📝 Aprašymas
Parduodamas ūkio paskirties pastatas Šiaulių mieste, Žemaitės gatvėje 46C, pakartotiniame Turto banko aukcione. Pradinė pardavimo kaina siekia 10510 EUR. Pastato užstatytas plotas yra 90 kvadratinių metrų ir parduodama visa 1/1 dalis. Unikalus turto numeris 2994-0007-5022.
Objektas parduodamas esamos fizinės ir funkcinės būklės. Svarbu atkreipti dėmesį, kad pastatas yra fiziškai pažeistas: stogas yra nesandarus ir apgriuvęs. Valstybės įmonė Turto bankas neįsipareigoja nei nustatyti aktualios nekilnojamojo turto kadastro duomenų būklės, nei iškraustyti jame esančių daiktų.
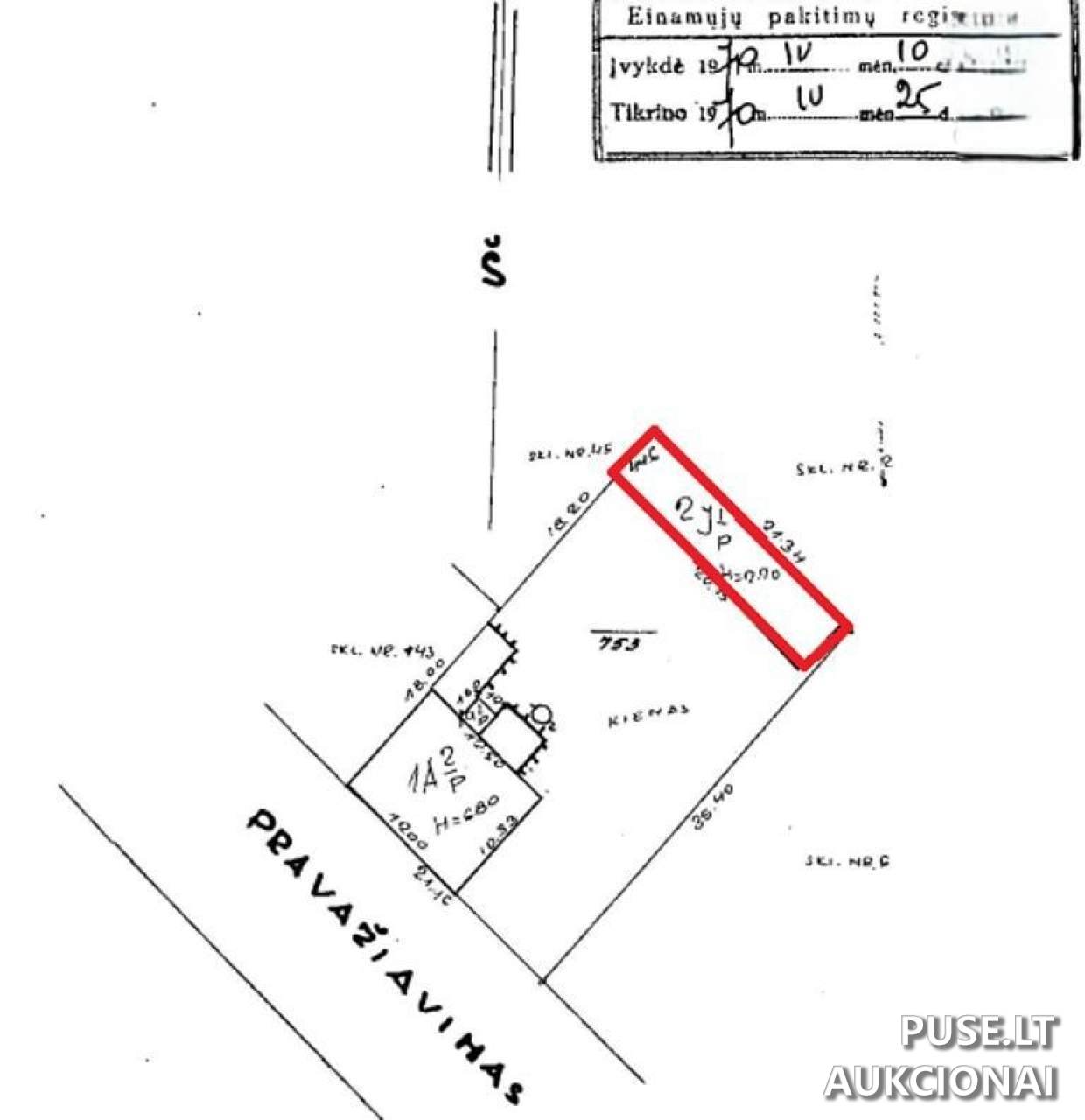
Ūkinis pastatas yra suformuotame ir įregistruotame sklype, kurio kadastro numeris 2901/0011:581. Kadangi pastatas yra pagalbinio ūkio naudojimo paskirties ir nėra savarankiškai funkcionuojantis, jis parduodamas be žemės sklypo dalies (ar nuomos teisės į ją). Naujasis savininkas, norėdamas užtikrinti patekimą į pastatą, turės spręsti žemės sklypo naudojimo klausimą, nustatydamas servitutą.
Ekonominė informacija: Privalomasis garantinis mokestis sudaro 1051 EUR, o registracijos mokestis yra 40 EUR. Aukcionas vyks 2026-04-20 (pradžia) iki 2026-04-21 13:59:59 (pabaiga). Registracija į aukcioną vyksta nuo 2026-04-13 iki 2026-04-15 23:59:59 valandos.
Objekto apžiūra organizuojama iki registracijos pradžios, griežtai iš anksto suderinus laiką.
Objektas parduodamas esamos fizinės ir funkcinės būklės. Svarbu atkreipti dėmesį, kad pastatas yra fiziškai pažeistas: stogas yra nesandarus ir apgriuvęs. Valstybės įmonė Turto bankas neįsipareigoja nei nustatyti aktualios nekilnojamojo turto kadastro duomenų būklės, nei iškraustyti jame esančių daiktų.
Ūkinis pastatas yra suformuotame ir įregistruotame sklype, kurio kadastro numeris 2901/0011:581. Kadangi pastatas yra pagalbinio ūkio naudojimo paskirties ir nėra savarankiškai funkcionuojantis, jis parduodamas be žemės sklypo dalies (ar nuomos teisės į ją). Naujasis savininkas, norėdamas užtikrinti patekimą į pastatą, turės spręsti žemės sklypo naudojimo klausimą, nustatydamas servitutą.
Ekonominė informacija: Privalomasis garantinis mokestis sudaro 1051 EUR, o registracijos mokestis yra 40 EUR. Aukcionas vyks 2026-04-20 (pradžia) iki 2026-04-21 13:59:59 (pabaiga). Registracija į aukcioną vyksta nuo 2026-04-13 iki 2026-04-15 23:59:59 valandos.
Objekto apžiūra organizuojama iki registracijos pradžios, griežtai iš anksto suderinus laiką.
📍 Objekto lokacija
📍 Šiaulių m. sav. Šiaulių m. Žemaitės g. 46C
❓ Dažnai užduodami klausimai
Kokia pradinė ūkinio pastato kaina Žemaitės g. 46C, Šiauliuose?
Pradinė pardavimo kaina yra 10510 EUR.
Kada baigiasi Turto banko aukcionas dėl šio nekilnojamojo turto?
Aukcionas baigiasi 2026-04-21 13:59:59 valandą.
Koks yra parduodamo ūkinio pastato užstatytas plotas?
Parduodamo ūkinio pastato užstatytas plotas yra 90 kvadratinių metrų.
Kokie papildomi mokesčiai reikalingi dalyvaujant aukcione?
Reikalingas 1051 EUR garantinis mokestis ir 40 EUR registracijos mokestis.
Ar parduodamas ūkinis pastatas su žemės sklypu?
Ne, ūkinis pastatas parduodamas be žemės sklypo dalies ar nuomos teisės. Naujasis savininkas turės spręsti sklypo naudojimo klausimą nustatydamas servitutą.
Kokia yra objekto pagrindinė būklė?
Ūkinis pastatas yra fiziškai pažeistas, turi nesandarų ir apgriuvusį stogą, ir parduodamas esamos būklės.
Kada galima teikti paraiškas dalyvauti aukcione?
Registracija į aukcioną vykdoma nuo 2026-04-13 00:00:00 iki 2026-04-15 23:59:59.