📝 Aprašymas
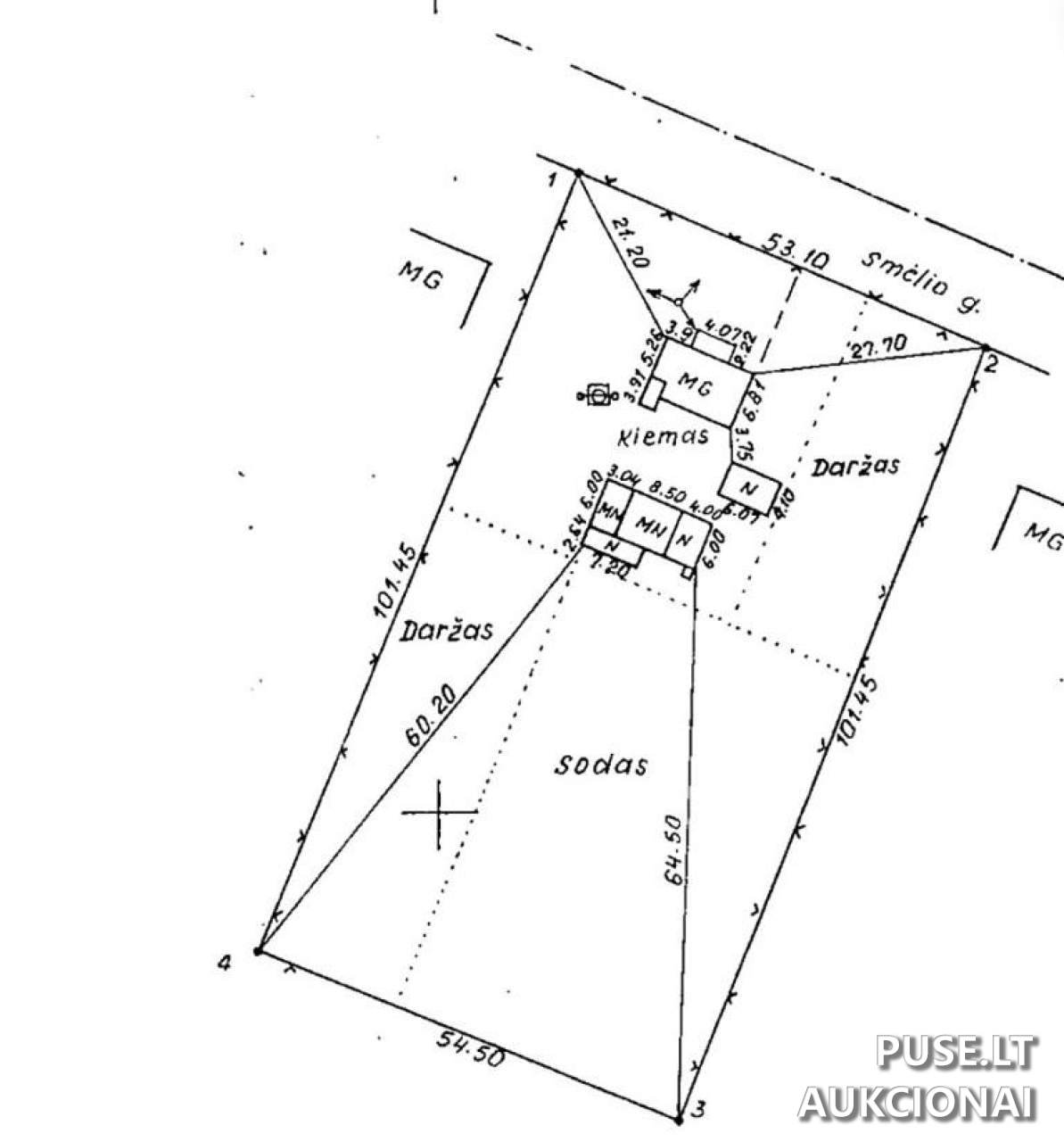
Parduodama 1/4 dalis gyvenamojo namo komplekso Virbalio miesto Laukų kaime, Vilkaviškio rajone, Smėlio gatvėje 4. Tai yra pakartotinis aukcionas, kurio pradinė kaina siekia 1882 EUR. Parduodamas turtas apima dalis pagrindiniame gyvenamajame pastate bei priklausinius su žemės sklypu. Bendras gyvenamojo namo plotas, kurio dalis parduodama, yra 71.94 kv. m. Parduodamos dalys taip pat apima 1/4 dalį viralinės (užstatytas plotas 112.00 kv. m, unikalus Nr. 3996-6020-3021), 1/4 dalį garažo (užstatytas plotas 25.00 kv. m, unikalus Nr. 3996-6020-3032) ir 1/4 dalį kitų inžinierinių statinių (šulinys, lauko tualetas, rūkykla, unikalus Nr. 3996-6020-3076). Parduodamas 0.13645 ha (iš 0.5458 ha) žemės sklypo, unikalus Nr. 4400-0467-6751, adresu Smėlio g. 4, Virbalio Miesto Laukų k., Vilkaviškio r. sav., Virbalio sen.
Svarbu atkreipti dėmesį į turto faktinę būklę. Garažas faktiškai sunykęs ir nebenaudojamas pagal registre nurodytą paskirtį; jo vietoje yra statinys, primenantis apkaltą lentelėmis mobilų namelį. Šie pakeitimai kadastre neužfiksuoti. Pardavėjas VĮ Turto bankas neįsipareigoja atnaujinti kadastro duomenų. Lauko tualetas neatitinka teisės aktų reikalavimų. Potencialus pirkėjas privalo įvertinti visas teisines ir ekonomines rizikas susijusias su turto pirkimu esamos fizinės ir funkcinės būklės, be pardavėjo garantijų dėl statybos aktų laikymosi ar duomenų atitikimo.
Nekilnojamasis turtas parduodamas esamos fizinės ir funkcinės būklės bei pagal esamus kadastro duomenis. Parduodama dalinė nuosavybė – 1/4. Bendraturčiai nėra sudarę susitarimų dėl bendros dalinės nuosavybės naudojimosi tvarkos. Taip pat, parduodamas butas faktiškai naudojamas trečiojo asmens, ir VĮ Turto bankas neįsipareigoja jo iškeldinti iki nuosavybės perleidimo momentu.
Aukciono registracija vyksta nuo 2026-05-18 iki 2026-05-20. Pats aukcionas vyks nuo 2026-05-25 09:00:00 iki 2026-05-26 13:59:59. Būtina sumokėti 188 EUR garantinį mokestį ir 10 EUR registracijos mokestį.
Svarbu atkreipti dėmesį į turto faktinę būklę. Garažas faktiškai sunykęs ir nebenaudojamas pagal registre nurodytą paskirtį; jo vietoje yra statinys, primenantis apkaltą lentelėmis mobilų namelį. Šie pakeitimai kadastre neužfiksuoti. Pardavėjas VĮ Turto bankas neįsipareigoja atnaujinti kadastro duomenų. Lauko tualetas neatitinka teisės aktų reikalavimų. Potencialus pirkėjas privalo įvertinti visas teisines ir ekonomines rizikas susijusias su turto pirkimu esamos fizinės ir funkcinės būklės, be pardavėjo garantijų dėl statybos aktų laikymosi ar duomenų atitikimo.
Nekilnojamasis turtas parduodamas esamos fizinės ir funkcinės būklės bei pagal esamus kadastro duomenis. Parduodama dalinė nuosavybė – 1/4. Bendraturčiai nėra sudarę susitarimų dėl bendros dalinės nuosavybės naudojimosi tvarkos. Taip pat, parduodamas butas faktiškai naudojamas trečiojo asmens, ir VĮ Turto bankas neįsipareigoja jo iškeldinti iki nuosavybės perleidimo momentu.
Aukciono registracija vyksta nuo 2026-05-18 iki 2026-05-20. Pats aukcionas vyks nuo 2026-05-25 09:00:00 iki 2026-05-26 13:59:59. Būtina sumokėti 188 EUR garantinį mokestį ir 10 EUR registracijos mokestį.
📍 Objekto lokacija
📍 Vilkaviškio r. sav. Virbalio Miesto Laukų k. Smėlio g. 4
❓ Dažnai užduodami klausimai
Kokia yra pradinė pardavimo kaina ir kokia turto dalis parduodama?
Parduodama 1/4 dalis gyvenamojo namo, viralinės, garažo ir inžinerinių statinių, bei 0.13645 ha žemės sklypo dalis. Pradinė kaina yra 1882 EUR.
Kada vyks aukcionas ir kada baigiasi registracija?
Aukcionas prasideda 2026-05-25 09:00:00 ir baigiasi 2026-05-26 13:59:59. Registracija baigiasi 2026-05-20 23:59:59.
Kokie papildomi mokesčiai taikomi dalyvaujant aukcione?
Reikalingas 188 EUR dydžio garantinis mokestis ir 10 EUR dydžio registracijos mokestis.
Kokia parduodamų statinių faktinė būklė, kurią pirkėjas privalo įvertinti?
Parduodamas turtas yra esamos būklės. Garažas yra faktiškai sunykęs ir vietoje jo yra statinys, primenantis mobilų namelį. Lauko tualetas neatitinka nustatytų reikalavimų. Pirkėjas prisiima rizikas dėl neatitikimų ir rekonstrukcijos klausimų.
Ar Turto bankas užtikrina, kad patalpos bus laisvos po pardavimo?
Ne. Parduodama dalinė nuosavybė faktiškai naudojama trečiojo asmens, ir VĮ Turto bankas neįsipareigoja iškeldinti šio asmens ar iškraustyti esančių daiktų iki nuosavybės perleidimo.
Koks yra parduodamo gyvenamojo namo bendras plotas, kurio dalis parduodama?
Parduodama 1/4 dalis gyvenamojo namo, kurio bendras plotas yra 71.94 kv. m.