Nuomojamos 24.45 kv.m Kultūros namų patalpos Vilniuje Dariaus ir Girėno g. 69 maitinimo veiklai nuo 178 EUR
📝 Aprašymas
Vilniaus miesto savivaldybė skelbia nuomos e. konkursą Dariaus ir Girėno g. 69, Vilniuje, nepanaudotoms 24,45 kv. m patalpoms, skirtoms maitinimo ir gėrimų teikimo veiklai. Konkursas vyks 2025 m. gruodžio 18-19 dienomis. Patalpų nuomos pagrindas yra 5 metai.
Pradinis nuomos kaina siekia 178 EUR per mėnesį, taikomas mokestis PVM neapmokestinamas. Dalyvaujant konkurse, privalomas pradinio įnašo dydis yra 534 EUR, kas atitinka 3 mėnesių pradinę nuomos kainą. Šis įnašas tampa užtikrinimu ir grąžinamas, tinkamai vykdant sutarties sąlygas, pasibaigus nuomos terminui.
Registracijos konkursui laikotarpis yra nuo 2025 m. gruodžio 15 d. iki 2025 m. gruodžio 16 d. Registracijos mokestis sudaro 20 EUR.
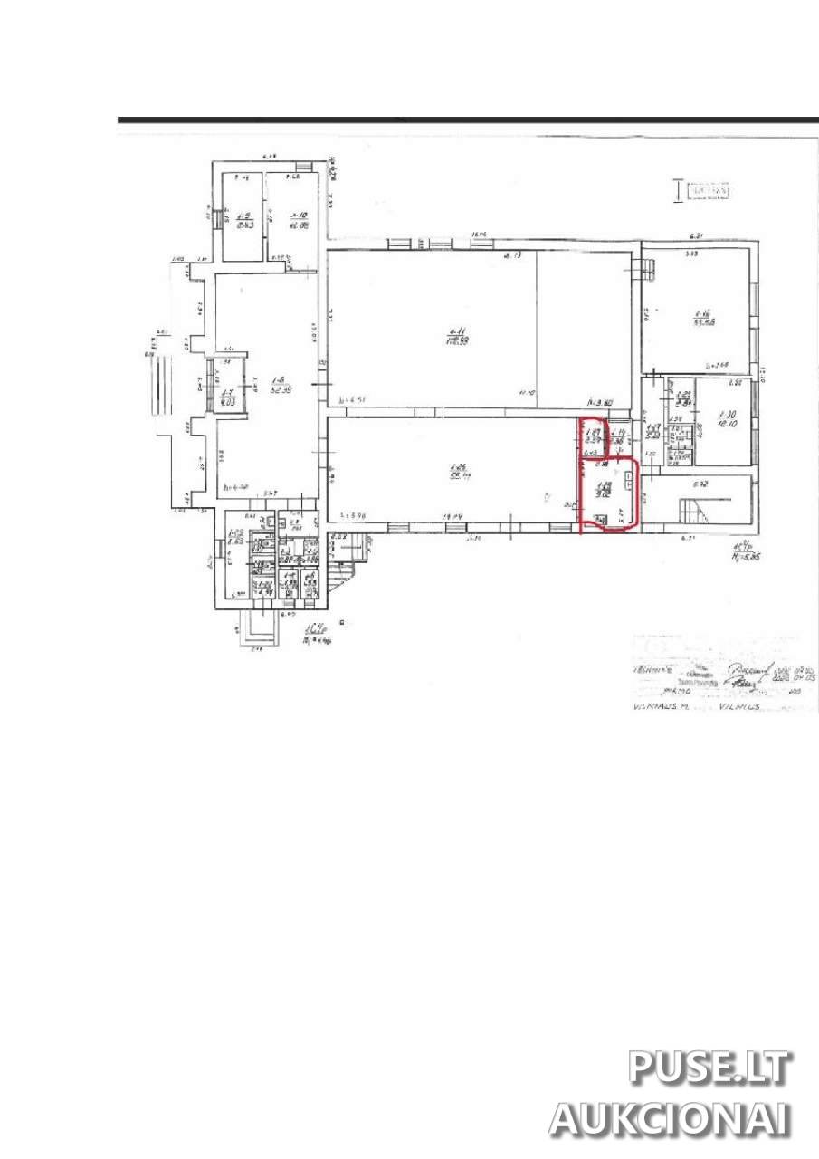
Nuomojamų patalpų unikalus numeris yra 1095-2000-8018. Patalpų apžiūra organizuojama darbo dienomis nuo 2025 m. gruodžio 1 d. iki 2025 m. gruodžio 12 d., nuo 9:00 iki 15:00 valandos, būtina išankstinė registracija.
Nuomos sąlygos bus patvirtintos Vilniaus miesto savivaldybės tarybos 2019 m. lapkričio 6 d. sprendimu Nr. 1-291. Dalyviams reikės pateikti daugybę dokumentų, įskaitant veiklos aprašymą, įsipareigojimą pasirašyti pavyzdinę nuomos sutartį ir įrodymus dėl mokesčių bei socialinio draudimo įmokų mokėjimo. Nuvykus atsisakyti sudaryti sutartį, pradinis įnašas negrąžinamas.
Pradinis nuomos kaina siekia 178 EUR per mėnesį, taikomas mokestis PVM neapmokestinamas. Dalyvaujant konkurse, privalomas pradinio įnašo dydis yra 534 EUR, kas atitinka 3 mėnesių pradinę nuomos kainą. Šis įnašas tampa užtikrinimu ir grąžinamas, tinkamai vykdant sutarties sąlygas, pasibaigus nuomos terminui.
Registracijos konkursui laikotarpis yra nuo 2025 m. gruodžio 15 d. iki 2025 m. gruodžio 16 d. Registracijos mokestis sudaro 20 EUR.
Nuomojamų patalpų unikalus numeris yra 1095-2000-8018. Patalpų apžiūra organizuojama darbo dienomis nuo 2025 m. gruodžio 1 d. iki 2025 m. gruodžio 12 d., nuo 9:00 iki 15:00 valandos, būtina išankstinė registracija.
Nuomos sąlygos bus patvirtintos Vilniaus miesto savivaldybės tarybos 2019 m. lapkričio 6 d. sprendimu Nr. 1-291. Dalyviams reikės pateikti daugybę dokumentų, įskaitant veiklos aprašymą, įsipareigojimą pasirašyti pavyzdinę nuomos sutartį ir įrodymus dėl mokesčių bei socialinio draudimo įmokų mokėjimo. Nuvykus atsisakyti sudaryti sutartį, pradinis įnašas negrąžinamas.
📍 Objekto lokacija
📍 Vilniaus m. sav. Vilniaus m. Dariaus ir Girėno g. 69
❓ Dažnai užduodami klausimai
Kokia yra nuomojamų patalpų Dariaus ir Girėno g. 69 adresas ir plotas?
Patalpos yra Vilniaus m. savivaldybėje, adresu Dariaus ir Girėno g. 69. Nuomojamas plotas yra 24,45 kv. m.
Kokia pradinė mėnesinė nuomos kaina ir kas nurodyta dėl PVM?
Pradinė nuomos kaina yra 178 Eur. PVM šiai nuomos kainai neskaičiuojamas.
Kada vyksta nuomos e. konkursas ir registracijos terminai?
Konkursas vyks nuo 2025-12-18 09:00:00 iki 2025-12-19 13:59:59. Registracija vyksta nuo 2025-12-15 iki 2025-12-16.
Koks yra privalomas pradinio įnašo dydis ir kam jis užtikrina?
Pradinis įnašas, kuris privalo būti sumokėtas ir lygus 3 mėnesių nuomos kainai, yra 534 EUR. Jis lieka nuomotojui kaip sutarties sąlygų įvykdymo užtikrinimas.
Koks yra nuomos sutarties terminas ir kokiai veiklai skirtos patalpos?
Patalpos nuomojamos 5 metams maitinimo ir gėrimų teikimo veiklai vykdyti.
Kada galima apžiūrėti patalpas ir ar reikia registruotis?
Patalpas galima apžiūrėti nuo 2025 m. gruodžio 1 d. iki 2025 m. gruodžio 12 d. darbo dienomis 9-15 val. Dėl apžiūros laiko būtina skambinti ir registruotis.