📝 Aprašymas
Pakartotinis savivaldybės aukcionas parduoda nekilnojamojo turto kompleksą Joniškio rajone, Maželių kaime, Lauko gatvėje 2. Pradinė kaina – 4119 EUR. Nuosavybės teisė parduodama 1/1 dalimi.
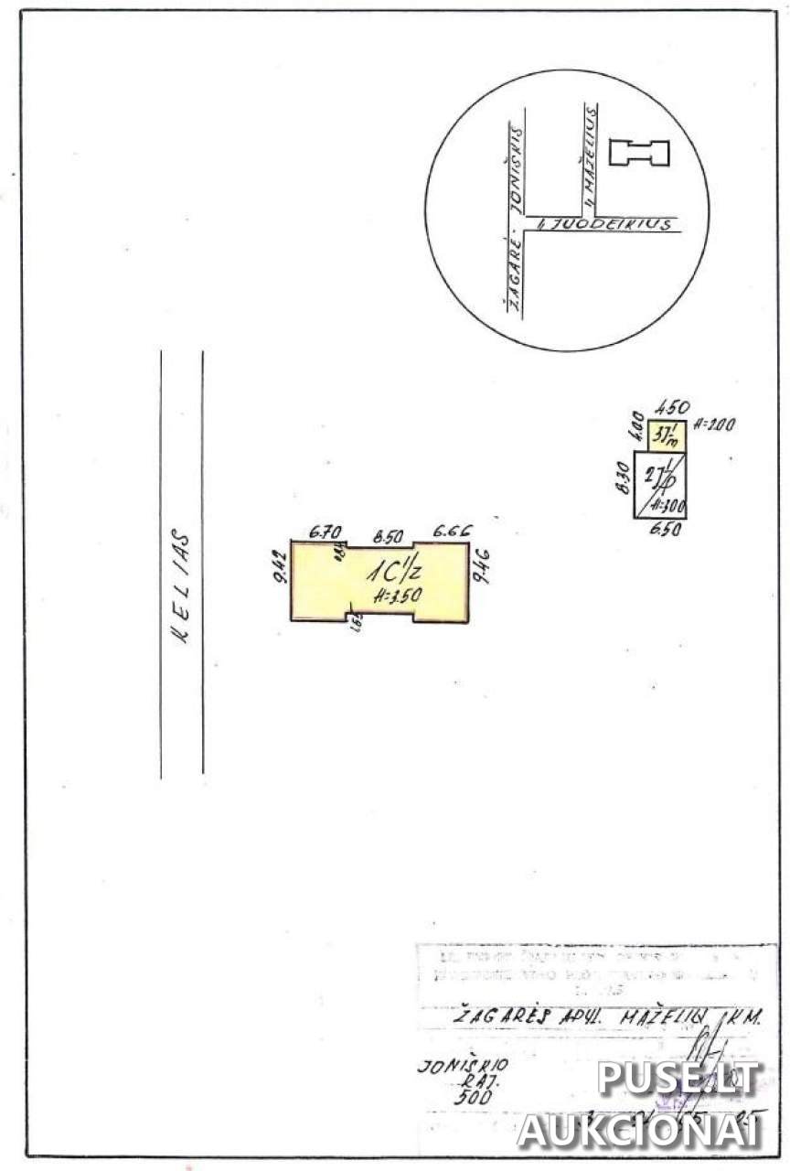
Objektą sudaro trys pastatai: pagrindinė Mokykla (unikalus Nr. 4796-5002-4013) su bendru plotu 156,33 kv. m ir inventoriniu Nr. IT-PARD-000030; ūkinis pastatas (unikalus Nr. 4796-5002-4024) su užstatytu plotu 54,00 kv. m; bei malkinė (unikalus Nr. 4796-5002-4035) su užstatytu plotu 18,00 kv. m. Svarbu atkreipti dėmesį, kad žemės sklypas, ant kurio šie pastatai yra, šiuo metu nėra suformuotas.
Šis turtas Joniškio rajono savivaldybės aukcione siūlomas viešajame pardavime. Garantinis mokestis, kurį privaloma sumokėti dalyvaujant, siekia 412 EUR, papildomas registracijos mokestis – 20 EUR.
Aukcionas prasideda 2026-05-25 09:00:00 ir baigiasi 2026-05-26 13:59:59. Registracija vyksta nuo 2026-05-13 00:00:00 iki 2026-05-15 23:59:59.
Aukciono laimėtojo laukia griežti apmokėjimo terminai: pirkimo-pardavimo sutartis sudaroma per 30 kalendorinių dienų nuo aukciono vykdymo dienos, o visa kaina turi būti sumokėta ne vėliau kaip per 10 dienų po sutarties pasirašymo. Visas sutarties sudarymo išlaidas, įskaitant notaro atlyginimą, apmoka aukciono laimėtojas.
Objektą sudaro trys pastatai: pagrindinė Mokykla (unikalus Nr. 4796-5002-4013) su bendru plotu 156,33 kv. m ir inventoriniu Nr. IT-PARD-000030; ūkinis pastatas (unikalus Nr. 4796-5002-4024) su užstatytu plotu 54,00 kv. m; bei malkinė (unikalus Nr. 4796-5002-4035) su užstatytu plotu 18,00 kv. m. Svarbu atkreipti dėmesį, kad žemės sklypas, ant kurio šie pastatai yra, šiuo metu nėra suformuotas.
Šis turtas Joniškio rajono savivaldybės aukcione siūlomas viešajame pardavime. Garantinis mokestis, kurį privaloma sumokėti dalyvaujant, siekia 412 EUR, papildomas registracijos mokestis – 20 EUR.
Aukcionas prasideda 2026-05-25 09:00:00 ir baigiasi 2026-05-26 13:59:59. Registracija vyksta nuo 2026-05-13 00:00:00 iki 2026-05-15 23:59:59.
Aukciono laimėtojo laukia griežti apmokėjimo terminai: pirkimo-pardavimo sutartis sudaroma per 30 kalendorinių dienų nuo aukciono vykdymo dienos, o visa kaina turi būti sumokėta ne vėliau kaip per 10 dienų po sutarties pasirašymo. Visas sutarties sudarymo išlaidas, įskaitant notaro atlyginimą, apmoka aukciono laimėtojas.
📍 Objekto lokacija
📍 Joniškio r. sav. Maželių k. Lauko g. 2
❓ Dažnai užduodami klausimai
Kokia nekilnojamojo turto komplekso pradinė kaina aukcione?
Pradinė kaina yra 4119 EUR.
Kada prasideda ir baigiasi aukcionas šiam objektui Joniškio rajone?
Aukcionas prasideda 2026-05-25 09:00:00 ir baigiasi 2026-05-26 13:59:59.
Kokie pagrindiniai pastatai yra parduodami Maželių kaime, Lauko g. 2?
Parduodama mokykla (156,33 kv. m), ūkinis pastatas (54,00 kv. m užstatytas plotas) ir malkinė (18,00 kv. m užstatytas plotas).
Kokia yra registracijos į aukcioną data ir kokie privalomi mokesčiai?
Registracija baigiasi 2026-05-15 23:59:59. Privalomas Garantinis mokestis yra 412 EUR, o Registracijos mokestis – 20 EUR.
Ar įsigyjant šį turtą priskiriamas suformuotas žemės sklypas?
Pateiktoje informacijoje nurodyta, kad žemės sklypas šiuo metu nėra suformuotas.
Kokie yra apmokėjimo terminai po aukciono laimėjimo?
Pirkimo-pardavimo sutartis turi būti sudaryta per 30 kalendorinių dienų, o visa kaina sumokėta ne vėliau kaip per 10 dienų po sutarties pasirašymo.
Koks yra parduodamo nekilnojamojo turto unikalus numeris(iai)?
Pagrindinės mokyklos unikalus numeris yra 4796-5002-4013.