📝 Aprašymas
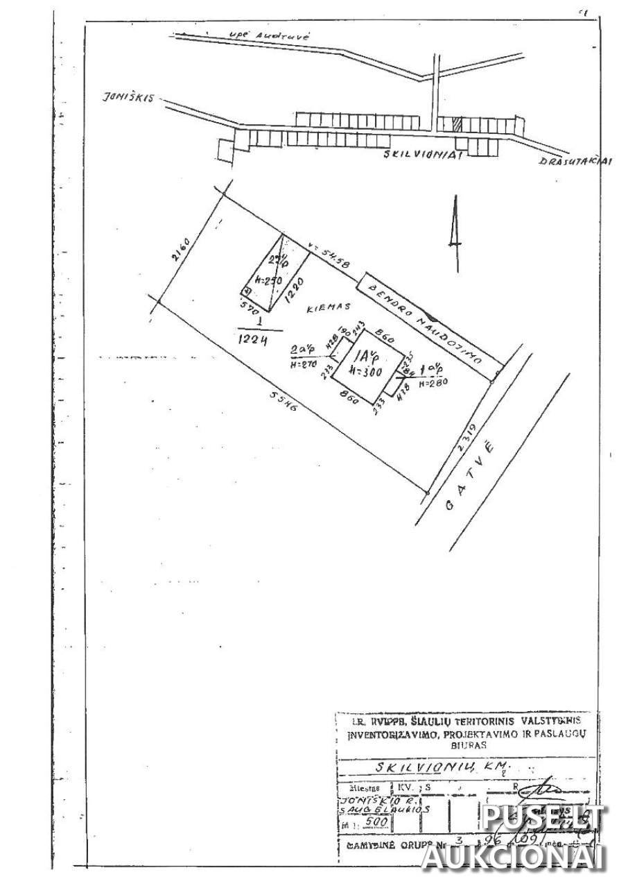
Antstolių varžytynėse parduodamas 0.1244 ha ploto žemės sklypas, esantis Joniškio rajono savivaldybėje, Skilvionių kaime, Vienybės gatvėje 32. Tai yra antrojo tipo sklypai, kurių pagrindinė naudojimo paskirtis yra Kita, o žemės sklypo naudojimo būdas priskiriamas vienbučių ir dvibučių gyvenamųjų pastatų teritorijoms. Šis objektas turi didelį potencialą plėtrai, nes yra priskiriamas gyvenamosios paskirties zonai.
Sklypo bendrasis plotas yra 0.1244 ha. Iš jų, žemės ūkio naudmenų dalis sudaro 0.0500 ha, įskaitant 0.0400 ha ariamos žemės ir 0.0100 ha sodų. Kita dalis, užstatyta teritorija, siekia 0.0744 ha. Žemės ūkio naudmenų našumo balas yra 50.2, kas nurodo vidutinę žemės kokybę šiai daliai.
Šio nekilnojamojo turto pradinė kaina aukcione yra 3840 EUR. Antstolių varžytynės vyksta laikinai, todėl siūloma atkreipti dėmesį į nustatytus terminus. Aukcionas prasideda 2026-04-30 09:23:59 ir baigiasi 2026-06-01 09:23:59.
Visas parduodamas turtas - 1/1 dalis. Prieš aukcioną taikomas disponavimo teisės apribojimas - turto areštas. Dėl detalesnės informacijos ir apžiūros sąlygų reikia kreiptis į atsakingą kontorą, nurodytą organizatorių skiltyje. Juridiniu požiūriu, šiuo metu objektas yra susijęs su privačiu asmeniu.
Sklypo bendrasis plotas yra 0.1244 ha. Iš jų, žemės ūkio naudmenų dalis sudaro 0.0500 ha, įskaitant 0.0400 ha ariamos žemės ir 0.0100 ha sodų. Kita dalis, užstatyta teritorija, siekia 0.0744 ha. Žemės ūkio naudmenų našumo balas yra 50.2, kas nurodo vidutinę žemės kokybę šiai daliai.
Šio nekilnojamojo turto pradinė kaina aukcione yra 3840 EUR. Antstolių varžytynės vyksta laikinai, todėl siūloma atkreipti dėmesį į nustatytus terminus. Aukcionas prasideda 2026-04-30 09:23:59 ir baigiasi 2026-06-01 09:23:59.
Visas parduodamas turtas - 1/1 dalis. Prieš aukcioną taikomas disponavimo teisės apribojimas - turto areštas. Dėl detalesnės informacijos ir apžiūros sąlygų reikia kreiptis į atsakingą kontorą, nurodytą organizatorių skiltyje. Juridiniu požiūriu, šiuo metu objektas yra susijęs su privačiu asmeniu.
📍 Objekto lokacija
📍 Joniškio r. sav. Skilvionių k. Vienybės g. 32
❓ Dažnai užduodami klausimai
Kokia yra pradinė žemės sklypo kaina Joniškio r. Skilvionių k. Vienybės g. 32?
Žemės sklypo pradinė kaina aukcione yra 3840 EUR.
Kada vyksta šios antstolių varžytynės?
Aukcionas prasideda 2026-04-30 09:23:59 ir baigiasi 2026-06-01 09:23:59.
Koks yra parduodamo žemės sklypo plotas Joniškio rajone?
Žemės sklypo plotas yra 0.1244 ha.
Kokia yra pagrindinė žemės sklypo naudojimo paskirtis?
Daikto pagrindinė naudojimo paskirtis yra Kita, o naudojimo būdas – Vienbučių ir dvibučių gyvenamųjų pastatų teritorijos.
Kokie juridiniai suvaržymai yra taikomi šiam sklypui?
Šiuo metu taikomas disponavimo teisės apribojimas, t.y., turto areštas.
Kokios yra sklypo žemės ūkio naudmenų charakteristikos?
Žemės ūkio naudmenų plotas yra 0.0500 ha (0.0400 ha ariamos žemės ir 0.0100 ha sodų), o našumo balas - 50.2.