📝 Aprašymas
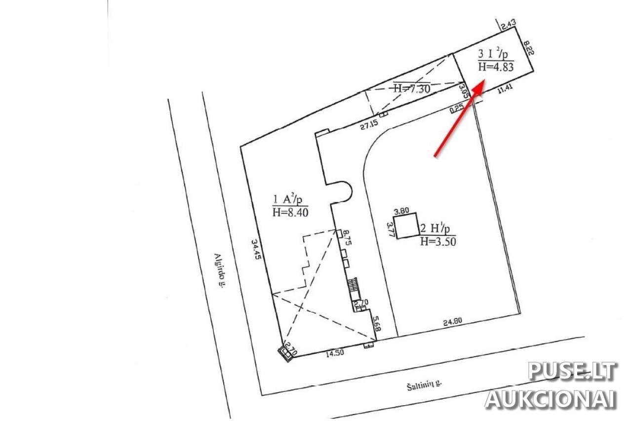
Parduodamas ūkio pastatas Vilniaus mieste, Algirdo g. 32, kurio pradinė kaina aukcione yra 126000 EUR. Tai yra pakartotinis aukcionas, suteikiantis galimybę įsigyti nekilnojamąjį turtą Vilniaus centre. Visas parduodamas objektas, nuosavybės dalis 1/1, turi unikalų kodą 4400-2476-0132.
Nekilnojamasis turtas parduodamas esamos fizinės ir funkcinės būklės. Svarbu atkreipti dėmesį, kad pardavėjas neįsipareigoja nustatyti aktualios nekilnojamojo turto kadastro duomenų būklės. Taip pat, pastate yra šalia esančių daugiabučių gyventojų daiktai, ir pardavėjas neįsipareigoja šių daiktų iškraustyti, kas reiškia, kad pirkėjas turės pasirūpinti esančių daiktų tvarkymu bei būklės nustatymu.
Aukcionas vyks 2026-04-14 09:00:00 iki 2026-04-15 13:59:59. Registracija į aukcioną vyksta nuo 2026-04-08 00:00:00 iki 2026-04-09 23:59:59. Objekto apžiūra organizuojama iki registracijos pradžios, susitarus individualiai.
Galimi finansiniai įsipareigojimai: Garantinis mokestis siekia 12600 EUR, o registracijos mokestis yra 100 EUR. Pirkimo-pardavimo sutartis su laimėtoju sudaroma per 30 kalendorinių dienų nuo aukciono pabaigos, o galutinis atsiskaitymas turi būti įvykdytas per 30 dienų nuo sutarties sudarymo. Nesumokėjus visos kainos laiku, garantinis įnašas negrąžinamas.
Aukcioną organizuoja Uždaroji akcinė bendrovė "Vilniaus vystymo kompanija" (įmonės kodas 120750163). Aukcione negali dalyvauti Bendrovės ir Vilniaus miesto savivaldybės darbuotojai ir su jais susiję artimi asmenys, pasirašius Deklaraciją apie interesų konfliktą.
Nekilnojamasis turtas parduodamas esamos fizinės ir funkcinės būklės. Svarbu atkreipti dėmesį, kad pardavėjas neįsipareigoja nustatyti aktualios nekilnojamojo turto kadastro duomenų būklės. Taip pat, pastate yra šalia esančių daugiabučių gyventojų daiktai, ir pardavėjas neįsipareigoja šių daiktų iškraustyti, kas reiškia, kad pirkėjas turės pasirūpinti esančių daiktų tvarkymu bei būklės nustatymu.
Aukcionas vyks 2026-04-14 09:00:00 iki 2026-04-15 13:59:59. Registracija į aukcioną vyksta nuo 2026-04-08 00:00:00 iki 2026-04-09 23:59:59. Objekto apžiūra organizuojama iki registracijos pradžios, susitarus individualiai.
Galimi finansiniai įsipareigojimai: Garantinis mokestis siekia 12600 EUR, o registracijos mokestis yra 100 EUR. Pirkimo-pardavimo sutartis su laimėtoju sudaroma per 30 kalendorinių dienų nuo aukciono pabaigos, o galutinis atsiskaitymas turi būti įvykdytas per 30 dienų nuo sutarties sudarymo. Nesumokėjus visos kainos laiku, garantinis įnašas negrąžinamas.
Aukcioną organizuoja Uždaroji akcinė bendrovė "Vilniaus vystymo kompanija" (įmonės kodas 120750163). Aukcione negali dalyvauti Bendrovės ir Vilniaus miesto savivaldybės darbuotojai ir su jais susiję artimi asmenys, pasirašius Deklaraciją apie interesų konfliktą.
📍 Objekto lokacija
📍 Vilniaus m. sav. Vilniaus m. Algirdo g. 32
❓ Dažnai užduodami klausimai
Kokia nekilnojamojo turto, ūkio pastato, pradinė kaina Vilniuje, Algirdo g. 32?
Pradinė nekilnojamojo turto kaina yra 126000 EUR.
Kada vyksta aukcionas dėl ūkio pastato Algirdo g. 32?
Aukcionas prasideda 2026-04-14 09:00:00 ir baigiasi 2026-04-15 13:59:59.
Kokie yra būtini mokesčiai dalyvaujant aukcione?
Būtinas mokėti garantinis mokestis yra 12600 EUR, o registracijos mokestis yra 100 EUR.
Kaip galima apžiūrėti parduodamą ūkio pastatą Vilniuje?
Apžiūra organizuojama iki registracijos į aukcioną pradžios, iš anksto individualiai suderinus laiką.
Kokia yra nekilnojamojo turto registracijos laiko pabaiga?
Registracija į aukcioną baigiasi 2026-04-09 23:59:59.
Kokiomis sąlygomis parduodamas turtas ir ar pardavėjas iškrausto esančius daiktus?
Turtas parduodamas esamos fizinės ir funkcinės būklės. Pardavėjas neįsipareigoja iškraustyti pastate esančių daiktų.