📝 Aprašymas
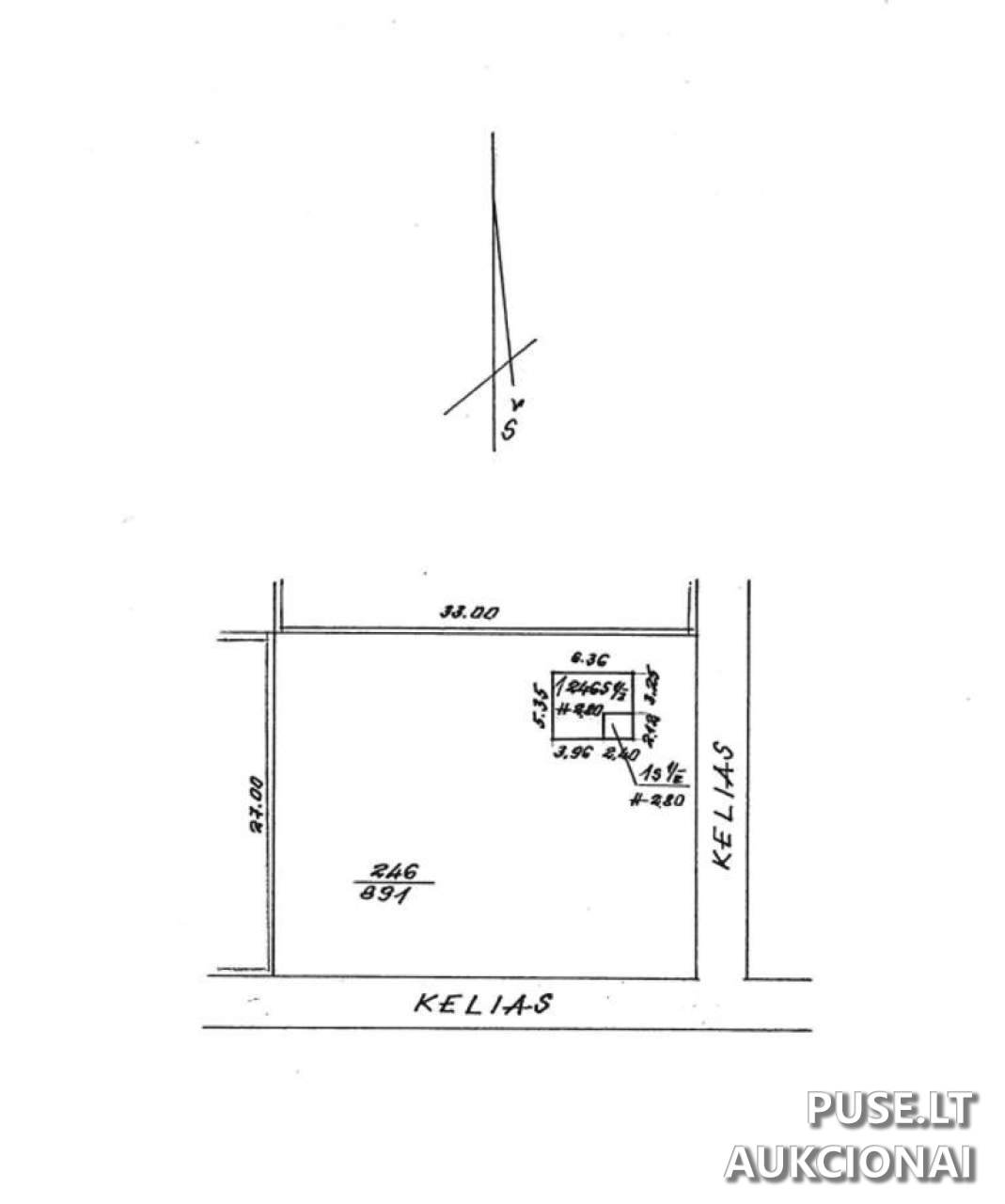
Parduodama 1/3 dalis sodo pastato (bendras plotas 31,37 kv. m) ir 1/3 dalis žemės sklypo (0,0723 ha) Panevėžio rajono savivaldybėje, Karsakiškio seniūnijoje, Kaubariškio kaime, Užgirio g. 2. Sodo pastato unikalus numeris 6600-3005-6018, o žemės sklypo unikalus numeris 6626-0012-0246. Pradinė bendrosios dalies kaina aukcione siekia 2298 EUR. Būklė yra tokia, kokia yra, atsižvelgiant į tai, kad prie sodo pastato pristatytas medinis priestatas, kuris nėra užfiksuotas Nekilnojamojo turto kadastro duomenyse. Turto bankas neįsipareigoja atlikti kadastro duomenų aktualinimo ar iškraustyti esančių daiktų.
Dalinis nuosavybės pobūdis lemia, kad bendraturčiai nėra susitarę dėl bendro dalinės nuosavybės tvarkos nei sodo pastatui, nei žemės sklypui. Tai svarbi informacija pirkėjui, įsigyjančiam tik 1/3 visu objekto dalimi.
Aukcionas, organizuojamas Valstybės įmonės Turto bankas (įm. k. 112021042), prasideda 2026-02-19 09:00:00 ir baigiasi 2026-02-20 13:59:59. Dalyvio registracija vyksta nuo 2026-02-11 00:00:00 iki 2026-02-13 23:59:59. Garantinis mokestis yra 229 EUR, o registracijos mokestis – 10 EUR. Pirkimo-pardavimo sutarčių projektai ir detalesnė informacija apie mokėjimus (įskaitant Neopay apmokėjimo galimybę arba bankiniu pavedimu į LT85 7044 0901 0022 1537 AB SEB banke) pateikiami organizatorius nurodytoje nuorodoje.
Dalinis nuosavybės pobūdis lemia, kad bendraturčiai nėra susitarę dėl bendro dalinės nuosavybės tvarkos nei sodo pastatui, nei žemės sklypui. Tai svarbi informacija pirkėjui, įsigyjančiam tik 1/3 visu objekto dalimi.
Aukcionas, organizuojamas Valstybės įmonės Turto bankas (įm. k. 112021042), prasideda 2026-02-19 09:00:00 ir baigiasi 2026-02-20 13:59:59. Dalyvio registracija vyksta nuo 2026-02-11 00:00:00 iki 2026-02-13 23:59:59. Garantinis mokestis yra 229 EUR, o registracijos mokestis – 10 EUR. Pirkimo-pardavimo sutarčių projektai ir detalesnė informacija apie mokėjimus (įskaitant Neopay apmokėjimo galimybę arba bankiniu pavedimu į LT85 7044 0901 0022 1537 AB SEB banke) pateikiami organizatorius nurodytoje nuorodoje.
📍 Objekto lokacija
📍 Panevėžio r. sav. Kaubariškio k. Užgirio g. 2
❓ Dažnai užduodami klausimai
Kokia yra parduodama nekilnojamojo turto dalis ir kokia pradinė kaina?
Parduodama 1/3 dalis sodo pastato (31,37 kv. m) ir 1/3 dalis žemės sklypo (0,0723 ha). Pradinė kaina aukcione yra 2298 EUR.
Kada vyks turto aukcionas ir kada baigiasi registracija?
Aukcionas vyks nuo 2026-02-19 09:00:00 iki 2026-02-20 13:59:59. Dalyvių registracija prasideda 2026-02-11 00:00:00 ir baigiasi 2026-02-13 23:59:59.
Kokie papildomi mokesčiai taikomi dalyvavimui aukcione?
Reikalingas 229 EUR garantinis mokestis ir 10 EUR registracijos mokestis.
Kokia yra turto būklė ir neįregistruoti pakeitimai?
Turtas parduodamas esamos fizinės ir funkcinės būklės. Prie sodo pastato yra pristatytas medinis priestatas, kuris nėra užfiksuotas Nekilnojamojo turto kadastro duomenyse.
Kokie apribojimai susiję su daline nuosavybe?
Bendraturčiai nėra sudarę susitarimų dėl naudojimosi bendra daline nuosavybe tvarkos nei sodo pastatui, nei žemės sklypui.
Kur galima apžiūrėti parduodamą turtą?
Apžiūros organizuojamos iš anksto individualiai suderinus laiką iki registracijos pradžios (iki 2026-02-11) kreipiantis į Turto banko atstovus.
Koks unikalus sodo pastato numeris?
Sodo pastato unikalus numeris yra 6600-3005-6018.