📝 Aprašymas
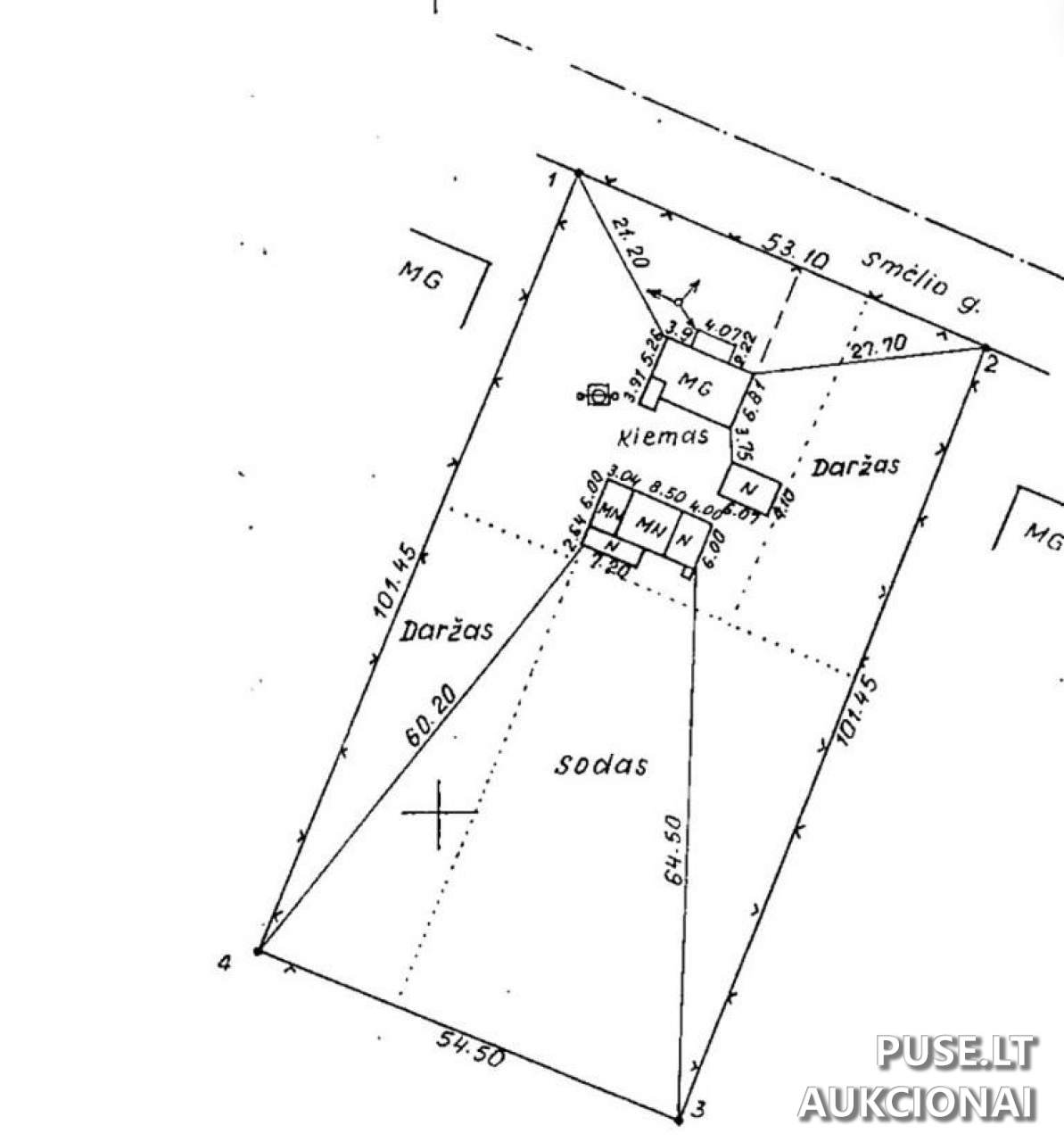
Parduodama 1/4 dalis gyvenamojo namo su priklausiniais ir žemės sklypu Vilkaviškio rajono savivaldybėje, Virbalio seniūnijoje, Virbalio Miesto Laukų kaime, Smėlio g. 4. Tai investavimo galimybė į dalinį nekilnojamąjį turtą su žemės sklypu. Parduodama 1/4 dalis gyvenamojo namo, kurio bendras naudingas plotas yra 71.94 kv. m, unikalus Nr. 3996-6020-3010. Taip pat parduodamos dalys kituose statiniuose: 1/4 dalis viralinės, užstatytas plotas 112.00 kv. m (unik. Nr. 3996-6020-3021); 1/4 dalis garažo, užstatytas plotas 25.00 kv. m (unik. Nr. 3996-6020-3032); ir 1/4 dalis kitų inžinerinių statinių (šulinys, lauko tualetas, rūkykla), unik. Nr. 3996-6020-3076. Parduodama 0.13645 ha (iš viso 0.5458 ha) žemės sklypo dalis, unik. Nr. 4400-0467-6751.
Svarbu atkreipti dėmesį į turto faktinę būklę. Parduodama dalis yra esamos fizinės ir funkcinės būklės, registruota kadastro duomenimis. Konkrečiai garažas faktiškai yra sunykęs ir nebenaudojamas pagal paskirtį, o objekto vietoje matomas statinys, primenantis apkaltą lentelėmis mobilų namelį. Šie pakeitimai nėra užfiksuoti Nekilnojamojo turto kadastre. VĮ Turto bankas neįsipareigoja nustatyti aktualios kadastro būklės ar ją registruoti. Potencialus pirkėjas privalo įvertinti visas teisines ir ekonomines rizikas, susijusias su šiuo neatitikimu, ir jam rekomenduojama apžiūrėti objektą vietoje ir pasidomėti galimais įrengimo ar nugriovimo kaštais. Lauko tualetas neatitinka reikalavimų, ir VĮ Turto bankas neatsako už statinio trūkumus ar neatitikimą teisės aktams.
Šiuo metu nėra sudaryta bendraturčių susitarimo dėl bendros dalinės nuosavybės tvarkos. Pradinė pardavimo kaina yra 3840 EUR. Aukcionas vyks 2025-10-27 09:00:00 iki 2025-10-28 13:59:59, o registracija baigiasi 2025-10-22 23:59:59. Garantinis mokestis sudaro 384 EUR, registracijos mokestis – 10 EUR.
Svarbu atkreipti dėmesį į turto faktinę būklę. Parduodama dalis yra esamos fizinės ir funkcinės būklės, registruota kadastro duomenimis. Konkrečiai garažas faktiškai yra sunykęs ir nebenaudojamas pagal paskirtį, o objekto vietoje matomas statinys, primenantis apkaltą lentelėmis mobilų namelį. Šie pakeitimai nėra užfiksuoti Nekilnojamojo turto kadastre. VĮ Turto bankas neįsipareigoja nustatyti aktualios kadastro būklės ar ją registruoti. Potencialus pirkėjas privalo įvertinti visas teisines ir ekonomines rizikas, susijusias su šiuo neatitikimu, ir jam rekomenduojama apžiūrėti objektą vietoje ir pasidomėti galimais įrengimo ar nugriovimo kaštais. Lauko tualetas neatitinka reikalavimų, ir VĮ Turto bankas neatsako už statinio trūkumus ar neatitikimą teisės aktams.
Šiuo metu nėra sudaryta bendraturčių susitarimo dėl bendros dalinės nuosavybės tvarkos. Pradinė pardavimo kaina yra 3840 EUR. Aukcionas vyks 2025-10-27 09:00:00 iki 2025-10-28 13:59:59, o registracija baigiasi 2025-10-22 23:59:59. Garantinis mokestis sudaro 384 EUR, registracijos mokestis – 10 EUR.
📍 Objekto lokacija
📍 Vilkaviškio r. sav. Virbalio Miesto Laukų k. Smėlio g. 4
❓ Dažnai užduodami klausimai
Kokia yra parduodamo objekto dalis ir pradinė kaina?
Parduodama 1/4 dalis gyvenamojo namo ir kitų priklausinių. Pradinė kaina yra 3840 EUR.
Kada vyks nekilnojamojo turto aukcionas?
Aukcionas prasidės 2025-10-27 09:00:00 ir baigsis 2025-10-28 13:59:59.
Koks yra nekilnojamojo turto adresas?
Adresas: Vilkaviškio r. sav., Virbalio Miesto Laukų k., Smėlio g. 4.
Kokie yra papildomi mokesčiai dalyvaujant aukcione?
Garantinis mokestis yra 384 EUR, o registracijos mokestis – 10 EUR.
Kokios yra nurodytos problemos su garažu ir lauko tualetu parduodamiems daliniams dalims?
Garažas faktiškai yra sunykęs ir vietoje yra statinys, primenantis mobilų namelį, kas neatitinka kadastro duomenų. Lauko tualetas neatitinka teisės aktų reikalavimų. Pirkėjas prisiima rizikas dėl šių trūkumų.
Iki kada reikia spėti užsiregistruoti į aukcioną?
Registracija į aukcioną baigiasi 2025-10-22 23:59:59.
Ar yra sudarytas susitarimas dėl bendros dalinės nuosavybės naudojimosi tvarkos?
Bendraturčiai nėra sudarę susitarimų dėl naudojimosi bendros dalinės nuosavybės turtu tvarkos.