📝 Aprašymas
Parduodama 1/4 dalis gyvenamojo namo su priklausiniais ir žemės sklypu Vilkaviškio rajono savivaldybėje, Virbalio Miesto Laukų kaime, Smėlio g. 4. Tai pakartotinis aukcionas, kurio pradinė kaina yra 2688 EUR. Šis objektas apima dalį gyvenamojo namo, viralinės, garažo ir kitų inžinerinių statinių, taip pat dalį žemės sklypo.
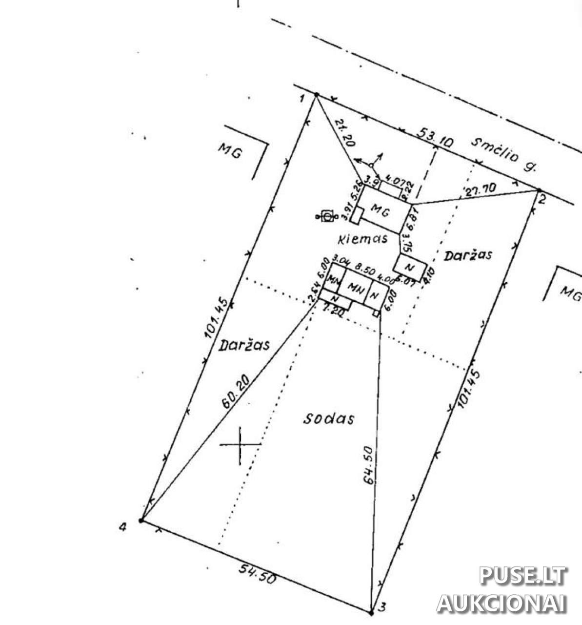
Nekilnojamojo turto dalys:
- 1/4 dalis gyvenamojo namo, bendras plotas 71.94 kv. m, unikalus Nr. 3996-6020-3010.
- 1/4 dalis viralinės, užstatytas plotas 112.00 kv. m, unikalus Nr. 3996-6020-3021.
- 1/4 dalis garažo, užstatytas plotas 25.00 kv. m, unikalus Nr. 3996-6020-3032. Atkreipiamas dėmesys, kad garažas faktiškai yra sunykęs, nebenaudojamas pagal paskirtį. Objekto vietoje yra statinys, primenantis apkaltą lentelėmis mobilų namelį, kuris nėra įregistruotas Kadastre.
- 1/4 dalis kitų inžinerinių statinių (šulinys, lauko tualetas, rūkykla), unikalus Nr. 3996-6020-3076.
- 0.13645 ha iš 0.5458 ha žemės sklypo, unikalus Nr. 4400-0467-6751.
Objektas parduodamas esamos fizinės ir funkcinės būklės, pagal Nekilnojamojo turto kadastro duomenis. VĮ Turto bankas neįsipareigoja atnaujinti kadastro duomenų. Pirkėjas priima visas su tokios būklės turto pirkimu susijusias teisines ir ekonomines rizikas, įskaitant galimus neatitikimus statybos ir aplinkosaugos reikalavimams. Lauko tualetas neatitinka teisės aktų reikalavimų. Svarbu žinoti, kad bendraturčiai nėra sudarę susitarimų dėl bendros dalinės nuosavybės tvarkos.
Aukciono tvarkaraštis ir mokesčiai:
Aukcionas prasideda 2026-03-30 09:00:00 ir baigiasi 2026-03-31 13:59:59. Registracija vyksta nuo 2026-03-23 00:00:00 iki 2026-03-25 23:59:59. Garantinis mokestis yra 268 EUR, o registracijos mokestis - 10 EUR. Mokėjimai galimi tiesiogiai per Neopay sistemą arba bankiniu pavedimu į sąskaitą LT85 7044 0901 0022 1537 AB SEB banke, nurodant aukciono numerį.
Nekilnojamojo turto dalys:
- 1/4 dalis gyvenamojo namo, bendras plotas 71.94 kv. m, unikalus Nr. 3996-6020-3010.
- 1/4 dalis viralinės, užstatytas plotas 112.00 kv. m, unikalus Nr. 3996-6020-3021.
- 1/4 dalis garažo, užstatytas plotas 25.00 kv. m, unikalus Nr. 3996-6020-3032. Atkreipiamas dėmesys, kad garažas faktiškai yra sunykęs, nebenaudojamas pagal paskirtį. Objekto vietoje yra statinys, primenantis apkaltą lentelėmis mobilų namelį, kuris nėra įregistruotas Kadastre.
- 1/4 dalis kitų inžinerinių statinių (šulinys, lauko tualetas, rūkykla), unikalus Nr. 3996-6020-3076.
- 0.13645 ha iš 0.5458 ha žemės sklypo, unikalus Nr. 4400-0467-6751.
Objektas parduodamas esamos fizinės ir funkcinės būklės, pagal Nekilnojamojo turto kadastro duomenis. VĮ Turto bankas neįsipareigoja atnaujinti kadastro duomenų. Pirkėjas priima visas su tokios būklės turto pirkimu susijusias teisines ir ekonomines rizikas, įskaitant galimus neatitikimus statybos ir aplinkosaugos reikalavimams. Lauko tualetas neatitinka teisės aktų reikalavimų. Svarbu žinoti, kad bendraturčiai nėra sudarę susitarimų dėl bendros dalinės nuosavybės tvarkos.
Aukciono tvarkaraštis ir mokesčiai:
Aukcionas prasideda 2026-03-30 09:00:00 ir baigiasi 2026-03-31 13:59:59. Registracija vyksta nuo 2026-03-23 00:00:00 iki 2026-03-25 23:59:59. Garantinis mokestis yra 268 EUR, o registracijos mokestis - 10 EUR. Mokėjimai galimi tiesiogiai per Neopay sistemą arba bankiniu pavedimu į sąskaitą LT85 7044 0901 0022 1537 AB SEB banke, nurodant aukciono numerį.
📍 Objekto lokacija
📍 Vilkaviškio r. sav. Virbalio Miesto Laukų k. Smėlio g. 4
❓ Dažnai užduodami klausimai
Kokia yra parduodamo objekto (1/4 dalis namo ir žemės) pradinė kaina aukcione?
Pradinė kaina už 1/4 dalį gyvenamojo namo, viralinės, garažo ir žemės sklypo dalį yra 2688 EUR.
Kada vyksta nekilnojamojo turto aukcionas šiam objektui, esančiam Smėlio g. 4, Laukų kaime?
Aukcionas prasideda 2026-03-30 09:00:00 ir baigiasi 2026-03-31 13:59:59.
Kokie papildomi mokesčiai sumokami dalyvaujant aukcione?
Dalyvio registracijos mokestis yra 10 EUR, o garantinis mokestis yra 268 EUR.
Kokia yra gyvenamojo namo bendroji ploto dalis, parduodama aukcione?
Parduodama 1/4 dalis gyvenamojo namo, kurio bendras plotas yra 71.94 kv. m. Taip pat parduodama 1/4 dalis žemės sklypo (0.13645 ha).
Kokie yra pagrindiniai pardavimo sąlygų apribojimai ar žinomos problemos?
Objektas parduodamas esamos būklės. Garažas yra sunykęs ir primena mobilų namelį, o lauko tualetas neatitinka teisės aktų reikalavimų. Bendraturčiai nėra sudarę nuosavybės naudojimosi tvarkos.
Kaip registruotis ir kada baigiasi registracija į 83085 ID aukcioną?
Registracija vyksta nuo 2026-03-23 00:00:00 iki 2026-03-25 23:59:59. Galima mokėti per Neopay arba bankiniu pavedimu.
Koks unikalus šio nekilnojamojo turto numeris?
Gyvenamojo namo unikalus Nr. yra 3996-6020-3010.