📝 Aprašymas
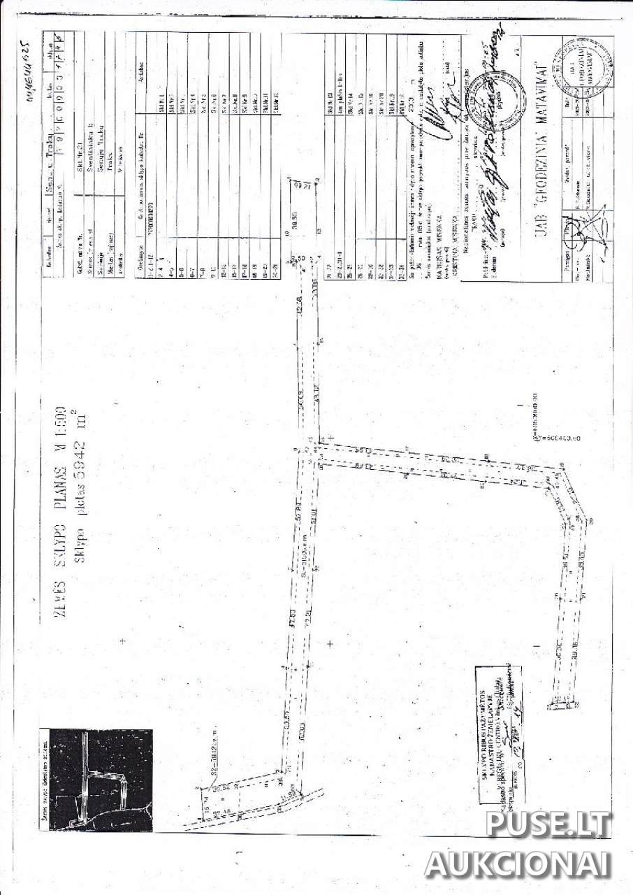
Parduodamas 0.5942 ha ploto žemės sklypas Trakų rajono savivaldybėje, Šventininkų kaime, per antstolių varžytynes. Tai puiki investavimo galimybė į nekilnojamąjį turtą Trakų regione.
Sklypo pagrindinė naudojimo paskirtis yra kategorizuota kaip Kita. Detalesnis žemės sklypo naudojimo būdas nurodomas kaip Susisiekimo ir inžinerinių tinklų koridorių teritorijos. Šiuo metu numatyta sklypo dalies pardavimo apimtis yra visa nuosavybė – 1/1 dalis.
Žemės sklypo naudojimosi tvarka nėra nustatyta, todėl pirkėjas turėtų įvertinti galimus naudojimo scenarijus atsižvelgiant į nurodytą naudojimo būdą. Sklypas yra apdraustas areštu, kas yra įprasta antstolių vykdomuose procesuose.
Juridiniai duomenys: Kadastro numeris 7970/0003:1745, Unikalus numeris 4400-2776-8805. Aukcionas vyksta internetu ir prasideda 2026-02-06 11:58:46, o baigiasi 2026-03-09 11:58:59.
Objekto apžiūra: Dėl turto apžiūros galimybių ar detalesnės informacijos prašome kreiptis į aukciono vykdytojus, nurodytu kontaktu.
Sklypo pagrindinė naudojimo paskirtis yra kategorizuota kaip Kita. Detalesnis žemės sklypo naudojimo būdas nurodomas kaip Susisiekimo ir inžinerinių tinklų koridorių teritorijos. Šiuo metu numatyta sklypo dalies pardavimo apimtis yra visa nuosavybė – 1/1 dalis.
Žemės sklypo naudojimosi tvarka nėra nustatyta, todėl pirkėjas turėtų įvertinti galimus naudojimo scenarijus atsižvelgiant į nurodytą naudojimo būdą. Sklypas yra apdraustas areštu, kas yra įprasta antstolių vykdomuose procesuose.
Juridiniai duomenys: Kadastro numeris 7970/0003:1745, Unikalus numeris 4400-2776-8805. Aukcionas vyksta internetu ir prasideda 2026-02-06 11:58:46, o baigiasi 2026-03-09 11:58:59.
Objekto apžiūra: Dėl turto apžiūros galimybių ar detalesnės informacijos prašome kreiptis į aukciono vykdytojus, nurodytu kontaktu.
📍 Objekto lokacija
📍 Trakų r. sav. Šventininkų k.
❓ Dažnai užduodami klausimai
Kokia yra šio 0.5942 ha žemės sklypo pradinė kaina aukcione Trakų r. savivaldybėje?
Žemės sklypo pradinė kaina yra 12000 EUR.
Kada baigiasi antstolių varžytynės šiam sklypui Šventininkų kaime?
Aukcionas baigiasi 2026-03-09 11:58:59.
Koks yra parduodamo žemės sklypo kadastro ir unikalus numeriai?
Kadastro numeris yra 7970/0003:1745, o unikalus numeris – 4400-2776-8805.
Koks yra numatytas pagrindinis žemės sklypo naudojimo būdas Šventininkų kaime?
Žemės sklypo naudojimo būdas nurodytas kaip Susisiekimo ir inžinerinių tinklų koridorių teritorijos.
Ar parduodama visa nuosavybė, ar tik dalis sklypo?
Parduodama visa 1/1 dalis žemės sklypo.
Kur galima kreiptis norint apžiūrėti šį nekilnojamąjį turtą Trakų rajone?
Dėl turto apžiūros reikia kreiptis į Mariušą Misenką.
Kokios organizacijos vykdo šias antstolių varžytynes?
Varžytynes vykdo Antstolės Sonatos Vaicekauskienės kontora, registruota Kaune.