📝 Aprašymas
Parduodamos negyvenamosios patalpos Kaune, Vaisių gatvėje 34A-1, pradinė kaina siekia 8220 EUR. Šis turtas yra 1/1 dalis, parduodama esamos faktinės būklės, kartu su priklausančia dalimi žemės sklypo. Bendra patalpų plotas sudaro 26.61 kv. m. Tikslus patalpų paskirstymas yra šios dalys: 1-1 (1.60 kv. m), 1-2 (11.64 kv. m), 1-3 (8.37 kv. m) ir 1-4 (5.00 kv. m). Taip pat parduodama bendro naudojimo patalpa, pažymėta b1 (1/2 nuo 8.97 kv. m).
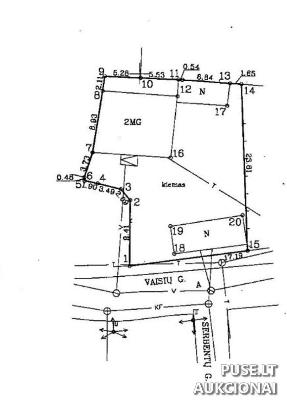
Prie nekilnojamojo turto priklauso ir dalis žemės sklypo, kurio unikalus numeris yra 4400-1518-2726, bendras plotas 0.0081 ha (iš viso 0.0501 ha sklypo). Nekilnojamojo turto unikalus numeris yra 1993-7038-9018:0005.
Svarbu: Turtas parduodamas esamos faktinės būklės ir pagal neatnaujintus turto kadastro duomenis. Valstybės įmonė Turto bankas neįsipareigoja nustatyti aktualios kadastro būklės ar iškraustyti jame esančių daiktų. Bendraturčiai nėra sudarę susitarimų dėl bendros dalinės nuosavybės naudojimosi tvarkos, todėl tai yra papildoma informacija pirkėjui.
Aukcionas, organizuojamas VĮ Turto banko, prasideda 2026-04-20 09:00:00 ir baigiasi 2026-04-21 13:59:59. Privalomas garantinis mokestis yra 822 EUR, o registracijos mokestis – 30 EUR. Registracija į aukcioną vyksta nuo 2026-04-13 00:00:00 iki 2026-04-15 23:59:59. Galimas apmokėjimas per NEOPAY arba bankiniu pavedimu nurodžius el. aukciono numerį.
Objekto apžiūrą galima organizuoti individualiai suderinus laiką, tačiau tik iki registracijos į aukcioną pradžios.
Prie nekilnojamojo turto priklauso ir dalis žemės sklypo, kurio unikalus numeris yra 4400-1518-2726, bendras plotas 0.0081 ha (iš viso 0.0501 ha sklypo). Nekilnojamojo turto unikalus numeris yra 1993-7038-9018:0005.
Svarbu: Turtas parduodamas esamos faktinės būklės ir pagal neatnaujintus turto kadastro duomenis. Valstybės įmonė Turto bankas neįsipareigoja nustatyti aktualios kadastro būklės ar iškraustyti jame esančių daiktų. Bendraturčiai nėra sudarę susitarimų dėl bendros dalinės nuosavybės naudojimosi tvarkos, todėl tai yra papildoma informacija pirkėjui.
Aukcionas, organizuojamas VĮ Turto banko, prasideda 2026-04-20 09:00:00 ir baigiasi 2026-04-21 13:59:59. Privalomas garantinis mokestis yra 822 EUR, o registracijos mokestis – 30 EUR. Registracija į aukcioną vyksta nuo 2026-04-13 00:00:00 iki 2026-04-15 23:59:59. Galimas apmokėjimas per NEOPAY arba bankiniu pavedimu nurodžius el. aukciono numerį.
Objekto apžiūrą galima organizuoti individualiai suderinus laiką, tačiau tik iki registracijos į aukcioną pradžios.
📍 Objekto lokacija
📍 Kauno m. sav. Kauno m. Vaisių g. 34A-1
❓ Dažnai užduodami klausimai
Kokia mažiausia pradinė kaina, už kurią parduodamos patalpos Vaisių g. 34A-1?
Pradinė kaina yra 8220 EUR. Taip pat reikia sumokėti 822 EUR garantinį mokestį ir 30 EUR registracijos mokestį.
Kada vyks turto aukcionas ir kada registracija į jį?
Aukcionas prasidės 2026-04-20 09:00:00 ir baigsis 2026-04-21 13:59:59. Registracija vyksta nuo 2026-04-13 00:00:00 iki 2026-04-15 23:59:59.
Koks yra parduodamo nekilnojamojo turto plotas Kaune, Vaisių g. 34A-1?
Bendras negyvenamųjų patalpų plotas yra 26.61 kv. m., taip pat parduodama dalis bendro naudojimo patalpos b1 ir dalis 0.0081 ha žemės sklypo.
Kokie pardavimo apribojimai ar sąlygos taikomos šiam objektui?
Turtas parduodamas esamos faktinės būklės pagal neatnaujintus kadastro duomenis. Pardavėjas neįsipareigoja iškraustyti esamų daiktų. Bendraturčiai nėra sudarę naudojimosi bendros dalinės nuosavybės tvarkos susitarimų.
Kur galima apžiūrėti negyvenamąsias patalpas Kaune?
Apžiūros organizuojamos iš anksto individualiai suderinus laiką su Vadybininke Agne Narauskaite, tačiau tik iki registracijos į aukcioną pradžios.
Koks yra nekilnojamojo turto unikalus numeris aukcione?
Nekilnojamojo turto unikalus numeris yra 1993-7038-9018:0005.