📝 Aprašymas
Parduodamas 1/1 dalies butas Plungės rajono savivaldybėje, Žlibinų kaime, Žarėnų gatvėje 63-6, pradinė kaina siekia vos 195 EUR. Bendras buto plotas yra 31,37 kv. m. Prie parduodamo buto priklauso ir dalis bendrai naudojamose patalpose: 10,97 kv. m (a-1) ir 51,64 kv. m (a-2), viso 19,95 kv. m. Papildomai parduodama 1/6 dalis kiemo statinių, tokių kaip šulinys ir lauko tualetai, esančių Žarėnų g. 63 adresu (Unikalus Nr. 6893-3005-4140).
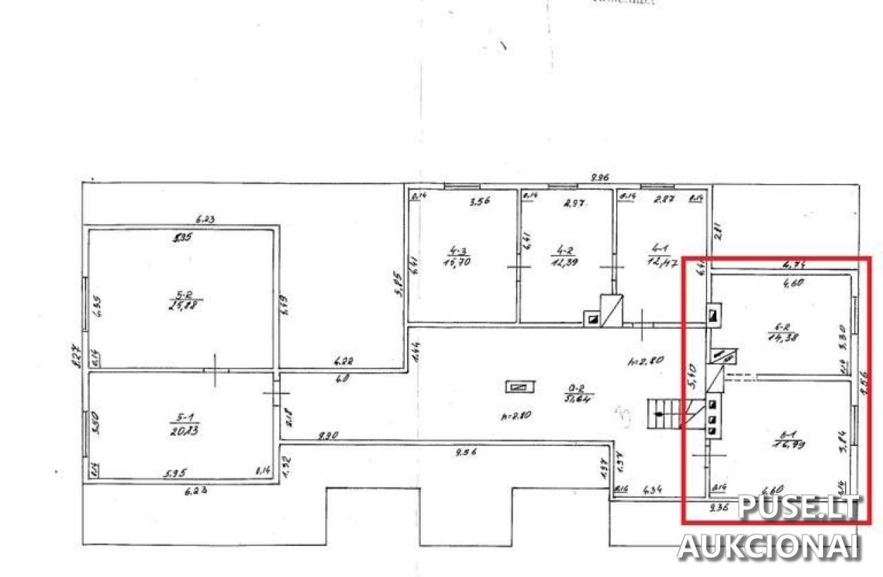
Turto pardavimas vyksta esamos fizinės ir funkcinės būklės pagrindu, remiantis Nekilnojamojo turto kadastro duomenimis. Atkreiptinas dėmesys, kad prie patalpos 6-1 prijungta dalis bendro naudojimo patalpos a-2, tačiau šie pakitimai nėra užfiksuoti Kadastre. Valstybės įmonė Turto bankas neįsipareigoja atlikti jokių kadastro duomenų atnaujinimo darbų ar iškraustyti esančių daiktų.
Būtina žinoti, kad bendraturčiai nėra sudarę susitarimų dėl bendros dalinės nuosavybės naudojimosi tvarkos. Komunikacijų (elektra, vanduo, nuotekos) nėra. Svarbi sąlyga: gyvenamasis namas, kuriame yra parduodamas butas, stovi valstybinėje žemėje, kuriai nėra suformuotas sklypas. Teisės į šį žemės sklypą pirkimo metu neperleidžiamos.
Papildoma atsakomybė pirkėjui: inžinierinis statinys - lauko tualetas, unikalus Nr. 6893-3005-4140, neatitinka teisės aktų reikalavimų. Potencialus pirkėjas turi įvertinti visas susijusias teisines ir ekonomines rizikas, susijusias su tokios būklės statinio įsigijimu, galimu įrengimu ar nugriovimu.
Turto pardavimas vyksta esamos fizinės ir funkcinės būklės pagrindu, remiantis Nekilnojamojo turto kadastro duomenimis. Atkreiptinas dėmesys, kad prie patalpos 6-1 prijungta dalis bendro naudojimo patalpos a-2, tačiau šie pakitimai nėra užfiksuoti Kadastre. Valstybės įmonė Turto bankas neįsipareigoja atlikti jokių kadastro duomenų atnaujinimo darbų ar iškraustyti esančių daiktų.
Būtina žinoti, kad bendraturčiai nėra sudarę susitarimų dėl bendros dalinės nuosavybės naudojimosi tvarkos. Komunikacijų (elektra, vanduo, nuotekos) nėra. Svarbi sąlyga: gyvenamasis namas, kuriame yra parduodamas butas, stovi valstybinėje žemėje, kuriai nėra suformuotas sklypas. Teisės į šį žemės sklypą pirkimo metu neperleidžiamos.
Papildoma atsakomybė pirkėjui: inžinierinis statinys - lauko tualetas, unikalus Nr. 6893-3005-4140, neatitinka teisės aktų reikalavimų. Potencialus pirkėjas turi įvertinti visas susijusias teisines ir ekonomines rizikas, susijusias su tokios būklės statinio įsigijimu, galimu įrengimu ar nugriovimu.
📍 Objekto lokacija
📍 Plungės r. sav. Žlibinų k. Žarėnų g. 63-6
❓ Dažnai užduodami klausimai
Kokia pradinė kaina ir kada vyks aukcionas?
Buto pradinė kaina yra 195 EUR. Aukcionas vyks nuo 2026-01-14 09:00:00 iki 2026-01-15 13:59:59.
Kokie papildomi mokesčiai mokami aukciono metu?
Būtina sumokėti 19 EUR garantinį mokestį ir 1 EUR registracijos mokestį.
Koks bendras parduodamo buto plotas?
Bendras parduodamo buto plotas yra 31,37 kv. m. Prie jo priklauso ir dalis bendrųjų patalpų (19,95 kv. m).
Ar parduodamas turtas turi suformuotą žemės sklypą?
Ne, parduodamas butas yra gyvenamajame name, esančiame valstybinėje žemėje, kuriai žemės sklypas nėra suformuotas, o teisės į jį pirkėjui neperleidžiamos.
Kada reikia pateikti registraciją dalyvauti aukcione?
Registracija į aukcioną vyksta nuo 2026-01-07 00:00:00 iki 2026-01-09 23:59:59.
Ar pardavėjas garantuoja statinio tinkamumą naudoti?
Ne, pardavėjas (VĮ Turto bankas) neatsako už parduodamo turto trūkumus, įskaitant tai, kad lauko tualetas neatitinka teisės aktų reikalavimų. Pirkėjas atsako už visas rizikas.
Kur galima pamatyti pirkimo-pardavimo sutarties projektą?
Pirkimo-pardavimo sutarties projektai skelbiami nurodytose nuorodose aukciono skelbime.