📝 Aprašymas
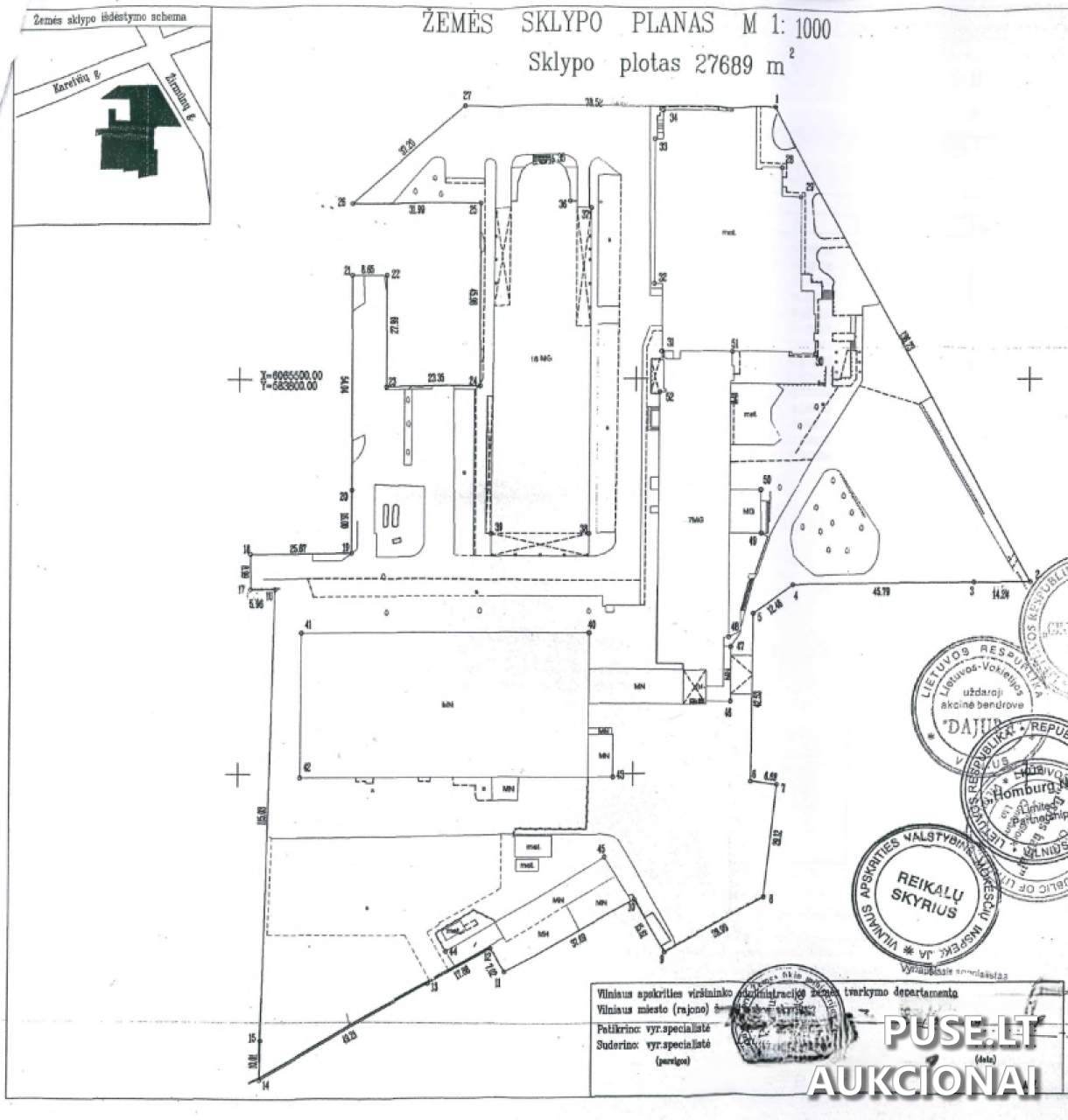
Parduodamos 1/1 dalies administracinės negyvenamosios patalpos Vilniaus mieste, esančios Žirmūnų g. 70. Ši itin didelė 468,26 kvadratinio metro patalpų erdvė yra aukcione, kurio pradinė kaina nustatyta 419000 EUR. Prie patalpų taip pat parduodama 0,0921 ha dydžio dalis iš bendro 2,7689 ha ploto žemės sklypo, pažymėto unikaliu Nr. 0101-0023-0091.
Objektui taikomas servitutas – teisė tiesti, aptarnauti ir naudoti požemines bei antžemines komunikacijas (viso 0,0119 ha ploto). Registro pastabose nurodoma, kad nuomininkas privalo leisti pakloti per sklypą bendro naudojimo inžinerinius tinklus bei užtikrinti transformatorinės pastotės eksploatavimą ir privažiavimą prie jos bet kuriuo paros metu. Sklypo dalijimas galimas tik parengus atitinkamą teritorijos funkcinio keitimo, zonavimo ir sutvarkymo projektą, bei privaloma laikytis 1998-04-16 sutarties „Dėl bendro žemės sklypo naudojimo“ sąlygų.
Svarbu atkreipti dėmesį, kad parduodamo turto savininkas ir bendraturčiai nėra sudarę jokių susitarimų dėl žemės sklypo naudojimosi sąlygų. Patekimas į patalpas šiuo metu vyksta per trečiųjų asmenų patalpas, nes nėra pasirašyta jokių naudojimosi susitarimų. Naujas savininkas privalės savo lėšomis įrengti patekimą į patalpas arba pasirašyti nuomos/naudojimo sutartis su trečiosiomis šalimis.
Patalpos parduodamos esamos fizinės ir funkcinės būklės, remiantis esamais kadastro duomenimis. Valdžios institucijos neįsipareigoja atlikti kadastro duomenų atnaujinimo. Taip pat, komunalinės paslaugos teikiamos pagal 2008-09-01 sutartį dėl išlaidų pasidalijimo tarp pastato naudotojų, kurią galima nutraukti arba pakeisti. Šiuo metu objektas naudojamas valstybės institucijos veiklai.
Aukciono laimėtojas (pirkėjas) privalo ne vėliau kaip per 5 darbo dienas nuo nuosavybės teisės perėjimo momento sudaryti nuomos sutartį su VšĮ Lietuvos prabavimo rūmais pagal patvirtintą projekto, susijusio su subnuoma, sąlygas.
Aukciono dalyviai turi privalumą apžiūrėti turtą asmeniškai iki registracijos pradžios, iš anksto suderinus laiką. Potencialiems pirkėjams rekomenduojama išnagrinėti visas su tokios būklės objekto pirkimu susijusias teisines bei ekonomines rizikas.
Objektui taikomas servitutas – teisė tiesti, aptarnauti ir naudoti požemines bei antžemines komunikacijas (viso 0,0119 ha ploto). Registro pastabose nurodoma, kad nuomininkas privalo leisti pakloti per sklypą bendro naudojimo inžinerinius tinklus bei užtikrinti transformatorinės pastotės eksploatavimą ir privažiavimą prie jos bet kuriuo paros metu. Sklypo dalijimas galimas tik parengus atitinkamą teritorijos funkcinio keitimo, zonavimo ir sutvarkymo projektą, bei privaloma laikytis 1998-04-16 sutarties „Dėl bendro žemės sklypo naudojimo“ sąlygų.
Svarbu atkreipti dėmesį, kad parduodamo turto savininkas ir bendraturčiai nėra sudarę jokių susitarimų dėl žemės sklypo naudojimosi sąlygų. Patekimas į patalpas šiuo metu vyksta per trečiųjų asmenų patalpas, nes nėra pasirašyta jokių naudojimosi susitarimų. Naujas savininkas privalės savo lėšomis įrengti patekimą į patalpas arba pasirašyti nuomos/naudojimo sutartis su trečiosiomis šalimis.
Patalpos parduodamos esamos fizinės ir funkcinės būklės, remiantis esamais kadastro duomenimis. Valdžios institucijos neįsipareigoja atlikti kadastro duomenų atnaujinimo. Taip pat, komunalinės paslaugos teikiamos pagal 2008-09-01 sutartį dėl išlaidų pasidalijimo tarp pastato naudotojų, kurią galima nutraukti arba pakeisti. Šiuo metu objektas naudojamas valstybės institucijos veiklai.
Aukciono laimėtojas (pirkėjas) privalo ne vėliau kaip per 5 darbo dienas nuo nuosavybės teisės perėjimo momento sudaryti nuomos sutartį su VšĮ Lietuvos prabavimo rūmais pagal patvirtintą projekto, susijusio su subnuoma, sąlygas.
Aukciono dalyviai turi privalumą apžiūrėti turtą asmeniškai iki registracijos pradžios, iš anksto suderinus laiką. Potencialiems pirkėjams rekomenduojama išnagrinėti visas su tokios būklės objekto pirkimu susijusias teisines bei ekonomines rizikas.
📍 Objekto lokacija
📍 Vilniaus m. sav. Vilniaus m. Žirmūnų g. 70
❓ Dažnai užduodami klausimai
Kokia negyvenamųjų patalpų bendras plotas ir su kaina aukciono pradžioje?
Administracinių patalpų bendras plotas yra 468,26 kv. m, o pradinė aukciono kaina – 419000 EUR.
Kada vyksta aukcionas, skirtas parduoti šias patalpas Žirmūnų g. 70, Vilniuje?
Aukcionas prasideda 2026-02-24 09:00:00 ir baigiasi 2026-02-25 13:59:59.
Kokie mokesčiai turi būti sumokėti dalyvaujant aukcione?
Garantinis mokestis yra 41900 EUR, o registracijos mokestis – 100 EUR.
Kokie teisiniai apribojimai ar sąlygos taikomos parduodamam turtui?
Galioja servitutas (teisė tiesti inžinerinius tinklus), taikomos 1998-04-16 sutarties „Dėl bendro žemės sklypo naudojimo“ sąlygos, ir naujas savininkas privalės sudaryti nuomos sutartį su VšĮ Lietuvos prabavimo rūmais per 5 darbo dienas po nuosavybės perėjimo.
Kaip galima apžiūrėti parduodamas administracines patalpas Žirmūnų g. 70?
Apžiūros organizuojamos iš anksto individualiai suderinus laiką iki registracijos į aukcioną pradžios.
Koks unikalus parduodamų patalpų identifikavimo numeris?
Patalpų unikalus Nr. yra 1096-0507-4017:0012.