Investicinis neįrengtas 235 kv.m butas su 0.1636 ha žemės sklypu Vilniaus r. sav., Didžiojoje Riešėje, pradinė kaina 313920 EUR
📝 Aprašymas
Parduodamas neįrengtas 235.01 kv. m. ploto butas (unikalus Nr. 4400-4709-9332:1050) Vilniaus rajono savivaldybėje, Didžiosios Riešės kaimelyje, Raudonikių gatvėje 1-1. Pradinė kaina – 313920 EUR. Aukcionas vyksta, prasideda 2025-11-25 ir baigiasi 2025-12-29. Tai puiki investavimo galimybė į didelės kvadratūros būstą su priklausiniais.
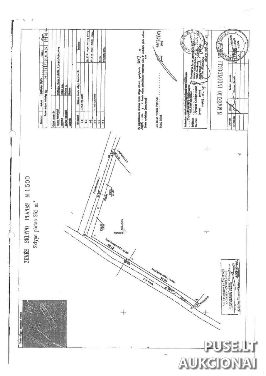
Butas yra gyvenamajame name 1A2/b, kurio baigtumas siekia 85 proc., namas statytas 2016-2018 metais. Parduodama visa 1/1 buto dalis. Parduodamas kompleksas apima 718/1385 dalis pagrindinio 0.1385 ha žemės sklypo su unikaliu Nr. 4400-4709-9332 (Raudonikių g. 1) ir 0.0251 ha kito, susisiekimo ir inžinerinių tinklų koridorių teritorijos, žemės sklypo (unikalus Nr. 4400-2751-8932).
Buto viduje faktiškai suformuoti du atskiri turto vienetai su atskirais laiptais į antrą aukštą ir dviem atskirais įėjimais šiaurinėje namo pusėje. Vidaus apdaila nebaigta: grindys vakarinėje dalyje – laminuotos plokštės ir plytelės, rytinėje dalyje – išlyginamasis sluoksnis. Sienos: vakarinėje dalyje – dažytos/plytelės, rytinėje dalyje – dažytos, glaistytos, be apdailos. Lubos – gelžbetonio plokštės be apdailos. Langai plastikiniai su stiklo paketais.
Komunikacijos apima elektros įvadą ir instaliaciją, vietinį vandentiekį, miesto kanalizaciją, išvedžiotus grindinio šildymo bei rekuperacinės vėdinimo sistemos vamzdynus. Pagrindiniame sklype gerbūvis pietinėje pusėje sutvarkytas ir aptvertas tvora, šiaurinėje dalyje nesutvarkytas. Papildomam sklypui elektra atvesta, kiti tinklai neįvesti.
Objektui taikomi juridiniai suvaržymai – disponavimo teisių apribojimas, hipotekos nutartis ir turto areštas. Turtas parduodamas kaip bendras kompleksas.
Butas yra gyvenamajame name 1A2/b, kurio baigtumas siekia 85 proc., namas statytas 2016-2018 metais. Parduodama visa 1/1 buto dalis. Parduodamas kompleksas apima 718/1385 dalis pagrindinio 0.1385 ha žemės sklypo su unikaliu Nr. 4400-4709-9332 (Raudonikių g. 1) ir 0.0251 ha kito, susisiekimo ir inžinerinių tinklų koridorių teritorijos, žemės sklypo (unikalus Nr. 4400-2751-8932).
Buto viduje faktiškai suformuoti du atskiri turto vienetai su atskirais laiptais į antrą aukštą ir dviem atskirais įėjimais šiaurinėje namo pusėje. Vidaus apdaila nebaigta: grindys vakarinėje dalyje – laminuotos plokštės ir plytelės, rytinėje dalyje – išlyginamasis sluoksnis. Sienos: vakarinėje dalyje – dažytos/plytelės, rytinėje dalyje – dažytos, glaistytos, be apdailos. Lubos – gelžbetonio plokštės be apdailos. Langai plastikiniai su stiklo paketais.
Komunikacijos apima elektros įvadą ir instaliaciją, vietinį vandentiekį, miesto kanalizaciją, išvedžiotus grindinio šildymo bei rekuperacinės vėdinimo sistemos vamzdynus. Pagrindiniame sklype gerbūvis pietinėje pusėje sutvarkytas ir aptvertas tvora, šiaurinėje dalyje nesutvarkytas. Papildomam sklypui elektra atvesta, kiti tinklai neįvesti.
Objektui taikomi juridiniai suvaržymai – disponavimo teisių apribojimas, hipotekos nutartis ir turto areštas. Turtas parduodamas kaip bendras kompleksas.
📍 Objekto lokacija
📍 Vilniaus r. sav. Didžiosios Riešės k. Raudonikių g. 1-1
❓ Dažnai užduodami klausimai
Kokia yra pradinė šio 235 kv.m buto su žemės sklypu kaina Vilniaus rajone?
Šio neįrengto buto su priklausančiais žemės sklypais pradinė kaina aukcione yra 313920 EUR.
Kada baigiasi antstolių varžytynės šiam nekilnojamajam turtui?
Aukcionas baigiasi 2025-12-29 13:46:59. Registracija prasideda 2025-11-25 13:46:18.
Koks nekilnojamojo turto unikalus kodas ir adresas?
Nekilnojamojo turto unikalus Nr. yra 4400-4709-9332:1050. Adresas: Vilniaus r. sav., Didžiosios Riešės k., Raudonikių g. 1-1.
Kokia yra turto įrengimo būklė ir ar name yra komunikacijos?
Namo baigtumas yra 85 proc. Butas parduodamas su nebaigta vidaus apdaila. Įvestos komunikacijos: elektra, vietinis vandentiekis, miesto kanalizacija, išvedžioti grindinio šildymo ir rekuperacijos vamzdynai.
Ar parduodamas objektas susideda iš buto ir žemės sklypo?
Taip, parduodamas 235.01 kv. m. butas ir 0.1385 ha pagrindinio sklypo dalis bei 0.0251 ha kito paskirties žemės sklypo kaip bendras kompleksas.
Koks antstolis atsakingas už šias varžytynes?
Už šias varžytynes atsakingas antstolis Dalius Traigys, kurio kontora yra Vilniuje.