📝 Aprašymas
Parduodamas gyvenamasis namas su priklausiniais Pakruojo rajono savivaldybėje, Grikpėdžių kaimo vietovėje, Senoji g. 13, per Turto banko aukcioną. Šio pakartotinio aukciono pradinė kaina yra itin žema – 1910 EUR, todėl tai yra puiki investicinė galimybė į kaimo nekilnojamąjį turtą.
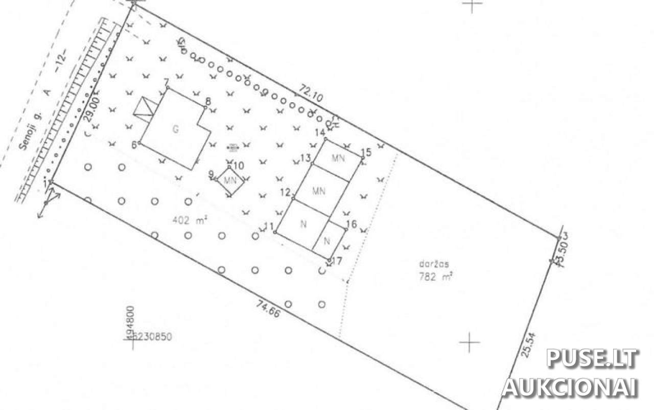
Objektą sudaro pagrindinis gyvenamasis namas (1/1 dalis), kurio bendras plotas nenurodytas, bei keli ūkiniai statiniai, įskaitant Tvartą (35.00 kv. m), Daržinę (29.00 kv. m), Malkinę (15.00 kv. m), Pirtį (8 kv. m) ir Tualetą. Prie namų priklauso 0.2117 ha žemės sklypas (Unikalus Nr. 6518-0001-0014) toje pačioje Senoji g. 13 vietoje.
Nekilnojamasis turtas parduodamas esamos faktinės būklės ir pagal neatnaujintus kadastro duomenis. Svarbu paminėti, kad lauko tualetas neatitinka galiojančių teisės aktų reikalavimų. Pirkėjas prisiima riziką dėl statinių būklės ir privalo pats patikrinti galimybes jas įrengti, nugriauti ar pertvarkyti. Turto bankas neatsako už jokius nuostolius dėl statinių trūkumų ar nepriežiūros.
Aukciono dalyviai, perkantys šį 0.2117 ha žemės ūkio paskirties sklypą, privalo laikytis Lietuvos Respublikos žemės ūkio paskirties žemės įsigijimo įstatymo 3 straipsnio 3 dalies nuostatų ir iki pirkimo-pardavimo sutarties sudarymo pateikti Nacionalinės žemės tarnybos sutikimą įsigyti šį žemės ūkio paskirties sklypą.
Svarbūs aukciono terminai: registracija vyksta nuo 2026-03-30 iki 2026-04-01, o pats aukcionas – nuo 2026-04-07 09:00:00 iki 2026-04-08 13:59:59. Garantinis mokestis sudaro 191 EUR, o registracijos mokestis – 10 EUR.
Objektą sudaro pagrindinis gyvenamasis namas (1/1 dalis), kurio bendras plotas nenurodytas, bei keli ūkiniai statiniai, įskaitant Tvartą (35.00 kv. m), Daržinę (29.00 kv. m), Malkinę (15.00 kv. m), Pirtį (8 kv. m) ir Tualetą. Prie namų priklauso 0.2117 ha žemės sklypas (Unikalus Nr. 6518-0001-0014) toje pačioje Senoji g. 13 vietoje.
Nekilnojamasis turtas parduodamas esamos faktinės būklės ir pagal neatnaujintus kadastro duomenis. Svarbu paminėti, kad lauko tualetas neatitinka galiojančių teisės aktų reikalavimų. Pirkėjas prisiima riziką dėl statinių būklės ir privalo pats patikrinti galimybes jas įrengti, nugriauti ar pertvarkyti. Turto bankas neatsako už jokius nuostolius dėl statinių trūkumų ar nepriežiūros.
Aukciono dalyviai, perkantys šį 0.2117 ha žemės ūkio paskirties sklypą, privalo laikytis Lietuvos Respublikos žemės ūkio paskirties žemės įsigijimo įstatymo 3 straipsnio 3 dalies nuostatų ir iki pirkimo-pardavimo sutarties sudarymo pateikti Nacionalinės žemės tarnybos sutikimą įsigyti šį žemės ūkio paskirties sklypą.
Svarbūs aukciono terminai: registracija vyksta nuo 2026-03-30 iki 2026-04-01, o pats aukcionas – nuo 2026-04-07 09:00:00 iki 2026-04-08 13:59:59. Garantinis mokestis sudaro 191 EUR, o registracijos mokestis – 10 EUR.
📍 Objekto lokacija
📍 Pakruojo r. sav. Grikpėdžių k. Senoji g. 13
❓ Dažnai užduodami klausimai
Sužinokite, kokia yra pradinė pardavimo kaina Grikpėdžių kaimo gyvenamajam namui su ūkio statiniais?
Šio turto (ID 85105) pradinė aukciono kaina yra 1910 EUR.
Kada vyksta tiesioginis nekilnojamojo turto aukcionas Pakruojo rajone?
Aukcionas vyks nuo 2026-04-07 09:00:00 iki 2026-04-08 13:59:59.
Kokia yra registracijos į aukcioną pabaigos data ir BŪTINAS Garantinis mokestis?
Registracija baigiasi 2026-04-01 23:59:59. Garantinis mokestis, kurį reikia sumokėti, yra 191 EUR.
Kokie ūkiniai statiniai priklauso su gyv. namu parduodamam turtui Senoji g. 13?
Parduodamas Tvartas (35 kv. m), Daržinė (29 kv. m), Malkinė (15 kv. m), Pirtis (8 kv. m) ir Tualetas, taip pat 0.2117 ha žemės sklypas.
Kokie specifiniai reikalavimai taikomi perkant žemės ūkio paskirties sklypą Grikpėdžių kaime?
Aukciono laimėtojas, įsigydamas 0.2117 ha žemės ūkio paskirties sklypą, privalės pateikti Nacionalinės žemės tarnybos sutikimą iki pirkimo-pardavimo sutarties sudarymo.
Ar pardavėjas garantuoja statinių atitiktį teisės aktams ir ar sutvarkys esamus daiktus?
Turtas parduodamas esamos faktinės būklės. VĮ Turto bankas neįsipareigoja tvarkyti kadastro duomenų ar iškraustyti esančių daiktų. Ypač lauko tualetas neatitinka teisės aktų reikalavimų.