📝 Aprašymas
Parduodamas gyvenamasis namas Pakruojo rajono savivaldybėje, Grikpėdžių kaime, Senoji g. 13, kurio bendras plotas nenurodytas, tačiau pradinė kaina siekia 2100 EUR. Šis NT objektas parduodamas esamos faktinės būklės ir pagal neatnaujintus kadastro duomenis, todėl potencialus pirkėjas turi įvertinti visas su tuo susijusias teisines ir ekonomines rizikas, įskaitant statinio apžiūrą vietoje.
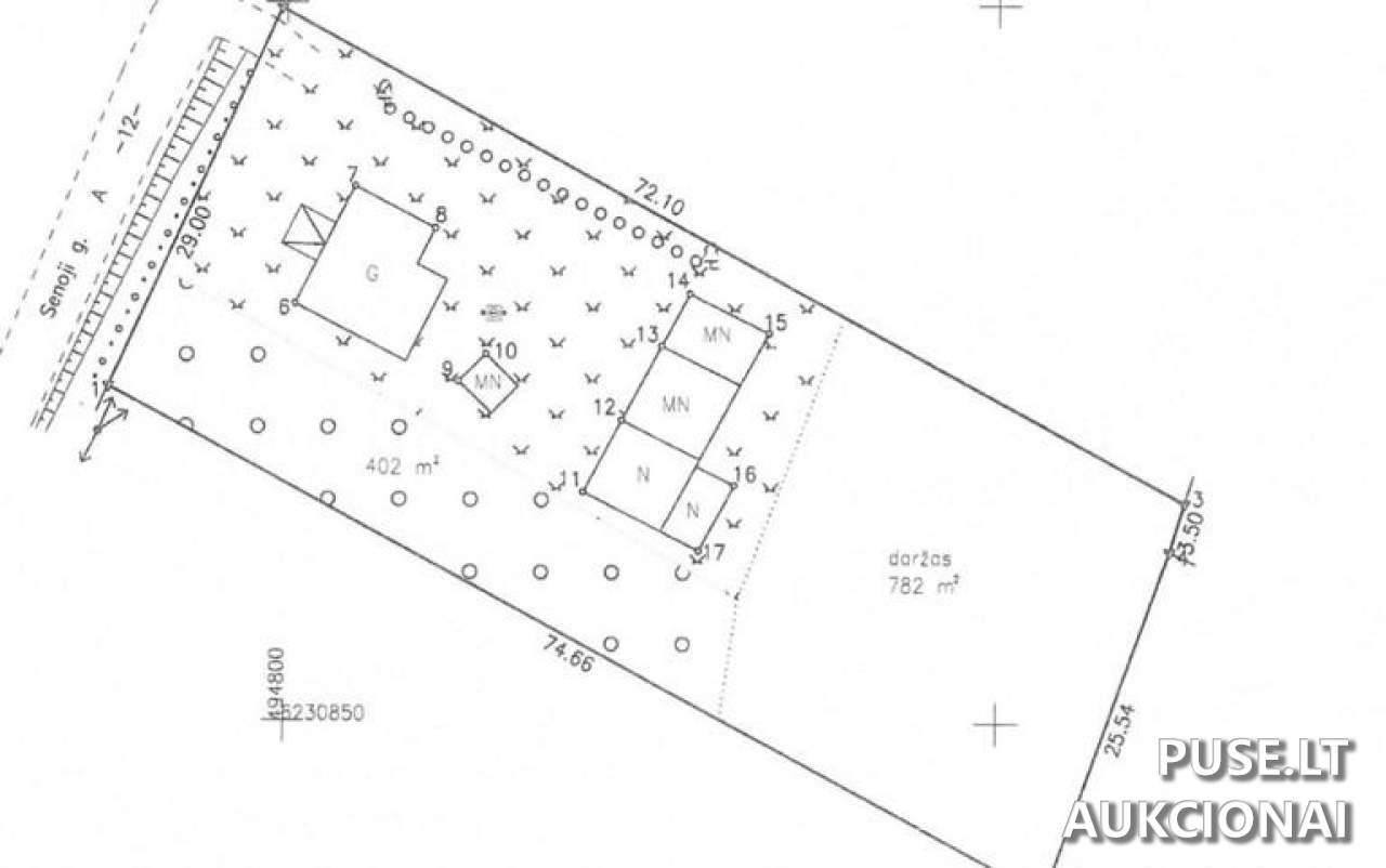
Nekilnojamas turtas parduodamas kartu su kitais statiniais ir žemės sklypu: parduodama 1/1 dalis. Priklauso juridiniai unikalūs Nr. 6596-7014-7011. Taip pat parduodami ir kiti inžinieriniai statiniai bei pastatai: Tualetas (Unikalus Nr. 4400-6085-1058), Šulinys (Unikalus Nr. 4400-6085-1069), Viralinė (užstatytas plotas 25.00 kv. m, Unikalus Nr. 6596-7014-7022), Tvartas (užstatytas plotas 35.00 kv. m, Unikalus Nr. 6596-7014-7033), Daržinė (užstatytas plotas 29.00 kv. m, Unikalus Nr. 6596-7014-7044), Malkinė (užstatytas plotas 15.00 kv. m, Unikalus Nr. 6596-7014-7055) ir Pirtis (užstatytas plotas 8 kv. m, Unikalus Nr. 6596-7014-7077).
Priklauso 0.2117 ha žemės sklypas (Unikalus Nr. 6518-0001-0014) Grikpėdžių kaime. Svarbi sąlyga: Aukciono laimėtojas, atsižvelgdamas į Lietuvos Respublikos žemės ūkio paskirties žemės įsigijimo įstatymo reikalavimus, prieš sudarant pirkimo-pardavimo sutartį privalės pateikti Nacionalinės žemės tarnybos sutikimą įsigyti šį žemės ūkio paskirties sklypą.
Registracija į aukcioną vyksta nuo 2026-02-23 00:00:00 iki 2026-02-25 23:59:59. Pats aukcionas vyks nuo 2026-03-02 09:00:00 iki 2026-03-03 13:59:59. Garantinis mokestis yra 210 EUR, o registracijos mokestis - 10 EUR. Turto bankas neįsipareigoja iškraustyti jame esančių daiktų ir neatsako už jokius nuostolius dėl statinio trūkumų, įskaitant neatitikimą statybos ar aplinkosaugos teisės aktams (lauko tualetas neatitinka reikalavimų).
Nekilnojamas turtas parduodamas kartu su kitais statiniais ir žemės sklypu: parduodama 1/1 dalis. Priklauso juridiniai unikalūs Nr. 6596-7014-7011. Taip pat parduodami ir kiti inžinieriniai statiniai bei pastatai: Tualetas (Unikalus Nr. 4400-6085-1058), Šulinys (Unikalus Nr. 4400-6085-1069), Viralinė (užstatytas plotas 25.00 kv. m, Unikalus Nr. 6596-7014-7022), Tvartas (užstatytas plotas 35.00 kv. m, Unikalus Nr. 6596-7014-7033), Daržinė (užstatytas plotas 29.00 kv. m, Unikalus Nr. 6596-7014-7044), Malkinė (užstatytas plotas 15.00 kv. m, Unikalus Nr. 6596-7014-7055) ir Pirtis (užstatytas plotas 8 kv. m, Unikalus Nr. 6596-7014-7077).
Priklauso 0.2117 ha žemės sklypas (Unikalus Nr. 6518-0001-0014) Grikpėdžių kaime. Svarbi sąlyga: Aukciono laimėtojas, atsižvelgdamas į Lietuvos Respublikos žemės ūkio paskirties žemės įsigijimo įstatymo reikalavimus, prieš sudarant pirkimo-pardavimo sutartį privalės pateikti Nacionalinės žemės tarnybos sutikimą įsigyti šį žemės ūkio paskirties sklypą.
Registracija į aukcioną vyksta nuo 2026-02-23 00:00:00 iki 2026-02-25 23:59:59. Pats aukcionas vyks nuo 2026-03-02 09:00:00 iki 2026-03-03 13:59:59. Garantinis mokestis yra 210 EUR, o registracijos mokestis - 10 EUR. Turto bankas neįsipareigoja iškraustyti jame esančių daiktų ir neatsako už jokius nuostolius dėl statinio trūkumų, įskaitant neatitikimą statybos ar aplinkosaugos teisės aktams (lauko tualetas neatitinka reikalavimų).
📍 Objekto lokacija
📍 Pakruojo r. sav. Grikpėdžių k. Senoji g. 13
❓ Dažnai užduodami klausimai
Kokia yra pradinė gyvenamojo namo kaina Pakruojo r. aukcione?
Gyvenamojo namo su priklausiniais pradinė kaina aukcione yra 2100 EUR.
Kada galima teikti paraiškas ir kada vyks aukcionas?
Registracija į aukcioną vyksta nuo 2026-02-23 00:00:00 iki 2026-02-25 23:59:59. Pats aukcionas vyks nuo 2026-03-02 09:00:00 iki 2026-03-03 13:59:59.
Kokie yra papildomi mokesčiai dalyvaujant aukcione?
Reikės sumokėti 210 EUR garantinį mokestį ir 10 EUR registracijos mokestį.
Koks unikalus namo kodas ir adresas?
Namo unikalus Nr. yra 6596-7014-7011. Adresas: Pakruojo r. sav. Grikpėdžių k. Senoji g. 13.
Ar pardavėjas garantuoja statinių techninę būklę?
Ne, turtas parduodamas esamos faktinės būklės, vadovaujantis neatnaujintais kadastro duomenimis. Pardavėjas neįsipareigoja iškraustyti esančių daiktų ar atsakyti už statinių trūkumus (pvz. lauko tualetas neatitinka reikalavimų).
Ką reikia žinoti apie parduodamą žemės sklypą?
Parduodamas 0.2117 ha žemės ūkio paskirties sklypas. Laimėtojas privalo gauti Nacionalinės žemės tarnybos sutikimą prieš sudarant pirkimo-pardavimo sutartį.