📝 Aprašymas
Parduodama dalis (1/3) sodo pastato ir žemės sklypo Panevėžio rajono savivaldybėje, Karsakiškio seniūnijoje, Kaubariškio kaime, Užgirio gatvėje 2. Tai pakartotinis aukcionas, kurio pradinė kaina siekia 1668 EUR. Pardavimas vyksta per VĮ Turto banką.
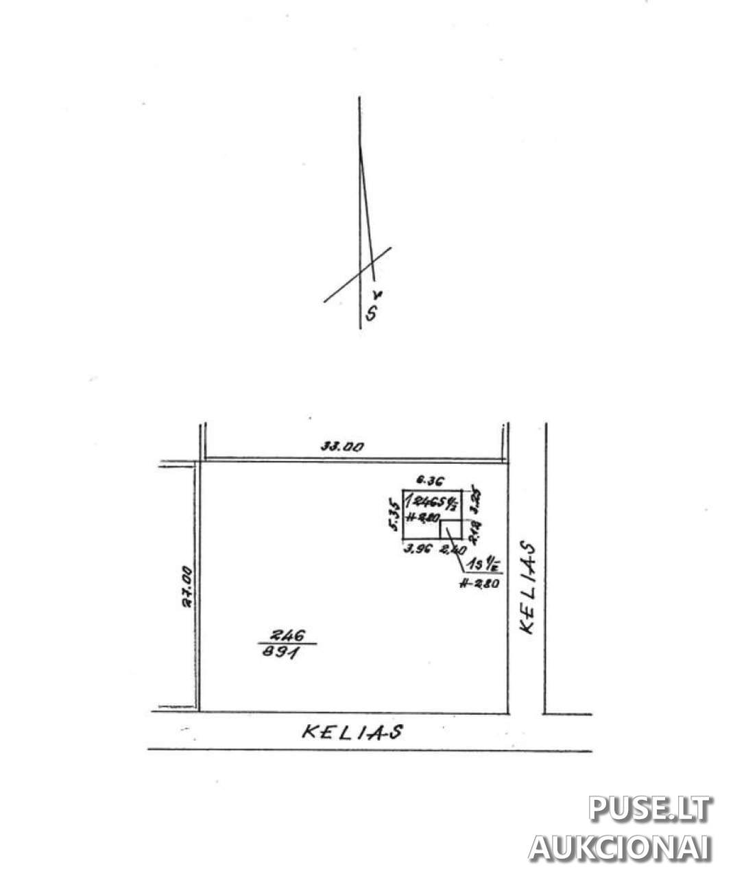
Parduodama 1/3 bendro 31,37 kv. m ploto sodo pastato (1S1ž) su unikaliu numeriu 6600-3005-6018. Taip pat parduodama 1/3 dalis 0,0723 ha ploto žemės sklypo (uniklus nr. 6626-0012-0246).
Nekilnojamasis turtas parduodamas esamos fizinės ir funkcinės būklės, pagal esamus kadastro duomenis. Svarbu pažymėti, kad prie sodo pastato yra pristatytas medinis priestatas, kuris nėra užfiksuotas Nekilnojamojo turto kadastro duomenyse. Pardavėjas, VĮ Turto bankas, neįsipareigoja nustatyti aktualios kadastro būklės ar iškraustyti jame esančių daiktų.
Bendraturčiai nėra sudarę susitarimų dėl bendros dalinės nuosavybės – nei sodo pastato, nei žemės sklypo naudojimosi tvarkos. Pirkėjui tenka prisiimti visus su bendrosios nuosavybės tvarkymu susijusius klausimus.
Skelbiami aukcionų terminai: registracija vyksta nuo 2026-04-01 iki 2026-04-03 23:59:59. Pats aukcionas vyks 2026-04-09 09:00:00, o baigsis 2026-04-10 13:59:59. Garantinis mokestis siekia 166 EUR, o registracijos mokestis yra 10 EUR.
Parduodama 1/3 bendro 31,37 kv. m ploto sodo pastato (1S1ž) su unikaliu numeriu 6600-3005-6018. Taip pat parduodama 1/3 dalis 0,0723 ha ploto žemės sklypo (uniklus nr. 6626-0012-0246).
Nekilnojamasis turtas parduodamas esamos fizinės ir funkcinės būklės, pagal esamus kadastro duomenis. Svarbu pažymėti, kad prie sodo pastato yra pristatytas medinis priestatas, kuris nėra užfiksuotas Nekilnojamojo turto kadastro duomenyse. Pardavėjas, VĮ Turto bankas, neįsipareigoja nustatyti aktualios kadastro būklės ar iškraustyti jame esančių daiktų.
Bendraturčiai nėra sudarę susitarimų dėl bendros dalinės nuosavybės – nei sodo pastato, nei žemės sklypo naudojimosi tvarkos. Pirkėjui tenka prisiimti visus su bendrosios nuosavybės tvarkymu susijusius klausimus.
Skelbiami aukcionų terminai: registracija vyksta nuo 2026-04-01 iki 2026-04-03 23:59:59. Pats aukcionas vyks 2026-04-09 09:00:00, o baigsis 2026-04-10 13:59:59. Garantinis mokestis siekia 166 EUR, o registracijos mokestis yra 10 EUR.
📍 Objekto lokacija
📍 Panevėžio r. sav. Kaubariškio k. Užgirio g. 2
❓ Dažnai užduodami klausimai
Kokia yra sodo pastato ir sklypo 1/3 dalies pradinė kaina?
Pradinė pardavimo kaina yra 1668 EUR.
Kada vyksta aukcionas dėl Sodo pastato 1/3 dalies Panevėžio rajone?
Aukcionas prasideda 2026-04-09 09:00:00 ir baigiasi 2026-04-10 13:59:59.
Koks yra parduodamo objekto unikalus numeris ir bendras plotas?
Sodo pastato unikalus numeris yra 6600-3005-6018, parduodama 1/3 dalis bendro 31,37 kv. m ploto. Taip pat parduodama ir 1/3 dalis 0,0723 ha žemės sklypo.
Kokie papildomi mokesčiai sumokami dalyvaujant aukcione?
Reikalingas garantinis mokestis – 166 EUR, bei negrąžinamas aukciono dalyvio registracijos mokestis – 10 EUR.
Kokie yra pagrindiniai apribojimai ar specifinės sąlygos perkant šį turtą?
Nekilnojamasis turtas parduodamas esamos būklės, su neįregistruotu mediniu priestatu. Bendraturčiai nėra sutarę dėl bendros nuosavybės naudojimosi tvarkos.
Iki kada galima teikti paraišką dalyvauti pardavimo aukcione?
Registracija į aukcioną galioja iki 2026-04-03 23:59:59.