LT EN RU UA

Žemės ūkio paskirties sklypas Kazlų Rūdos sav., Gulioniškės k., 2.87 ha, pradinė kaina 9840 EUR

📝 Aprašymas

★★★★★ ★★★★★ 3.5
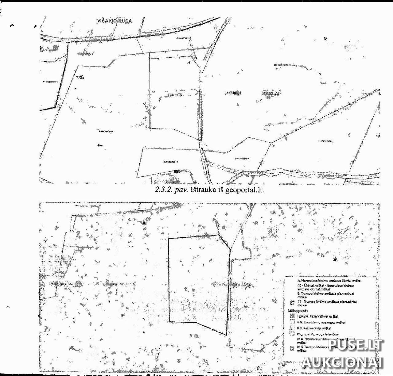
Parduodamas 2,8700 hektaro žemės ūkio paskirties žemės sklypas Kazlų Rūdos savivaldybėje, Gulioniškės kaimo teritorijoje. Šis unikalus pardavimo objektas siūlomas antstolių varžytynių tvarka su pradine kaina 9840 EUR. Sklypas yra 1/1 dalis viso turto, kas suteikia pilną nuosavybės teisę jį įsigijus. Būklė yra kaip numatyta pardavimo dokumentuose, tinkamas žemės ūkio veiklai. Registracijos ir aukciono terminai yra griežtai apibrėžti šiuo laikotarpiu. Varžytynių laimėtojas turi atkreipti dėmesį į tai, kad kadangi tai yra žemės ūkio paskirties žemė, dalyvauti aukcione ir įsigyti turtą gali tik asmenys, atitinkantys teisės aktuose nustatytus reikalavimus ir privalantys pateikti tai patvirtinančius dokumentus antstoliui. Turto registracijos duomenys patvirtinti: Kadastro numeris 5144/0001:38, Unikalus numeris 4400-0649-1189. Turtas šiuo metu yra areštuotas.

📍 Objekto lokacija

📍 Kazlų Rūdos sav. Gulioniškės k.

❓ Dažnai užduodami klausimai

Kokia yra pradinė šio 2.87 ha žemės sklypo kaina Kazlų Rūdos savivaldybėje?
Žemės sklypo pradinė kaina aukcione yra 9840 EUR.
Kada baigiasi antstolių varžytynės šiam objektui?
Aukcionas baigiasi 2026-05-28 12:11:59.
Koks yra žemės sklypo plotas ir paskirtis?
Parduodamas 2,8700 ha žemės ūkio paskirties žemės sklypas.
Kuri institucija vykdo turto pardavimą areštuoto turto aukcione?
Varžytynes vykdo Antstolis Darius Jonaitis, atstovaujamas Antstolio Dariaus Jonaičio kontoros.
Ar galiu dalyvauti aukcione be specialių leidimų, jei tai žemės ūkio paskirties žemė?
Ne, jei varžytynėse parduodama žemės ūkio paskirties žemė, dalyvauti gali tik asmenys, kurie teisės aktuose nustatytus reikalavimus atitinka ar turi reikiamus leidimus, ir privalės tai patvirtinti dokumentais.
Kokie yra turto identifikaciniai numeriai?
Kadastro numeris 5144/0001:38, Unikalus numeris 4400-0649-1189.

⏱ Aukciono laikas

Aukcionas vyksta

Aukcionas

Iki: 2026-05-28 12:11:59
Liko: 29 dienų

🏠 Objekto informacija

📍 Adresas
Kazlų Rūdos sav. Gulioniškės k.
Tipas
Pirmosios
Potipis
Sklypai
Kadastrinis Nr.
5144/0001:38
⚠️ Apribojimai
Turto areštas
Objekto ID: 418622
💰 Pradinė kaina
9840.00 €
Dalyvauti aukcione
🔑 Raktažodžiai
žemės sklypas aukcionas žemės ūkio sklypas Kazlų Rūda parduoda areštuotą turtą žemės sklypas 2 87 ha antstolių varžytynės sklypai