📝 Aprašymas
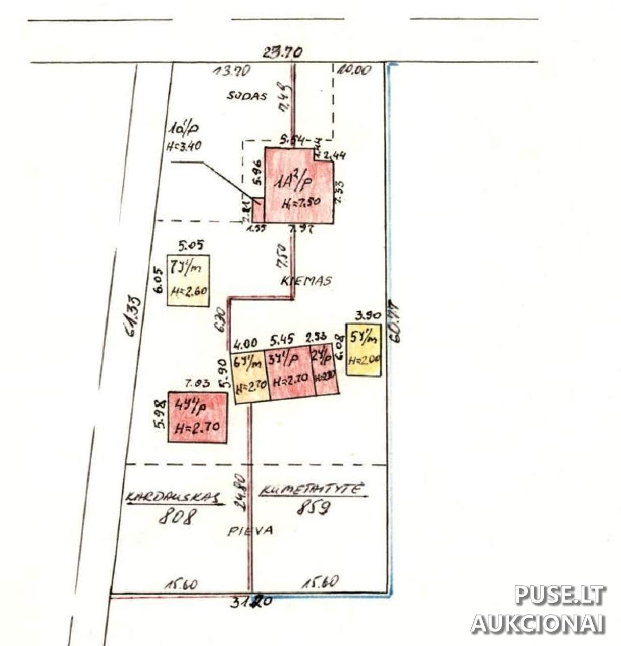
Parduodama 1/2 dalis 40.38 kv. m ploto buto su pagalbine nenaudinga 2.17 kv. m patalpa Vilkaviškio rajono savivaldybėje, Kybartų seniūnijoje, Šiaudiniškių kaimo, Šiaudiniškių g. 13-1 adresas. Objekto unikalus numeris yra 3997-8019-2010:0001.
Pardavimui taip pat priklauso 1/2 dalis šių priklausinių: viralinės užstatyto ploto 15.00 kv. m (unikalus Nr. 3997-8019-2022); 1/2 dalis ūkinio pastato užstatyto ploto 32.00 kv. m (unikalus Nr. 3997-8019-2030); 1/2 dalis ūkinio pastato-garažo užstatyto ploto 24.00 kv. m (unikalus Nr. 3997-8019-2052); 1/2 dalis daržinės užstatyto ploto 24.00 kv. m (unikalus Nr. 3997-8019-2063).
Be to, aukcione parduodama 1/2 dalis 0.0427 ha žemės sklypo, kurio bendras plotas 0.1667 ha (unikalus Nr. 4400-0073-4589), esančio Šiaudiniškių g. 13, Vilkaviškio r. sav., Kybartų sen., Šiaudiniškių k.
Nekilnojamasis turtas parduodamas esamos fizinės ir funkcinės būklės, remiantis esamais kadastro duomenimis. VĮ Turto bankas neįsipareigoja atlikti kadastro duomenų atnaujinimo ar iškraustyti esančių daiktų. Pirkėjui svarbu žinoti, kad Turto bankas nėra sudaręs elektros tiekimo sutarties. Bendraturčiai nėra nustatę bendros dalinės nuosavybės tvarkos, ir žemės sklypo savininkai nėra susitarę dėl naudojimosi sklypo dalimis tvarkos.
Aukciono dalyvio registracijos mokestis yra 10 EUR, o garantinis mokestis siekia 185 EUR. Pradinė kaina – 1859 EUR. Aukcionas vyks 2026-04-27 09:00:00 val. iki 2026-04-28 13:59:59 val. Registracija vyksta nuo 2026-04-20 iki 2026-04-22.
Pardavimui taip pat priklauso 1/2 dalis šių priklausinių: viralinės užstatyto ploto 15.00 kv. m (unikalus Nr. 3997-8019-2022); 1/2 dalis ūkinio pastato užstatyto ploto 32.00 kv. m (unikalus Nr. 3997-8019-2030); 1/2 dalis ūkinio pastato-garažo užstatyto ploto 24.00 kv. m (unikalus Nr. 3997-8019-2052); 1/2 dalis daržinės užstatyto ploto 24.00 kv. m (unikalus Nr. 3997-8019-2063).
Be to, aukcione parduodama 1/2 dalis 0.0427 ha žemės sklypo, kurio bendras plotas 0.1667 ha (unikalus Nr. 4400-0073-4589), esančio Šiaudiniškių g. 13, Vilkaviškio r. sav., Kybartų sen., Šiaudiniškių k.
Nekilnojamasis turtas parduodamas esamos fizinės ir funkcinės būklės, remiantis esamais kadastro duomenimis. VĮ Turto bankas neįsipareigoja atlikti kadastro duomenų atnaujinimo ar iškraustyti esančių daiktų. Pirkėjui svarbu žinoti, kad Turto bankas nėra sudaręs elektros tiekimo sutarties. Bendraturčiai nėra nustatę bendros dalinės nuosavybės tvarkos, ir žemės sklypo savininkai nėra susitarę dėl naudojimosi sklypo dalimis tvarkos.
Aukciono dalyvio registracijos mokestis yra 10 EUR, o garantinis mokestis siekia 185 EUR. Pradinė kaina – 1859 EUR. Aukcionas vyks 2026-04-27 09:00:00 val. iki 2026-04-28 13:59:59 val. Registracija vyksta nuo 2026-04-20 iki 2026-04-22.
📍 Objekto lokacija
📍 Vilkaviškio r. sav. Šiaudiniškių k. Šiaudiniškių g. 13-1
❓ Dažnai užduodami klausimai
Kokia yra 1/2 dalies buto ir priklausinių pradinė kaina aukcione?
Buto ir priklausinių 1/2 dalies pradinė kaina yra 1859 EUR.
Kada vyksta šis nekilnojamojo turto aukcionas?
Aukcionas prasideda 2026-04-27 09:00:00 ir baigiasi 2026-04-28 13:59:59.
Koks yra buto bendras plotas ir kokia dalis parduodama?
Parduodama 1/2 dalis buto, kurio bendras plotas yra 40.38 kv. m. Parduodama dalis apima ir pagalbines 2.17 kv. m patalpas.
Ar būtina mokėti garantinį ir registracijos mokestį, ir kokios jų sumos?
Taip, reikalingas garantinis mokestis 185 EUR ir registracijos mokestis 10 EUR. Galima mokėti per NEOPAY arba bankiniu pavedimu.
Koks yra parduodamo objekto adresas ir unikalus numeris?
Adresas: Vilkaviškio r. sav. Šiaudiniškių k. Šiaudiniškių g. 13-1. Buto unikalus Nr.: 3997-8019-2010:0001.
Ar pardavėjas pasirūpins elektros tiekimo sutartimi ar iškeldins daiktus?
VĮ Turto bankas neįsipareigoja sudaryti elektros tiekimo sutarties arba iškraustyti jame esančių daiktų. Turtas parduodamas esamos būklės.
Kada galima apžiūrėti parduodamą nekilnojamąjį turtą?
Objektų apžiūros organizuojamos iki registracijos pradžios į aukcioną, iš anksto individualiai suderinus laiką.