📝 Aprašymas
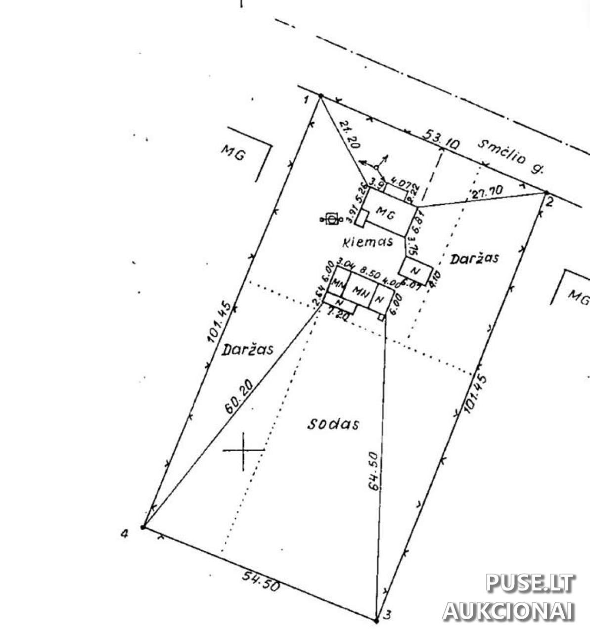
Parduodama nekiontojamojo turto dalinė nuosavybė Vilkaviškio rajono savivaldybėje, Virbalio miesto Laukų kaime, Smėlio g. 4, už pradinę 3840 EUR kainą. Šiame komplekse, parduodamame 1/4 dalies nuosavybe, yra gyvenamasis namas su bendru plotu 71.94 kv. m (Unikalus Nr. 3996-6020-3010), taip pat - 1/4 dalis viralinės (112.00 kv. m), 1/4 dalis garažo (25.00 kv. m) ir 1/4 dalis kitų inžinerinių statinių, įskaitant šulinį, lauko tualetą ir rūkyklą (Unikalus Nr. 3996-6020-3076). Taip pat parduodama 0.13645/0.5458 ha dalis žemės sklypo su Unikaliu Nr. 4400-0467-6751 toje pačioje vietoje.
Aukcionas vyksta 2026-02-02 09:00:00 val. iki 2026-02-03 13:59:59 val. Dalyvių registracija vyksta nuo 2026-01-26 00:00:00 iki 2026-01-28 23:59:59. Pradinis mokestis yra 384 EUR, o registracijos mokestis - 10 EUR.
Svarbu atkreipti dėmesį, kad parduodamas turtas yra esamos fizinės ir funkcinės būklės pagal kadastro duomenis. Nurodoma, kad garažas faktiškai yra sunykęs ir jo vietoje yra statinys, primenantis apkaltą lentelėmis mobilų namelį, kuris nėra užfiksuotas Nekilnojamojo turto kadastre. VĮ Turto bankas neįsipareigoja nustatyti aktualios kadastro būklės. Pirkėjas prisiima riziką dėl galimų trūkumų, pastatų neatitikimo teisės aktų reikalavimams ir bet kokių privalomų leidimų trūkumo. Lauko tualetas neatitinka įrengimo ir eksploatavimo reikalavimų. Bendraturčiai nėra susitarę dėl bendros dalinės nuosavybės naudojimosi tvarkos.
Pirkėjams rekomenduojama atlikti išsamią apžiūrą vietoje ir įvertinti būtinus įrengimo ar nugriovimo kaštus, kadangi VĮ Turto bankas neatsako už jokius nuostolius dėl nurodytų trūkumų.
Aukcionas vyksta 2026-02-02 09:00:00 val. iki 2026-02-03 13:59:59 val. Dalyvių registracija vyksta nuo 2026-01-26 00:00:00 iki 2026-01-28 23:59:59. Pradinis mokestis yra 384 EUR, o registracijos mokestis - 10 EUR.
Svarbu atkreipti dėmesį, kad parduodamas turtas yra esamos fizinės ir funkcinės būklės pagal kadastro duomenis. Nurodoma, kad garažas faktiškai yra sunykęs ir jo vietoje yra statinys, primenantis apkaltą lentelėmis mobilų namelį, kuris nėra užfiksuotas Nekilnojamojo turto kadastre. VĮ Turto bankas neįsipareigoja nustatyti aktualios kadastro būklės. Pirkėjas prisiima riziką dėl galimų trūkumų, pastatų neatitikimo teisės aktų reikalavimams ir bet kokių privalomų leidimų trūkumo. Lauko tualetas neatitinka įrengimo ir eksploatavimo reikalavimų. Bendraturčiai nėra susitarę dėl bendros dalinės nuosavybės naudojimosi tvarkos.
Pirkėjams rekomenduojama atlikti išsamią apžiūrą vietoje ir įvertinti būtinus įrengimo ar nugriovimo kaštus, kadangi VĮ Turto bankas neatsako už jokius nuostolius dėl nurodytų trūkumų.
📍 Objekto lokacija
📍 Vilkaviškio r. sav. Virbalio Miesto Laukų k. Smėlio g. 4
❓ Dažnai užduodami klausimai
Kokia parduodamo turto komplekso (gyvenamasis namas, ūkiniai pastatai) pradinė kaina aukcione?
Nekilnojamojo turto komplekso pradinė kaina yra 3840 EUR.
Kada vyksta šis pakartotinis aukcionas, kai parduodama 1/4 dalis namo ir priklausinių?
Aukcionas prasideda 2026-02-02 09:00:00 ir baigiasi 2026-02-03 13:59:59.
Kokia gyv. namo bendro ploto dalis parduodama ir kur objektas yra lokalizuotas?
Parduodama 1/4 dalis gyvenamojo namo, kurio bendras plotas yra 71.94 kv. m. Adresas: Vilkaviškio r. sav., Virbalio Miesto Laukų k., Smėlio g. 4.
Kokie papildomi mokesčiai taikomi dalyvaujant aukcione?
Privalomas garantinis mokestis yra 384 EUR, o registracijos mokestis - 10 EUR.
Kada vyksta registracija į aukcioną?
Registracija vyksta nuo 2026-01-26 00:00:00 iki 2026-01-28 23:59:59.
Kokios pagrindinės sąlygos ir apribojimai yra nurodyti parduodamam nekilnojamajam daiktui?
Turtas parduodamas esamos būklės, garažas faktiškai sunykęs, o lauko tualetas neatitinka teisės aktų reikalavimų. Bendraturčiai nėra sutarę dėl naudojimosi tvarkos.