📝 Aprašymas
Išparduodama 1/5 dalis gyvenamojo namo bei priklausinių Mažeikių rajono savivaldybėje, Balėnų kaime, Sodų gatvėje 25. Tai puiki proga įsigyti dalį nekilnojamojo turto, kurio bendroji pradinė kaina aukcione siekia 3267 EUR. Aukcionas organizuojamas VĮ Turto bankas.
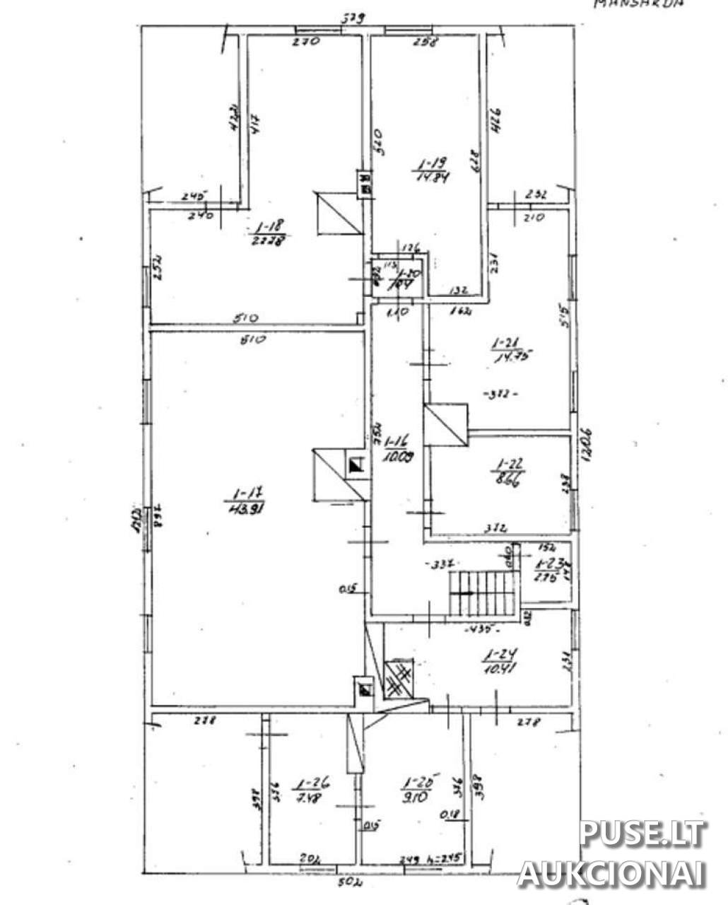
Parduodama dalis apima 1/5 dalį bendro gyvenamojo namo ploto, siekiančio 324.39 kv. m, unikalus Nr. 6192-2003-1013. Taip pat parduodama 1/5 dalis kitų priklausinių: daržinės (užstatytas plotas 112.00 kv. m, unikalus Nr. 6192-2003-1024), klėties (užstatytas plotas 69.00 kv. m, unikalus Nr. 6192-2003-1035) ir sandėlio (užstatytas plotas 384.00 kv. m, unikalus Nr. 6192-2003-1046). Parduodama ir 1/5 dalis kiemo statinių (2 stoginės, šulinys), unikalus Nr. 6192-2003-1057.
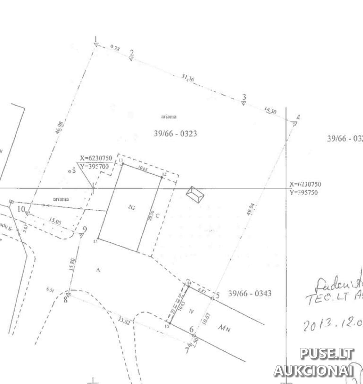
Investicija apima ir dalį žemės sklypo: 0,0622 ha dalis iš bendro 0,3109 ha žemės sklypo, unikalus Nr. 4400-2905-2768, esančio Mažeikių r. sav., Tirkšlių sen., Balėnų k., Sodų g. 25.
Svarbu žinoti, kad parduodama dalis yra bendrosios dalinės nuosavybės objektas. Bendraturčiai nėra sudarę susitarimų dėl naudojimosi bendros dalinės nuosavybės turtu tvarkos, taip pat nesudaryti susitarimai dėl žemės sklypo dalimis naudojimosi. Nekilnojamasis turtas parduodamas esamos fizinės ir funkcinės būklės, Valstybės įmonė Turto bankas neįsipareigoja iškraustyti jame esančių daiktų. Atkreipkite dėmesį, kad daržinė (unikalus Nr. 6192-2003-1024) ir sandėlis (unikalus Nr. 6192-2003-1046) yra sunykę.
Objekto apžiūra organizuojama iš anksto individualiai suderinus laiką su komercinės veiklos vadybininku iki registracijos pradžios.
Parduodama dalis apima 1/5 dalį bendro gyvenamojo namo ploto, siekiančio 324.39 kv. m, unikalus Nr. 6192-2003-1013. Taip pat parduodama 1/5 dalis kitų priklausinių: daržinės (užstatytas plotas 112.00 kv. m, unikalus Nr. 6192-2003-1024), klėties (užstatytas plotas 69.00 kv. m, unikalus Nr. 6192-2003-1035) ir sandėlio (užstatytas plotas 384.00 kv. m, unikalus Nr. 6192-2003-1046). Parduodama ir 1/5 dalis kiemo statinių (2 stoginės, šulinys), unikalus Nr. 6192-2003-1057.
Investicija apima ir dalį žemės sklypo: 0,0622 ha dalis iš bendro 0,3109 ha žemės sklypo, unikalus Nr. 4400-2905-2768, esančio Mažeikių r. sav., Tirkšlių sen., Balėnų k., Sodų g. 25.
Svarbu žinoti, kad parduodama dalis yra bendrosios dalinės nuosavybės objektas. Bendraturčiai nėra sudarę susitarimų dėl naudojimosi bendros dalinės nuosavybės turtu tvarkos, taip pat nesudaryti susitarimai dėl žemės sklypo dalimis naudojimosi. Nekilnojamasis turtas parduodamas esamos fizinės ir funkcinės būklės, Valstybės įmonė Turto bankas neįsipareigoja iškraustyti jame esančių daiktų. Atkreipkite dėmesį, kad daržinė (unikalus Nr. 6192-2003-1024) ir sandėlis (unikalus Nr. 6192-2003-1046) yra sunykę.
Objekto apžiūra organizuojama iš anksto individualiai suderinus laiką su komercinės veiklos vadybininku iki registracijos pradžios.
📍 Objekto lokacija
📍 Mažeikių r. sav. Balėnų k. Sodų g. 25
❓ Dažnai užduodami klausimai
Kokia nustatyta pradinė kaina už 1/5 nekilnojamojo turto dalį?
Pradinė kaina yra 3267 EUR.
Kada vyks pagrindinis aukcionas Mažeikių r. sav., Balėnų k. esančiam turtui?
Aukcionas prasideda 2026-05-11 09:00:00 ir baigiasi 2026-05-12 13:59:59.
Kokie yra papildomi mokesčiai dalyvaujant aukcione?
Privalomas garantinis mokestis yra 326 EUR, o registracijos mokestis - 10 EUR.
Kokie parduodami objektai ir koks jų plotas?
Parduodama 1/5 dalis gyvenamojo namo (324.39 kv. m), daržinės (112.00 kv. m), klėties (69.00 kv. m), sandėlio (384.00 kv. m), kiemo statinių bei 1/5 dalis 0,0622 ha žemės sklypo.
Kokia yra registracijos į aukcioną galutinė data?
Registracija baigiasi 2026-05-06 23:59:59.
Kokia yra svarbi sąlyga dėl parduodamo turto būklės?
Nekilnojamasis turtas parduodamas esamos fizinės ir funkcinės būklės, o Turto bankas neįsipareigoja iškraustyti jame esančių daiktų.
Ar sudaryta naudojimosi bendra daline nuosavybe tvarka?
Ne, bendraturčiai nėra sudarę susitarimų dėl naudojimosi bendros dalinės nuosavybės turtu tvarkos ar žemės sklypo dalimis tvarkos.