Parduodama 1/2 buto dalis Joniškio rajone, Gaižaičių kaime, Sodų g. 5-2, pradinė kaina 176 EUR
📝 Aprašymas
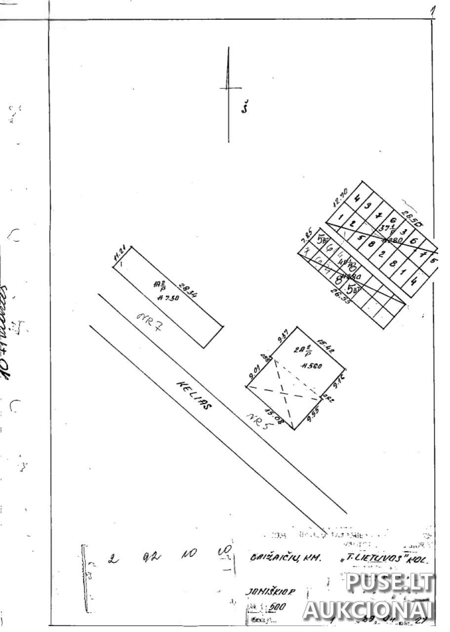
Parduodama 1/2 dalis 46,11 kv. m bendro ploto buto Joniškio rajono savivaldybės Gaižaičių kaimo Sodų g. 5-2, unikalus numeris 4796-8012-5026:0001. Prie buto taip pat parduodama 1/16 dalis 208,00 kv. m užstatyto ploto ūkinio pastato (unikalus numeris 4796-8012-5041), esančio Sodų g. 5. Butui priskirtas 13,34 kv. m rūsys, kuris yra bendrojo naudojimo patalpa, todėl jo vieta ir indeksas nenustatyti. Visi klausimai dėl bendrojo naudojimo patalpų valdymo, naudojimo ir disponavimo sprendžiami bendraturčių sutarimu, tačiau susitarimai dėl bendros dalinės nuosavybės tvarkos nėra sudaryti.
Nekilnojamasis turtas parduodamas esamos fizinės ir funkcinės būklės. Pardavėjas - Valstybės įmonė Turto bankas - neįsipareigoja nustatyti aktualios nekilnojamojo turto kadastro duomenų būklės ir neiškraustyti jame esančių daiktų. Svarbu pažymėti, kad gyvenamasis namas ir ūkinio pastato dalis, kuri priklauso parduodamai daliai, yra valstybinėje žemėje, kurios sklypas nėra suformuotas. Teisės į šį žemės sklypą perleidžiamos nebus.
Komunikacijos parduodamam objektui yra faktiškai atjungtos. Aukcionas, kurio metu įsigyjama ši dalinė nuosavybė, prasideda 2026-01-14 09:00:00 ir baigiasi 2026-01-15 13:59:59. Būtina spėti užsiregistruoti iki 2026-01-09 23:59:59.
Pradinė kaina sudaro 176 EUR. Taip pat mokamas 17 EUR garantinis mokestis ir 1 EUR registracijos mokestis. Mokėjimus galima atlikti tiesiogiai per elektroninę bankininkystę naudojant NEOPAY sistemą arba pateikiant išankstinio mokėjimo pavedimo kopiją į organizatoriaus nurodytą SEB banko sąskaitą.
Nekilnojamasis turtas parduodamas esamos fizinės ir funkcinės būklės. Pardavėjas - Valstybės įmonė Turto bankas - neįsipareigoja nustatyti aktualios nekilnojamojo turto kadastro duomenų būklės ir neiškraustyti jame esančių daiktų. Svarbu pažymėti, kad gyvenamasis namas ir ūkinio pastato dalis, kuri priklauso parduodamai daliai, yra valstybinėje žemėje, kurios sklypas nėra suformuotas. Teisės į šį žemės sklypą perleidžiamos nebus.
Komunikacijos parduodamam objektui yra faktiškai atjungtos. Aukcionas, kurio metu įsigyjama ši dalinė nuosavybė, prasideda 2026-01-14 09:00:00 ir baigiasi 2026-01-15 13:59:59. Būtina spėti užsiregistruoti iki 2026-01-09 23:59:59.
Pradinė kaina sudaro 176 EUR. Taip pat mokamas 17 EUR garantinis mokestis ir 1 EUR registracijos mokestis. Mokėjimus galima atlikti tiesiogiai per elektroninę bankininkystę naudojant NEOPAY sistemą arba pateikiant išankstinio mokėjimo pavedimo kopiją į organizatoriaus nurodytą SEB banko sąskaitą.
📍 Objekto lokacija
📍 Joniškio r. sav. Gaižaičių k. Sodų g. 5-2
❓ Dažnai užduodami klausimai
Kokia yra pradinė buto dalies (Sodų g. 5-2) kaina aukcione?
Pradinė kaina sudaro 176 EUR.
Kada vyks buto dalies Joniškio r. pardavimas elektroniniu aukcionu?
Aukcionas prasidės 2026-01-14 09:00:00 ir baigsis 2026-01-15 13:59:59.
Kokie papildomi mokesčiai yra taikomi dalyvaujant aukcione?
Privaloma sumokėti 17 EUR garantinį mokestį ir 1 EUR registracijos mokestį.
Kokia bendra buto dalis parduodama ir kokio Būklė?
Parduodama 1/2 dalis 46,11 kv. m bendro ploto buto (su 13,34 kv. m rūsiu). Turtas parduodamas esamos fizinės ir funkcinės būklės.
Ar yra suformuotas žemės sklypas parduodamam objektui?
Gyvenamasis namas ir ūkinis pastatas yra valstybinėje žemėje, kurios sklypas nėra suformuotas. Teisės į žemės sklypą nėra perleidžiamos.
Kada reikia spėti užsiregistruoti į aukcioną?
Registracija į aukcioną prasideda 2026-01-07 00:00:00 ir baigiasi 2026-01-09 23:59:59.