinys. Vakaruose nuo namo yra mūrinių konstrukcijų ūkinis pastatas, kuris nėra įregistruotas Nekilnojamojo turto registre ir nėra realizuojamas varžytynėse. Pietrytinėje dalyje yra pavėsinė, taip pat neįregistruota NTR. Likusi sklypo dalis yra sutvarkyta: veja, dekoratyviniai medeliai, krūmai ir dirbamas žemės laukas.
Žemės sklypas yra aptvertas medine tvora su plytų mūro stulpais, tačiau tvora yra bendros prastos būklės, todėl dalis medinių dailylenčių yra sulūžusios. Sklypas ribojasi su neasfaltuota Naujanerių gatve (rytinė kraštinė), dalis pietinės ribojasi su Joneikiškių gatve, o likusiomis kraštinėmis ribojasi su neužstatytais ar užstatytais žemės sklypais.
Varžytynės prasideda 2025-11-25 13:25:10 ir baigiasi 2025-12-29 13:25:59. Svarbu atkreipti dėmesį, kad disponavimo teisės apribojimas apima Hipotekos nutartį ir Turto areštą. Parduodama 1/1 dalis sklypo.
📍 Objekto lokacija
📍 Vilniaus m. sav. Vilniaus m. Naujanerių g. 10
❓ Dažnai užduodami klausimai
Kada baigiasi žemės sklypo aukcionas?
Antstolių varžytynės baigiasi 2025-12-29 13:25:59.
Kokia yra pradinė pardavimo kaina Vilniaus sklypui Naujanerių g. 10?
Pradinė kaina yra 105510 EUR.
Koks yra parduodamo žemės sklypo plotas ir pagrindinis naudojimo būdas?
Žemės sklypo plotas yra 0,4636 ha, o naudojimo būdas yra vienbučių ir dvibučių gyvenamųjų pastatų teritorijos.
Ar visi komunikacijos yra įvestos į sklypą?
Žemės sklype yra elektros, vietinio vandentiekio ir nuotekų šalinimo tinklai.
Kokie apribojimai taikomi šiam turtui varžytynių metu?
Disponavimo teisės apribojimas apima Hipotekos nutartį ir Turto areštą.
Koks ūkinės paskirties statinys yra sklype ir ar jis parduodamas?
Sklype yra neįregistruotas NTR mūrinių konstrukcijų ūkinis pastatas, tačiau jis nėra realizuojamas varžytynėse, nes jo nuosavybės teisės nėra nustatytos.