📝 Aprašymas
Parduodamas gyvenamasis namas ir ūkiniai pastatai su 0.2117 ha žemės sklypu Pakruojo rajono savivaldybėje, Grikpėdžių kaimo Senojoje gatvėje 13. Šis nekilnojamojo turto objektas parduodamas pakartotiniame Turto banko aukcione, pradinė kaina siekia 1397 EUR. Objekto pardavimas apima 1/1 visą nuosavybės dalį.
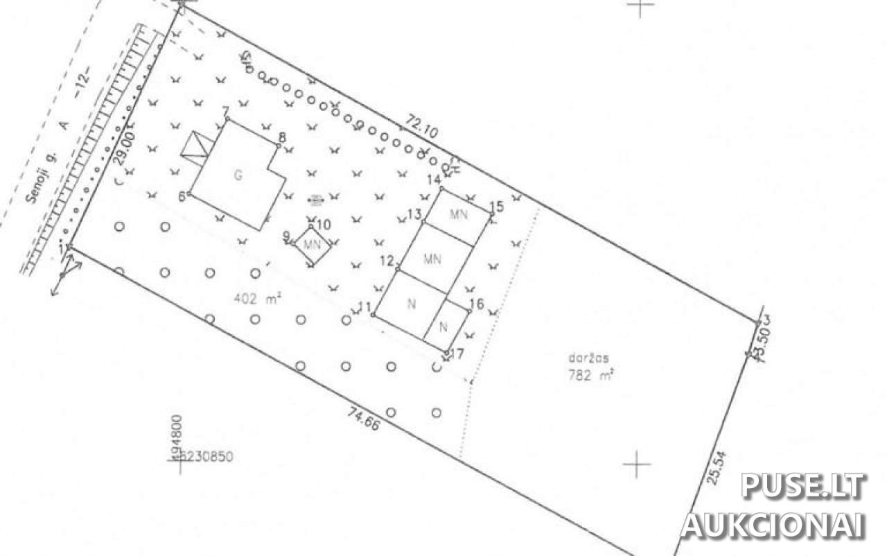
Prie gyvenamojo namo (Unikalus Nr. 6596-7014-7011, bendras plotas 0.00 kv. m) priskiriami kiti statiniai: lauko tualetas (Unikalus Nr. 4400-6085-1058), šulinys (Unikalus Nr. 4400-6085-1069). Taip pat parduodami ūkiniai pastatai: viralinė (užstatytas plotas 25.00 kv. m, Unikalus Nr. 6596-7014-7022), tvartas (užstatytas plotas 35.00 kv. m, Unikalus Nr. 6596-7014-7033), daržinė (užstatytas plotas 29.00 kv. m, Unikalus Nr. 6596-7014-7044), malkinė (užstatytas plotas 15.00 kv. m, Unikalus Nr. 6596-7014-7055) ir pirtis (užstatytas plotas 8 kv. m, Unikalus Nr. 6596-7014-7077).
Prie šių statinių priklauso 0.2117 ha žemės sklypas (Unikalus Nr. 6518-0001-0014), esantis toje pačioje vietoje - Pakruojo r. sav., Žeimelio sen., Grikpėdžių k., Senoji g. 13.
Svarbios pardavimo sąlygos: Nekilnojamasis turtas parduodamas esamos faktinės būklės, remiantis neatnaujintais kadastro duomenimis. VĮ Turto bankas neįsipareigoja nustatyti aktualios būklės ar iškraustyti esamų daiktų. Lauko tualetas neatitinka taikomų teisės aktų reikalavimų. Potencialus pirkėjas privalo savarankiškai ištirti visas su šio statinio pirkimu susijusias teisines ir ekonomines rizikas, įskaitant galimus kaštus dėl įrengimo ar griovimo, bei tai, kad Turto bankas neatsako už jokius nuostolius dėl statinio trūkumų ar netinkamumo naudoti.
Jei parduodamas žemės ūkio paskirties sklypas, Aukciono laimėtojas, vadovaudamasis Lietuvos Respublikos žemės ūkio paskirties žemės įsigijimo įstatymo 3 straipsnio 3 dalimi, turės pateikti Nacionalinės žemės tarnybos sutikimą. Pirkėjas turi pasidomėti sutarties projektais prieš aukcioną.
Būtina sumokėti 10 EUR registracijos mokestį ir 139 EUR garantinį mokestį nedelsiant, siekiant užtikrinti dalyvavimą aukcione, kuris vyksta nuo 2026-05-11 09:00:00 iki 2026-05-12 13:59:59.
Prie gyvenamojo namo (Unikalus Nr. 6596-7014-7011, bendras plotas 0.00 kv. m) priskiriami kiti statiniai: lauko tualetas (Unikalus Nr. 4400-6085-1058), šulinys (Unikalus Nr. 4400-6085-1069). Taip pat parduodami ūkiniai pastatai: viralinė (užstatytas plotas 25.00 kv. m, Unikalus Nr. 6596-7014-7022), tvartas (užstatytas plotas 35.00 kv. m, Unikalus Nr. 6596-7014-7033), daržinė (užstatytas plotas 29.00 kv. m, Unikalus Nr. 6596-7014-7044), malkinė (užstatytas plotas 15.00 kv. m, Unikalus Nr. 6596-7014-7055) ir pirtis (užstatytas plotas 8 kv. m, Unikalus Nr. 6596-7014-7077).
Prie šių statinių priklauso 0.2117 ha žemės sklypas (Unikalus Nr. 6518-0001-0014), esantis toje pačioje vietoje - Pakruojo r. sav., Žeimelio sen., Grikpėdžių k., Senoji g. 13.
Svarbios pardavimo sąlygos: Nekilnojamasis turtas parduodamas esamos faktinės būklės, remiantis neatnaujintais kadastro duomenimis. VĮ Turto bankas neįsipareigoja nustatyti aktualios būklės ar iškraustyti esamų daiktų. Lauko tualetas neatitinka taikomų teisės aktų reikalavimų. Potencialus pirkėjas privalo savarankiškai ištirti visas su šio statinio pirkimu susijusias teisines ir ekonomines rizikas, įskaitant galimus kaštus dėl įrengimo ar griovimo, bei tai, kad Turto bankas neatsako už jokius nuostolius dėl statinio trūkumų ar netinkamumo naudoti.
Jei parduodamas žemės ūkio paskirties sklypas, Aukciono laimėtojas, vadovaudamasis Lietuvos Respublikos žemės ūkio paskirties žemės įsigijimo įstatymo 3 straipsnio 3 dalimi, turės pateikti Nacionalinės žemės tarnybos sutikimą. Pirkėjas turi pasidomėti sutarties projektais prieš aukcioną.
Būtina sumokėti 10 EUR registracijos mokestį ir 139 EUR garantinį mokestį nedelsiant, siekiant užtikrinti dalyvavimą aukcione, kuris vyksta nuo 2026-05-11 09:00:00 iki 2026-05-12 13:59:59.
📍 Objekto lokacija
📍 Pakruojo r. sav. Grikpėdžių k. Senoji g. 13
❓ Dažnai užduodami klausimai
Kokia nekilnojamojo turto aukciono registracija ir kada jis vyks?
Registracija aukcionui prasideda 2026-05-04 00:00:00 ir baigiasi 2026-05-06 23:59:59. Pats aukcionas vyks nuo 2026-05-11 09:00:00 iki 2026-05-12 13:59:59.
Kokia yra gyvenamojo namo ir priklausinių pradinė kaina?
Pradinė kaina aukcione yra 1397 EUR.
Kokie papildomi mokesčiai yra nustatyti dalyvaujant aukcione?
Privalomas 10 EUR registracijos mokestis ir 139 EUR garantinis mokestis.
Koks bendras parduodamas plotas ir kokie papildomi statiniai yra priskiriami objektui?
Parduodamas 0.2117 ha žemės sklypas su gyvenamuoju namu, viraline (25 kv. m), tvartu (35 kv. m), daržine (29 kv. m), malkine (15 kv. m), pirtimi (8 kv. m), lauko tualetu ir šuliniu.
Kokie yra pagrindiniai apribojimai ar sąlygos, susijusios su turto būkle?
Nekilnojamasis turtas parduodamas esamos faktinės būklės pagal neatnaujintus kadastro duomenis. VĮ Turto bankas neįsipareigoja atlikti jokių tvarkymo darbų ar iškraustyti esamų daiktų. Lauko tualetas neatitinka teisės aktų reikalavimų.
Ar reikia specialaus leidimo įsigyti šį žemės sklypą?
Jei sklypas yra žemės ūkio paskirties, Aukciono laimėtojas privalės pateikti Nacionalinės žemės tarnybos išduotą sutikimą prieš sudarant pardavimo sutartį.
Koks yra parduodamo objekto adresas ir unikalus numeris?
Adresas: Pakruojo r. sav. Grikpėdžių k. Senoji g. 13. Nekilnojamojo daikto unikalus numeris yra 6596-7014-7011.